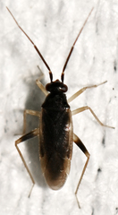
Cyrtorhinus caricis: taxon details and analytics
- Domain
- Kingdom
- Animalia
- Phylum
- Arthropoda
- Class
- Insecta
- Order
- Hemiptera
- Family
- Miridae
- Genus
- Cyrtorhinus
- Species
- Cyrtorhinus caricis
- Scientific Name
- Cyrtorhinus caricis
Cyrtorhinus caricis in languages:
- Dutch
- Zwartstreepblindwants
- Finnish
- saraikkolude
- Japanese
- キタカタグロミドリカスミカメ
- Korean
- 풀색장님노린재

