Croton parksii: taxon details and analytics
- Domain
- Kingdom
- Plantae
- Phylum
- Tracheophyta
- Class
- Magnoliopsida
- Order
- Malpighiales
- Family
- Euphorbiaceae
- Genus
- Croton
- Species
- Croton parksii
- Scientific Name
- Croton parksii
Summary description from Wikipedia:
Croton parksii
Croton parksii est une espèce de plantes à fleurs du genre Croton et de la famille des Euphorbiaceae, présente au Texas.
...Croton parksii in languages:
- English
- Parks' Croton
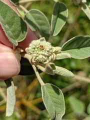
Images from inaturalist.org observations:
We recommend you sign up for this excellent, free service.
Parent Taxon
Sibling Taxa
- Cleodora
- Croton aberrans
- Croton acapulcensis
- Croton aceroides
- Croton acronychioides
- Croton adamantinus
- Croton adenocalyx
- Croton adenophorus
- Croton adipatus
- Croton adspersus
- Croton alabamensis
- Croton alamosanus
- Croton alchorneifolius
- Croton aleuritoides
- Croton alienus
- Croton alnifolius
- Croton alvaradonis
- Croton ameliae
- Croton amphileucus
- Croton andinus
- Croton anosiravensis
- Croton antanosiensis
- Croton antisyphiliticus
- Croton apostolon
- Croton araracuarae
- Croton arboreus
- Croton argenteus
- Croton argentinus
- Croton argyranthemus
- Croton argyratus
- Croton argyrodaphne
- Croton argyrophyllus
- Croton aripoensis
- Croton aristophlebius
- Croton arnhemicus
- Croton astroites
- Croton atrostellatus
- Croton aubrevillei
- Croton axillaris
- Croton balsensis
- Croton bathianus
- Croton beetlei
- Croton belintae
- Croton bemaranus
- Croton bernieri
- Croton betulinus
- Croton bifurcatus
- Croton bigbendensis
- Croton bispinosus
- Croton blanchetianus
- Croton boavitanus
- Croton boinensis
- Croton bonplandianus
- Croton bracteatus
- Croton breedlovei
- Croton brevipes
- Croton brevispicatus
- Croton caboensis
- Croton calcareus
- Croton californicus
- Croton campestris
- Croton capitatus
- Croton cardenasii
- Croton carpostellatus
- Croton cascarilloides
- Croton cassinoides
- Croton catamarcensis
- Croton catariae
- Croton catati
- Croton caudatus
- Croton celtidifolius
- Croton chakrabartyi
- Croton chamelensis
- Croton chapelieri
- Croton chiapensis
- Croton chichenensis
- Croton chilensis
- Croton chittagongensis
- Croton chrysodaphne
- Croton churumayensis
- Croton ciliatoglandulifer
- Croton cnidophyllus
- Croton compressus
- Croton conduplicatus
- Croton conspurcatus
- Croton corchoropsis
- Croton cordatulus
- Croton coriaceus
- Croton cortesianus
- Croton corumbensis
- Croton coryi
- Croton corylifolius
- Croton cotoneaster
- Croton crassifolius
- Croton crocodilorum
- Croton crossolepis
- Croton cubiensis
- Croton cuchillae-nigrae
- Croton culiacanensis
- Croton cuneatus
- Croton cupreatus
- Croton curiosus
- Croton danguyanus
- Croton decalobus
- Croton decalvatus
- Croton dichogamus
- Croton dictyophlebodes
- Croton dioicus
- Croton discolor
- Croton disjunctus
- Croton dispar
- Croton draconopsis
- Croton echioideus
- Croton eggersii
- Croton ehrenbergii
- Croton elaeagni
- Croton elegans
- Croton elliottii
- Croton emeliae
- Croton emporiorum
- Croton enigmaticus
- Croton ericius
- Croton erythrostachys
- Croton fantzianus
- Croton ferricretus
- Croton ferrugineus
- Croton fishlockii
- Croton flavens
- Croton flavoglandulosus
- Croton floribundus
- Croton fragilis
- Croton francoanus
- Croton fraseri
- Croton fruticulosus
- Croton fulvus
- Croton gaumeri
- Croton geayi
- Croton gibsonianus
- Croton glabellus
- Croton glandulosepalus
- Croton glandulosus
- Croton glomeratus
- Croton gnaphaloides
- Croton gomezii
- Croton goudotii
- Croton goyazensis
- Croton gracilescens
- Croton gracilirameus
- Croton gratissimus
- Croton greveanus
- Croton grewiifolius
- Croton griseus
- Croton guatemalensis
- Croton guerreroanus
- Croton guianensis
- Croton guildingii
- Croton hancei
- Croton heliotropiifolius
- Croton heptalon
- Croton herzogianus
- Croton heterocarpus
- Croton heterochrous
- Croton hieronymi
- Croton hilarii
- Croton hildebrandtii
- Croton hircinus
- Croton hirtus
- Croton hostmannii
- Croton hovarum
- Croton howii
- Croton huajuapanensis
- Croton humbertii
- Croton humblotii
- Croton humilis
- Croton hypoleucus
- Croton icche
- Croton impressus
- Croton incanus
- Croton inhambanensis
- Croton insularis
- Croton intercedens
- Croton itzaeus
- Croton jacobinensis
- Croton jamesonii
- Croton jatrophoides
- Croton jennyanus
- Croton joufra
- Croton jucundus
- Croton jutiapensis
- Croton kelantanicus
- Croton klotzschianus
- Croton kongensis
- Croton laccifer
- Croton lachnocarpus
- Croton lachnostachyus
- Croton laeticapsulus
- Croton laevigatus
- Croton lanatus
- Croton landoltii
- Croton langsonensis
- Croton laniflorus
- Croton lasiopetaloides
- Croton lasiopyrus
- Croton laureltyanus
- Croton laurinus
- Croton lehmannii
- Croton leptanthus
- Croton leptostachyus
- Croton leuconeurus
- Croton leucophyllus
- Croton lichenisilvae
- Croton limae
- Croton limnocharis
- Croton lindheimeri
- Croton lindheimerianus
- Croton lindmanii
- Croton lindquistii
- Croton linearis
- Croton lombardianus
- Croton longicolumellus
- Croton longipedicellatus
- Croton longiradiatus
- Croton lotorius
- Croton lucidus
- Croton lundianus
- Croton macradenis
- Croton macrocarpus
- Croton macrodontus
- Croton macrostachyus
- Croton madandensis
- Croton magdalenae
- Croton magneticus
- Croton magnifolius
- Croton malabaricus
- Croton malacotrichus
- Croton malvavisciifolius
- Croton mamillatus
- Croton manampetsae
- Croton martinianus
- Croton masonii
- Croton matourensis
- Croton matudae
- Croton mauritianus
- Croton mavoravina
- Croton mayanus
- Croton mazapensis
- Croton mcvaughii
- Croton megaladenus
- Croton megalobotrys
- Croton megalocarpoides
- Croton megalocarpus
- Croton megalodendron
- Croton megistocarpus
- Croton menabeensis
- Croton menthodorus
- Croton menyharthii
- Croton meridionalis
- Croton metallicus
- Croton mexicanus
- Croton micans
- Croton michaelii
- Croton michauxii
- Croton millspaughii
- Croton minimimarginiglandulosus
- Croton miradorensis
- Croton monanthogynus
- Croton mongue
- Croton montevidensis
- Croton moonii
- Croton morifolius
- Croton multicaulis
- Croton muricatus
- Croton muscicapa
- Croton myriaster
- Croton myrsinites
- Croton nagaoi
- Croton nigritanus
- Croton nitens
- Croton nitidulus
- Croton nitrariifolius
- Croton niveus
- Croton noronhae
- Croton nubigenus
- Croton nudatus
- Croton nummulariifolius
- Croton nuntians
- Croton oblongus
- Croton oerstedianus
- Croton orangeae
- Croton orbignyanus
- Croton oreades
- Croton origanifolius
- Croton ortegae
- Croton ortholobus
- Croton ovalifolius
- Croton pachypodus
- Croton pagiveteris
- Croton palanostigma
- Croton palmeri
- Croton parksii
- Croton parvifolius
- Croton pascualii
- Croton pavonis
- Croton payaquensis
- Croton pedicellatus
- Croton pendens
- Croton peraeruginosus
- Croton persimilis
- Croton phebalioides
- Croton phuquocensis
- Croton piluliferus
- Croton piptocalyx
- Croton platyphyllus
- Croton poecilanthus
- Croton poilanei
- Croton poitaei
- Croton polypleurus
- Croton polytomus
- Croton polytrichus
- Croton pottsii
- Croton pseudoglabellus
- Croton pseudoniveus
- Croton pseudopulchellus
- Croton pulcher
- Croton punctatus
- Croton pungens
- Croton pycnanthus
- Croton pycnocephalus
- Croton quercetorum
- Croton radiatus
- Croton ramillatus
- Croton reflexifolius
- Croton reitzii
- Croton repens
- Croton rivinifolius
- Croton rivularis
- Croton rosarianus
- Croton roxanae
- Croton ruizianus
- Croton saipanensis
- Croton sakamaliensis
- Croton saltensis
- Croton sancti-lazari
- Croton santaritensis
- Croton santolinus
- Croton sapiifolius
- Croton sarcocarpus
- Croton schiedeanus
- Croton scoriarum
- Croton scouleri
- Croton sellowii
- Croton serpyllifolius
- Croton serratifolius
- Croton setiger
- Croton shreveanus
- Croton siltepecensis
- Croton smithianus
- Croton socotranus
- Croton solanaceus
- Croton soliman
- Croton sonderianus
- Croton sonorae
- Croton sousae
- Croton speciosus
- Croton spurcus
- Croton standleyanus
- Croton steenkampianus
- Croton stellulifer
- Croton stenopetalus
- Croton stenophyllus
- Croton stigmatosus
- Croton stipulaceus
- Croton stylosus
- Croton suassunae
- Croton suaveolens
- Croton suavis
- Croton suberosus
- Croton subferrugineus
- Croton subfragilis
- Croton subjucundus
- Croton submetallicus
- Croton subpannosus
- Croton sulcifructus
- Croton sutup
- Croton sylvaticus
- Croton tabascensis
- Croton tacanensis
- Croton talaeporos
- Croton tardeflorens
- Croton tenuicaudatus
- Croton tenuilobus
- Croton tetradenius
- Croton texensis
- Croton thurifer
- Croton tiglium
- Croton tiliifolius
- Croton timotensis
- Croton touranensis
- Croton tremulifolius
- Croton triacros
- Croton trichotomus
- Croton tricolor
- Croton trinitatis
- Croton triqueter
- Croton urticifolius
- Croton urucurana
- Croton uruguayensis
- Croton varelae
- Croton vaughanii
- Croton verreauxii
- Croton verticillatus
- Croton virletianus
- Croton vulpinus
- Croton wagneri
- Croton watsonii
- Croton websteri
- Croton wigginsii
- Croton willdenowii
- Croton xalapensis
- Croton yecorensis
- Croton ynesae
- Croton yucatanensis
- Croton zavaletae
- Croton zeylanicus
- Cyclostigma























