Skip to the navigation
.
Skip to the content
.
BioSurveys.org
Surveying life, socially, locally.
places search
taxa search
Color
Sign In
Cylapomorpha: taxon details and analytics
Domain
Kingdom
Animalia
Phylum
Arthropoda
Class
Insecta
Order
Hemiptera
Family
Miridae
Genus
Cylapomorpha
Species
Scientific Name
Cylapomorpha
Images from inaturalist.org observations:
We recommend you sign up for this excellent, free service.
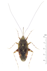
©Claas Damken, some rights reserved (CC-BY-SA)
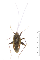
©Claas Damken, some rights reserved (CC-BY-SA)
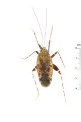
©Claas Damken, some rights reserved (CC-BY-SA)
Parent Taxon
Miridae
Sibling Taxa
Cylapomorpha
Cylapus
Dariella
Labriella
Peltidocylapus
Valdasus
Child Taxa
Cylapomorpha michikoae
Top Observation Places
Share
Tweet
Back to Top
Biosurveys - Crowd Sourced Local Biogeography Login