Derobrachus sulcicornis: taxon details and analytics
- Domain
- Kingdom
- Animalia
- Phylum
- Arthropoda
- Class
- Insecta
- Order
- Coleoptera
- Family
- Cerambycidae
- Genus
- Derobrachus
- Species
- Derobrachus sulcicornis
- Scientific Name
- Derobrachus sulcicornis
Summary description from Wikipedia:
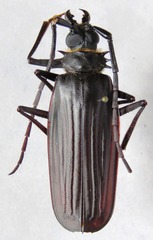
Derobrachus sulcicornis
Derobrachus sulcicornis is a species of beetle in the family Cerambycidae. It was described by John Lawrence LeConte in 1851.
...Parent Taxon
Sibling Taxa
- Derobrachus agyleus
- Derobrachus apterus
- Derobrachus asperatus
- Derobrachus brevicollis
- Derobrachus chemsaki
- Derobrachus digueti
- Derobrachus dohrni
- Derobrachus drumonti
- Derobrachus geminatus
- Derobrachus granulatus
- Derobrachus hovorei
- Derobrachus inaequalis
- Derobrachus leechi
- Derobrachus lingafelteri
- Derobrachus longicornis
- Derobrachus megacles
- Derobrachus procerus
- Derobrachus smithi
- Derobrachus sulcicornis
- Derobrachus thomasi
- Derobrachus wappesi



