Demetrias monostigma: taxon details and analytics

Domain
Kingdom
Animalia
Phylum
Arthropoda
Class
Insecta
Order
Coleoptera
Family
Carabidae
Genus
Demetrias
Species
Demetrias monostigma
Scientific Name
Demetrias monostigma

Summary description from Wikipedia:

Demetrias monostigma

Demetrias monostigma, auch als Ried-Halmläufer bekannt, ist ein Laufkäfer aus der Unterfamilie Harpalinae. Erstbeschreiber der Art ist der französische Entomologe George Samouelle. Das lateinische Art-Epitheton monostigma bedeutet „einzelner Fleck“ oder „einzelnes Makel“ und bezieht sich offenbar auf die Färbung der Flügeldecken. Demetrias monostigma ist eine von drei mitteleuropäischen Arten der paläarktisch verbreiteten Gattung Demetrias.

...
 

Demetrias monostigma in languages:

Danish
Klitsmalløber
German
Ried-Halmläufer
Swedish
fläckig tasslöpare

Images from inaturalist.org observations:

We recommend you sign up for this excellent, free service.

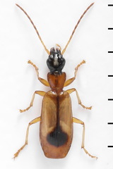
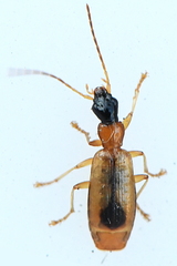
Demetrias monostigma
©André MIQUET, some rights reserved (CC-BY-NC)
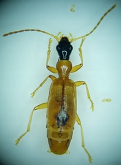
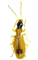
Demetrias monostigma
©André MIQUET, some rights reserved (CC-BY-NC)
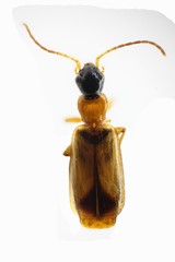
Demetrias monostigma
©Olli Pihlajamaa, some rights reserved (CC-BY-NC)
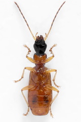
Demetrias monostigma
©Соколков Юрий Павлович, some rights reserved (CC-BY-NC)
Demetrias monostigma
©Соколков Юрий Павлович, some rights reserved (CC-BY-NC)
Demetrias monostigma
©mariamatersheva, some rights reserved (CC-BY-NC)
Demetrias monostigma
©Til Mann, some rights reserved (CC-BY-NC-ND)
Demetrias monostigma
©Til Mann, some rights reserved (CC-BY-NC-ND)
Demetrias monostigma
©wp-polzin, some rights reserved (CC-BY-NC)
Demetrias monostigma
©wp-polzin, some rights reserved (CC-BY-NC)
Demetrias monostigma
©Julien Bottinelli, some rights reserved (CC-BY-NC)
Demetrias monostigma
©adippe, some rights reserved (CC-BY-NC)
Demetrias monostigma
©André MIQUET, some rights reserved (CC-BY-NC)
Demetrias monostigma
©Sebastian Puzon, some rights reserved (CC-BY-NC)
Demetrias monostigma
©Sebastian Puzon, some rights reserved (CC-BY-NC)
Demetrias monostigma
©portioid, some rights reserved (CC-BY-SA)
Demetrias monostigma
©Иван Матершев, some rights reserved (CC-BY-NC)
Demetrias monostigma
©Иван Матершев, some rights reserved (CC-BY-NC)
Demetrias monostigma
©vikula_bludov, some rights reserved (CC-BY-NC)
Demetrias monostigma
©vikula_bludov, some rights reserved (CC-BY-NC)
Demetrias monostigma
©Andreas Bennetsen Boe, some rights reserved (CC-BY-NC-ND)
Demetrias monostigma
©mgreilhuber, some rights reserved (CC-BY-NC)
Demetrias monostigma
©mgreilhuber, some rights reserved (CC-BY-NC)
Demetrias monostigma
©mgreilhuber, some rights reserved (CC-BY-NC)
Demetrias monostigma
©Marie Lou Legrand, some rights reserved (CC-BY-NC)
Demetrias monostigma
©Marina Gorbunova, some rights reserved (CC-BY-NC)
Demetrias monostigma
©Julien Piolain, some rights reserved (CC-BY-NC)
Demetrias monostigma
©Соколков Юрий Павлович, some rights reserved (CC-BY-NC)
Demetrias monostigma
©Соколков Юрий Павлович, some rights reserved (CC-BY-NC)
Demetrias monostigma
©Karol Ox, some rights reserved (CC-BY)
Demetrias monostigma
©Ivlev-Konstantin-Sergeevith, some rights reserved (CC-BY-NC)
Demetrias monostigma
©Ivlev-Konstantin-Sergeevith, some rights reserved (CC-BY-NC)
Demetrias monostigma
©Ivlev-Konstantin-Sergeevith, some rights reserved (CC-BY-NC)
Demetrias monostigma
©Ivlev-Konstantin-Sergeevith, some rights reserved (CC-BY-NC)
Demetrias monostigma
©Ivlev-Konstantin-Sergeevith, some rights reserved (CC-BY-NC)
Demetrias monostigma
©Ivlev-Konstantin-Sergeevith, some rights reserved (CC-BY-NC)
Demetrias monostigma
©Ivlev-Konstantin-Sergeevith, some rights reserved (CC-BY-NC)
Demetrias monostigma
©Ivlev-Konstantin-Sergeevith, some rights reserved (CC-BY-NC)
Demetrias monostigma
©Ivlev-Konstantin-Sergeevith, some rights reserved (CC-BY-NC)
Demetrias monostigma
©Ivlev-Konstantin-Sergeevith, some rights reserved (CC-BY-NC)
Demetrias monostigma
©Ivlev-Konstantin-Sergeevith, some rights reserved (CC-BY-NC)
Demetrias monostigma
©Ivlev-Konstantin-Sergeevith, some rights reserved (CC-BY-NC)
Demetrias monostigma
©Ivlev-Konstantin-Sergeevith, some rights reserved (CC-BY-NC)
Demetrias monostigma
©Ivlev-Konstantin-Sergeevith, some rights reserved (CC-BY-NC)
Demetrias monostigma
©Ivlev-Konstantin-Sergeevith, some rights reserved (CC-BY-NC)
Demetrias monostigma
©Ivlev-Konstantin-Sergeevith, some rights reserved (CC-BY-NC)
Demetrias monostigma
©Ivlev-Konstantin-Sergeevith, some rights reserved (CC-BY-NC)
Demetrias monostigma
©jfgodeau, some rights reserved (CC-BY-SA)
Demetrias monostigma
©jfgodeau, some rights reserved (CC-BY-SA)
Demetrias monostigma
©jfgodeau, some rights reserved (CC-BY-SA)
Demetrias monostigma
©Mareks Ievins, some rights reserved (CC-BY-NC)
Demetrias monostigma
©AWI i Pr., some rights reserved (CC-BY-NC)
Demetrias monostigma
©Peter Danter, some rights reserved (CC-BY-ND)
Demetrias monostigma
©Peter Danter, some rights reserved (CC-BY-ND)
Demetrias monostigma
©Ivlev-Konstantin-Sergeevith, some rights reserved (CC-BY-NC)
Demetrias monostigma
©Ivlev-Konstantin-Sergeevith, some rights reserved (CC-BY-NC)
Demetrias monostigma
©Kutushev Radik, some rights reserved (CC-BY-NC)
Demetrias monostigma
©Ivlev-Konstantin-Sergeevith, some rights reserved (CC-BY-NC)
Demetrias monostigma
©Ivlev-Konstantin-Sergeevith, some rights reserved (CC-BY-NC)
Demetrias monostigma
©Reflectitur Photons, some rights reserved (CC-BY-NC)
Demetrias monostigma
©Reflectitur Photons, some rights reserved (CC-BY-NC)
Demetrias monostigma
©Andrey Ponomarev, some rights reserved (CC-BY-NC)
Demetrias monostigma
©Andrey Ponomarev, some rights reserved (CC-BY-NC)
Demetrias monostigma
©Andrey Ponomarev, some rights reserved (CC-BY-NC)
Demetrias monostigma
©Andrey Ponomarev, some rights reserved (CC-BY-NC)
Demetrias monostigma
©Andrey Ponomarev, some rights reserved (CC-BY-NC)
Demetrias monostigma
©Andrey Ponomarev, some rights reserved (CC-BY-NC)
Demetrias monostigma
©Andrey Ponomarev, some rights reserved (CC-BY-NC)
Demetrias monostigma
©Andrey Ponomarev, some rights reserved (CC-BY-NC)
Demetrias monostigma
©Andrey Ponomarev, some rights reserved (CC-BY-NC)
Demetrias monostigma
©Andrey Ponomarev, some rights reserved (CC-BY-NC)
Demetrias monostigma
©Andrey Ponomarev, some rights reserved (CC-BY-NC)
Demetrias monostigma
©Andrey Ponomarev, some rights reserved (CC-BY-NC)
Demetrias monostigma
©Vytautas, some rights reserved (CC-BY-NC)
Demetrias monostigma
©Mareks Ievins, some rights reserved (CC-BY-NC)
Demetrias monostigma
©Mareks Ievins, some rights reserved (CC-BY-NC)
Demetrias monostigma
©AWI i Pr., some rights reserved (CC-BY-NC)
Demetrias monostigma
©Дэниал Юркевич, some rights reserved (CC-BY-NC)
Demetrias monostigma
©Peter Gabler, some rights reserved (CC0)
Demetrias monostigma
©Peter Gabler, some rights reserved (CC0)
Demetrias monostigma
©Bogdan Mazur, some rights reserved (CC-BY-NC)
Demetrias monostigma
©Degtyarev Nikolai Ivanovich, some rights reserved (CC-BY-NC)
Demetrias monostigma
©Degtyarev Nikolai Ivanovich, some rights reserved (CC-BY-NC)
Demetrias monostigma
©Degtyarev Nikolai Ivanovich, some rights reserved (CC-BY-NC)
Demetrias monostigma
©Kutushev Radik, some rights reserved (CC-BY-NC)
Demetrias monostigma
©garbenlogghe, some rights reserved (CC-BY-NC)