Cryptus albitarsis: taxon details and analytics

Domain
Kingdom
Animalia
Phylum
Arthropoda
Class
Insecta
Order
Hymenoptera
Family
Ichneumonidae
Genus
Cryptus
Species
Cryptus albitarsis
Scientific Name
Cryptus albitarsis

Summary description from Wikipedia:

Cryptus albitarsis

Cryptus albitarsis is een insect dat behoort tot de orde vliesvleugeligen (Hymenoptera) en de familie van de gewone sluipwespen (Ichneumonidae). De wetenschappelijke naam van de soort werd voor het eerst geldig gepubliceerd door Cresson in 1864.

...
 

Images from inaturalist.org observations:

We recommend you sign up for this excellent, free service.

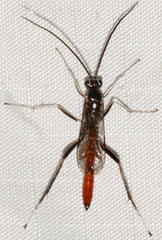
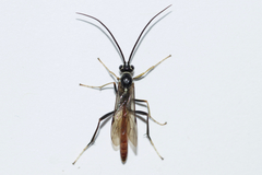
Cryptus albitarsis
©julianhas, some rights reserved (CC-BY-NC)
Cryptus albitarsis
©julianhas, some rights reserved (CC-BY-NC)
Cryptus albitarsis
©julianhas, some rights reserved (CC-BY-NC)
Cryptus albitarsis
©julianhas, some rights reserved (CC-BY-NC)
Cryptus albitarsis
©Sam Hough, some rights reserved (CC-BY-NC)
Cryptus albitarsis
©Sam Hough, some rights reserved (CC-BY-NC)
Cryptus albitarsis
©Sam Hough, some rights reserved (CC-BY-NC)
Cryptus albitarsis
©Sam Hough, some rights reserved (CC-BY-NC)
Cryptus albitarsis
©Sam Hough, some rights reserved (CC-BY-NC)
Cryptus albitarsis
©Sam Hough, some rights reserved (CC-BY-NC)
Cryptus albitarsis
©psweet, some rights reserved (CC-BY-SA)
Cryptus albitarsis
©psweet, some rights reserved (CC-BY-SA)
Cryptus albitarsis
©psweet, some rights reserved (CC-BY-SA)
Cryptus albitarsis
©Woolcarderbee, some rights reserved (CC-BY-NC)
Cryptus albitarsis
©Woolcarderbee, some rights reserved (CC-BY-NC)
Cryptus albitarsis
©Woolcarderbee, some rights reserved (CC-BY-NC)
Cryptus albitarsis
©Woolcarderbee, some rights reserved (CC-BY-NC)
Cryptus albitarsis
©Woolcarderbee, some rights reserved (CC-BY-NC)
Cryptus albitarsis
©Woolcarderbee, some rights reserved (CC-BY-NC)
Cryptus albitarsis
©Woolcarderbee, some rights reserved (CC-BY-NC)
Cryptus albitarsis
©jckawalec, some rights reserved (CC-BY-NC)
Cryptus albitarsis
©Ethan Wells, some rights reserved (CC-BY-NC)
Cryptus albitarsis
©Zihao Wang, some rights reserved (CC-BY)
Cryptus albitarsis
©Zihao Wang, some rights reserved (CC-BY)
Cryptus albitarsis
©Zihao Wang, some rights reserved (CC-BY)
Cryptus albitarsis
©Owen Strickland, some rights reserved (CC-BY-NC)
Cryptus albitarsis
©matthew_wills, some rights reserved (CC-BY-NC)
Cryptus albitarsis
©matthew_wills, some rights reserved (CC-BY-NC)
Cryptus albitarsis
©matthew_wills, some rights reserved (CC-BY-NC)
Cryptus albitarsis
©matthew_wills, some rights reserved (CC-BY-NC)
Cryptus albitarsis
©Kurt Hennige, some rights reserved (CC-BY-NC)
Cryptus albitarsis
©Mark Nenadov, some rights reserved (CC-BY-NC)
Cryptus albitarsis
©carolberney, some rights reserved (CC-BY-NC)
Cryptus albitarsis
©carolberney, some rights reserved (CC-BY-NC)
Cryptus albitarsis
©Frederic Desmeules, some rights reserved (CC-BY-NC)
Cryptus albitarsis
©Ed O'Connor, some rights reserved (CC-BY-NC)
Cryptus albitarsis
©Ed O'Connor, some rights reserved (CC-BY-NC)
Cryptus albitarsis
©Stephanie Eakin, some rights reserved (CC-BY-NC)
Cryptus albitarsis
©Stephanie Eakin, some rights reserved (CC-BY-NC)
Cryptus albitarsis
©Stephanie Eakin, some rights reserved (CC-BY-NC)
Cryptus albitarsis
©Stephanie Eakin, some rights reserved (CC-BY-NC)
Cryptus albitarsis
©Stephanie Eakin, some rights reserved (CC-BY-NC)
Cryptus albitarsis
©Stephanie Eakin, some rights reserved (CC-BY-NC)
Cryptus albitarsis
©Stephanie Eakin, some rights reserved (CC-BY-NC)
Cryptus albitarsis
©abbyjs, some rights reserved (CC-BY-NC)
Cryptus albitarsis
©Joshua Eastlake, some rights reserved (CC-BY-NC)
Cryptus albitarsis
©Ed O'Connor, some rights reserved (CC-BY-NC)
Cryptus albitarsis
©Ali and Brice, some rights reserved (CC-BY-NC)
Cryptus albitarsis
©Richard Baxter, some rights reserved (CC-BY-NC)
Cryptus albitarsis
©djweyer, some rights reserved (CC-BY-NC)
Cryptus albitarsis
©mike kiernan, some rights reserved (CC-BY-NC)
Cryptus albitarsis
©mike kiernan, some rights reserved (CC-BY-NC)
Cryptus albitarsis
©mike kiernan, some rights reserved (CC-BY-NC)
Cryptus albitarsis
©mike kiernan, some rights reserved (CC-BY-NC)
Cryptus albitarsis
©Julian F, some rights reserved (CC-BY-NC)
Cryptus albitarsis
©bio228-2su-samidalao, some rights reserved (CC-BY-NC)
Cryptus albitarsis
©Kevin Metcalf, some rights reserved (CC-BY-NC)
Cryptus albitarsis
©beetleinahaystack, some rights reserved (CC-BY-NC)
Cryptus albitarsis
©beetleinahaystack, some rights reserved (CC-BY-NC)
Cryptus albitarsis
©beetleinahaystack, some rights reserved (CC-BY-NC)
Cryptus albitarsis
©mithz, some rights reserved (CC-BY-NC)
Cryptus albitarsis
©mithz, some rights reserved (CC-BY-NC)
Cryptus albitarsis
©naturelove86, some rights reserved (CC-BY-NC)
Cryptus albitarsis
©naturelove86, some rights reserved (CC-BY-NC)
Cryptus albitarsis
©Rob Van Epps, some rights reserved (CC-BY-NC)
Cryptus albitarsis
©Rob Van Epps, some rights reserved (CC-BY-NC)
Cryptus albitarsis
©psweet, some rights reserved (CC-BY-SA)
Cryptus albitarsis
©psweet, some rights reserved (CC-BY-SA)
Cryptus albitarsis
©David, some rights reserved (CC-BY-NC-SA)
Cryptus albitarsis
©David, some rights reserved (CC-BY-NC-SA)
Cryptus albitarsis
©David, some rights reserved (CC-BY-NC-SA)
Cryptus albitarsis
©David, some rights reserved (CC-BY-NC-SA)
Cryptus albitarsis
©David, some rights reserved (CC-BY-NC-SA)
Cryptus albitarsis
©Sydney Penner, some rights reserved (CC-BY-NC)
Cryptus albitarsis
©Sydney Penner, some rights reserved (CC-BY-NC)
Cryptus albitarsis
©Sydney Penner, some rights reserved (CC-BY-NC)
Cryptus albitarsis
©rubyheron, some rights reserved (CC-BY-ND)
Cryptus albitarsis
©rubyheron, some rights reserved (CC-BY-ND)
Cryptus albitarsis
©rubyheron, some rights reserved (CC-BY-ND)
Cryptus albitarsis
©rubyheron, some rights reserved (CC-BY-ND)
Cryptus albitarsis
©ajrichard, some rights reserved (CC-BY-NC)
Cryptus albitarsis
©ajrichard, some rights reserved (CC-BY-NC)
Cryptus albitarsis
©ajrichard, some rights reserved (CC-BY-NC)
Cryptus albitarsis
©k_a_m, some rights reserved (CC-BY-NC)
Cryptus albitarsis
©k_a_m, some rights reserved (CC-BY-NC)
Cryptus albitarsis
©k_a_m, some rights reserved (CC-BY-NC)
Cryptus albitarsis
©gwt2102, some rights reserved (CC-BY-NC)
Cryptus albitarsis
©gwt2102, some rights reserved (CC-BY-NC)
Cryptus albitarsis
©gwt2102, some rights reserved (CC-BY-NC)
Cryptus albitarsis
©gwt2102, some rights reserved (CC-BY-NC)
Cryptus albitarsis
©Joshua Eastlake, some rights reserved (CC-BY-NC)
Cryptus albitarsis
©Joshua Eastlake, some rights reserved (CC-BY-NC)
Cryptus albitarsis
©Joshua Eastlake, some rights reserved (CC-BY-NC)
Cryptus albitarsis
©Joshua Eastlake, some rights reserved (CC-BY-NC)
Cryptus albitarsis
©Joshua Eastlake, some rights reserved (CC-BY-NC)
Cryptus albitarsis
©Joshua Eastlake, some rights reserved (CC-BY-NC)
Cryptus albitarsis
©Joshua Eastlake, some rights reserved (CC-BY-NC)
Cryptus albitarsis
©sea-kangaroo, some rights reserved (CC-BY-NC-ND)
Cryptus albitarsis
©sea-kangaroo, some rights reserved (CC-BY-NC-ND)
Cryptus albitarsis
©Chris, some rights reserved (CC-BY-NC)
Cryptus albitarsis
©Chris, some rights reserved (CC-BY-NC)
Cryptus albitarsis
©Chris, some rights reserved (CC-BY-NC)
Cryptus albitarsis
©Judy Gallagher, some rights reserved (CC-BY)
Cryptus albitarsis
©cazador, some rights reserved (CC-BY-NC)
Cryptus albitarsis
©cazador, some rights reserved (CC-BY-NC)
Cryptus albitarsis
©cazador, some rights reserved (CC-BY-NC)
Cryptus albitarsis
©cazador, some rights reserved (CC-BY-NC)
Cryptus albitarsis
©Molly Lord, some rights reserved (CC-BY-NC)
Cryptus albitarsis
©Pam Piombino, some rights reserved (CC-BY-NC)
Cryptus albitarsis
©Pam Piombino, some rights reserved (CC-BY-NC)
Cryptus albitarsis
©Sara Rall, some rights reserved (CC-BY-NC)
Cryptus albitarsis
©Amy Schnebelin, some rights reserved (CC-BY)
Cryptus albitarsis
©Even Dankowicz, some rights reserved (CC-BY)
Cryptus albitarsis
©andrewolson92, some rights reserved (CC-BY-NC)
Cryptus albitarsis
©andrewolson92, some rights reserved (CC-BY-NC)
Cryptus albitarsis
©andrewolson92, some rights reserved (CC-BY-NC)
Cryptus albitarsis
©andrewolson92, some rights reserved (CC-BY-NC)
Cryptus albitarsis
©David Sarkozi, some rights reserved (CC-BY-NC)
Cryptus albitarsis
©carolberney, some rights reserved (CC-BY-NC)
Cryptus albitarsis
©W. Lemieux, some rights reserved (CC-BY-NC)
Cryptus albitarsis
©W. Lemieux, some rights reserved (CC-BY-NC)
Cryptus albitarsis
©matthew_wills, some rights reserved (CC-BY-NC)
Cryptus albitarsis
©matthew_wills, some rights reserved (CC-BY-NC)
Cryptus albitarsis
©Owen Strickland, some rights reserved (CC-BY-NC)
Cryptus albitarsis
©Owen Strickland, some rights reserved (CC-BY-NC)
Cryptus albitarsis
©Susanna Heideman, some rights reserved (CC-BY-NC)
Cryptus albitarsis
©Susanna Heideman, some rights reserved (CC-BY-NC)
Cryptus albitarsis
©Susanna Heideman, some rights reserved (CC-BY-NC)
Cryptus albitarsis
©Susanna Heideman, some rights reserved (CC-BY-NC)
Cryptus albitarsis
©therlam, some rights reserved (CC-BY-NC)
Cryptus albitarsis
©carolberney, some rights reserved (CC-BY-NC)
Cryptus albitarsis
©canouquebec, some rights reserved (CC-BY-NC)
Cryptus albitarsis
©canouquebec, some rights reserved (CC-BY-NC)
Cryptus albitarsis
©Mariko, some rights reserved (CC-BY-NC)
Cryptus albitarsis
©Mariko, some rights reserved (CC-BY-NC)
Cryptus albitarsis
©Mariko, some rights reserved (CC-BY-NC)
Cryptus albitarsis
©Riley Walsh, some rights reserved (CC-BY-NC)
Cryptus albitarsis
©Riley Walsh, some rights reserved (CC-BY-NC)
Cryptus albitarsis
©Stephanie Eakin, some rights reserved (CC-BY-NC)
Cryptus albitarsis
©Stephanie Eakin, some rights reserved (CC-BY-NC)
Cryptus albitarsis
©Stephanie Eakin, some rights reserved (CC-BY-NC)
Cryptus albitarsis
©Stephanie Eakin, some rights reserved (CC-BY-NC)
Cryptus albitarsis
©Stephanie Eakin, some rights reserved (CC-BY-NC)
Cryptus albitarsis
©Stephanie Eakin, some rights reserved (CC-BY-NC)
Cryptus albitarsis
©Stephanie Eakin, some rights reserved (CC-BY-NC)
Cryptus albitarsis
©Stephanie Eakin, some rights reserved (CC-BY-NC)
Cryptus albitarsis
©Léo-Guy de Repentigny, some rights reserved (CC-BY-NC-ND)
Cryptus albitarsis
©bob15noble, some rights reserved (CC-BY-NC)
Cryptus albitarsis
©bob15noble, some rights reserved (CC-BY-NC)
Cryptus albitarsis
©camponotusgrove, some rights reserved (CC-BY-NC)
Cryptus albitarsis
©Frode Jacobsen, some rights reserved (CC-BY-NC)
Cryptus albitarsis
©Steve King, some rights reserved (CC-BY-NC)
Cryptus albitarsis
©calebcam, some rights reserved (CC-BY-NC)
Cryptus albitarsis
©Al, some rights reserved (CC-BY-NC)