Dermestes mustelinus: taxon details and analytics
- Domain
- Kingdom
- Animalia
- Phylum
- Arthropoda
- Class
- Insecta
- Order
- Coleoptera
- Family
- Dermestidae
- Genus
- Dermestes
- Species
- Dermestes mustelinus
- Scientific Name
- Dermestes mustelinus
Summary description from Wikipedia:
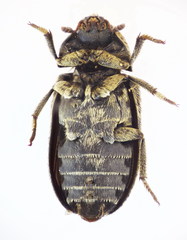
Dermestes mustelinus
Dermestes mustelinus é uma espécie de insetos coleópteros polífagos pertencente à família Dermestidae.
A autoridade científica da espécie é Erichson, tendo sido descrita no ano de 1846.
Trata-se de uma espécie presente no território português.
...Images from inaturalist.org observations:
We recommend you sign up for this excellent, free service.
Parent Taxon
Sibling Taxa
- Dermestes caninus
- Dermestes carnivorus
- Dermestes coronatus
- Dermestes dimidiatus
- Dermestes elegans
- Dermestes erichsoni
- Dermestes fasciatus
- Dermestes frischii
- Dermestes gyllenhalii
- Dermestes intermedius
- Dermestes kaszabi
- Dermestes laniarius
- Dermestes leopardinus
- Dermestes maculatus
- Dermestes marmoratus
- Dermestes murinus
- Dermestes mustelinus
- Dermestes rattus
- Dermestes sardous
- Dermestes szekessyi
- Dermestes talpinus
- Dermestes undulatus



















