Dasineura: taxon details and analytics
- Domain
- Kingdom
- Animalia
- Phylum
- Arthropoda
- Class
- Insecta
- Order
- Diptera
- Family
- Cecidomyiidae
- Genus
- Dasineura
- Species
- Scientific Name
- Dasineura
Summary description from Wikipedia:
Dasineura in languages:
- Dutch
- Rozebladgalmug
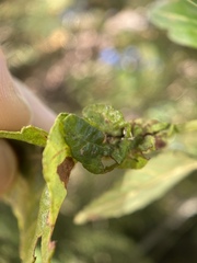
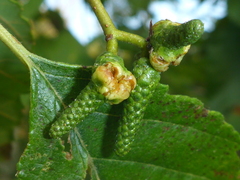
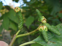
Images from inaturalist.org observations:
We recommend you sign up for this excellent, free service.
Parent Taxon
Sibling Taxa
Child Taxa
- Dasineura aberrata
- Dasineura abiesemia
- Dasineura acaciaelongifoliae
- Dasineura acerifoliae
- Dasineura aceris
- Dasineura acerobia
- Dasineura acrophila
- Dasineura acuminata
- Dasineura adenophorae
- Dasineura affinis
- Dasineura alopecuri
- Dasineura alpestris
- Dasineura amaramanjarae
- Dasineura americana
- Dasineura anemone
- Dasineura angelicae
- Dasineura anglica
- Dasineura aparines
- Dasineura apicata
- Dasineura armoraciae
- Dasineura aromaticae
- Dasineura artemisiae
- Dasineura asparagi
- Dasineura asperulae
- Dasineura asteriae
- Dasineura astragalorum
- Dasineura auricomi
- Dasineura auritae
- Dasineura balsamicola
- Dasineura banksiae
- Dasineura bayeri
- Dasineura berberidis
- Dasineura berti
- Dasineura bidentata
- Dasineura bistortae
- Dasineura borealis
- Dasineura brassicae
- Dasineura broteri
- Dasineura californica
- Dasineura callistemoni
- Dasineura campanulae
- Dasineura capsulae
- Dasineura carbonaria
- Dasineura cardaminis
- Dasineura cercocarpi
- Dasineura chinquapin
- Dasineura clematidis
- Dasineura collinsoniae
- Dasineura communis
- Dasineura consobrina
- Dasineura coronillae
- Dasineura corticis
- Dasineura crataegi
- Dasineura crataegibedeguar
- Dasineura cytisi
- Dasineura daphnes
- Dasineura dentatae
- Dasineura dianthi
- Dasineura dielsi
- Dasineura dioicae
- Dasineura dryophila
- Dasineura elatostemmae
- Dasineura elegans
- Dasineura engstfeldi
- Dasineura epilobii
- Dasineura ericaescopariae
- Dasineura eugeniae
- Dasineura excavans
- Dasineura fastidiosa
- Dasineura fistulosa
- Dasineura floralis
- Dasineura florida
- Dasineura folliculi
- Dasineura fraxinea
- Dasineura fraxini
- Dasineura fructum
- Dasineura fusca
- Dasineura galiicola
- Dasineura gannoni
- Dasineura gentianae
- Dasineura gentneri
- Dasineura geranii
- Dasineura glauca
- Dasineura glechomae
- Dasineura gleditchiae
- Dasineura glomerata
- Dasineura glyciphyli
- Dasineura glyciphylli
- Dasineura harrisoni
- Dasineura hebefolia
- Dasineura helenae
- Dasineura helianthemi
- Dasineura heterophylla
- Dasineura hygrophila
- Dasineura hyperici
- Dasineura inaequilaterae
- Dasineura inflata
- Dasineura interbracta
- Dasineura investita
- Dasineura involuta
- Dasineura irregularis
- Dasineura kellneri
- Dasineura kiefferi
- Dasineura kiefferiana
- Dasineura koesterbecki
- Dasineura lamiicola
- Dasineura lathyri
- Dasineura lathyricola
- Dasineura leguminicola
- Dasineura lepidii
- Dasineura lithospermi
- Dasineura loewiana
- Dasineura lotharingiae
- Dasineura lupini
- Dasineura lupinorum
- Dasineura lupulinae
- Dasineura lysimachiae
- Dasineura mali
- Dasineura marginemtorquens
- Dasineura medicaginis
- Dasineura meibomiae
- Dasineura miki
- Dasineura myosotidis
- Dasineura myrtylli
- Dasineura napi
- Dasineura odoratae
- Dasineura oleae
- Dasineura oxyacanthae
- Dasineura oxycoccana
- Dasineura papaveris
- Dasineura parthenocissi
- Dasineura pellex
- Dasineura periclymeni
- Dasineura phyteumatis
- Dasineura pilifera
- Dasineura pilosa
- Dasineura piperitae
- Dasineura pirolae
- Dasineura plicatrix
- Dasineura populeti
- Dasineura populicola
- Dasineura populnea
- Dasineura pseudococcus
- Dasineura pteridicola
- Dasineura pteridis
- Dasineura pudibunda
- Dasineura pulsatillae
- Dasineura pustulans
- Dasineura pyri
- Dasineura ranunculi
- Dasineura rhododendri
- Dasineura rileyana
- Dasineura rosae
- Dasineura rosarum
- Dasineura rossi
- Dasineura rubella
- Dasineura rubiformis
- Dasineura ruebsaameni
- Dasineura rufescens
- Dasineura salicifoliae
- Dasineura salviae
- Dasineura sampaina
- Dasineura sanguisorbae
- Dasineura sassafras
- Dasineura saxifragae
- Dasineura scorpii
- Dasineura semenivora
- Dasineura senecionis
- Dasineura serotina
- Dasineura serrulatae
- Dasineura silvestrii
- Dasineura silvicola
- Dasineura similis
- Dasineura sisymbrii
- Dasineura smilacifolia
- Dasineura sodalis
- Dasineura spadicea
- Dasineura stanleyae
- Dasineura stellariae
- Dasineura strobila
- Dasineura strumosa
- Dasineura subterranea
- Dasineura swainei
- Dasineura symphyti
- Dasineura symplocos
- Dasineura tetensi
- Dasineura tetrahit
- Dasineura teucrii
- Dasineura thomasiana
- Dasineura tiliae
- Dasineura tomentosa
- Dasineura tortilis
- Dasineura tortrix
- Dasineura toweri
- Dasineura traili
- Dasineura trifolii
- Dasineura trotteri
- Dasineura tubicoloides
- Dasineura tumidosae
- Dasineura turionum
- Dasineura tympani
- Dasineura ulicis
- Dasineura ulmaria
- Dasineura ulmea
- Dasineura ulmicola
- Dasineura umbrosa
- Dasineura urticae
- Dasineura valerianae
- Dasineura vallisumbrosae
- Dasineura viciae
- Dasineura violae
- Dasineura violahirtae
- Dasineura vitisidaea
- Dasineura vulgatiformiae
- Dasineura wistariae































































































































































