Dicrepidius: taxon details and analytics

Domain
Kingdom
Animalia
Phylum
Arthropoda
Class
Insecta
Order
Coleoptera
Family
Elateridae
Genus
Dicrepidius
Species
Scientific Name
Dicrepidius

Summary description from Wikipedia:

Dicrepidius

Dicrepidius is een geslacht van kevers uit de familie kniptorren (Elateridae). Het geslacht is voor het eerst wetenschappelijk beschreven in 1829 door Eschscholtz.

...
 

Images from inaturalist.org observations:

We recommend you sign up for this excellent, free service.

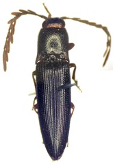
Dicrepidius
©Oscar Enciso, some rights reserved (CC-BY-NC)
Dicrepidius
©Oscar Enciso, some rights reserved (CC-BY-NC)
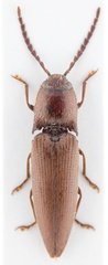
Dicrepidius
©sjreilly, some rights reserved (CC-BY-NC)
Dicrepidius
©sjreilly, some rights reserved (CC-BY-NC)
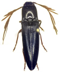
Dicrepidius
©Sidnei Dantas, some rights reserved (CC-BY-NC)
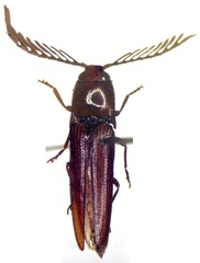
Dicrepidius
©Cheryl Harleston López Espino, some rights reserved (CC-BY-NC-ND)
Dicrepidius
©Cheryl Harleston López Espino, some rights reserved (CC-BY-NC-ND)
Dicrepidius
©Cheryl Harleston López Espino, some rights reserved (CC-BY-NC-ND)
Dicrepidius
©Cheryl Harleston López Espino, some rights reserved (CC-BY-NC-ND)
Dicrepidius
©David Vander Pluym, some rights reserved (CC-BY-NC)
Dicrepidius
©Lauren Zárate, some rights reserved (CC-BY-NC)
Dicrepidius
©Lauren Zárate, some rights reserved (CC-BY-NC)
Dicrepidius
©Lauren Zárate, some rights reserved (CC-BY-NC)
Dicrepidius
©Lauren Zárate, some rights reserved (CC-BY-NC)
Dicrepidius
©Lauren Zárate, some rights reserved (CC-BY-NC)
Dicrepidius
©Lea Morgan, some rights reserved (CC-BY-NC)
Dicrepidius
©Georgia Born-Schmidt, some rights reserved (CC-BY-NC)
Dicrepidius
©Georgia Born-Schmidt, some rights reserved (CC-BY-NC)
Dicrepidius
©Tom Murray, some rights reserved (CC-BY-NC)
Dicrepidius
©Tom Murray, some rights reserved (CC-BY-NC)
Dicrepidius
©Tom Murray, some rights reserved (CC-BY-NC)
Dicrepidius
©delmer jonathan, some rights reserved (CC-BY-NC)
Dicrepidius
©Tom Murray, some rights reserved (CC-BY-NC)
Dicrepidius
©Clemente Maciel, some rights reserved (CC-BY-NC)
Dicrepidius
©Nuno Simoes, some rights reserved (CC-BY-NC)
Dicrepidius
©Nuno Simoes, some rights reserved (CC-BY-NC)
Dicrepidius
©Nuno Simoes, some rights reserved (CC-BY-NC)
Dicrepidius
©Lesly Solis, some rights reserved (CC-BY-NC)
Dicrepidius
©Francisco Acosta, some rights reserved (CC-BY-NC)
Dicrepidius
©Francisco Acosta, some rights reserved (CC-BY-NC)
Dicrepidius
©Célio Moura Neto, some rights reserved (CC-BY)
Dicrepidius
©jmmaes, some rights reserved (CC-BY-SA)
Dicrepidius
©jmmaes, some rights reserved (CC-BY-SA)
Dicrepidius
©jmmaes, some rights reserved (CC-BY-SA)
Dicrepidius
©jmmaes, some rights reserved (CC-BY-SA)
Dicrepidius
©jmmaes, some rights reserved (CC-BY-SA)
Dicrepidius
©jmmaes, some rights reserved (CC-BY-SA)
Dicrepidius
©jmmaes, some rights reserved (CC-BY-SA)
Dicrepidius
©jmmaes, some rights reserved (CC-BY-SA)
Dicrepidius
©jmmaes, some rights reserved (CC-BY-SA)
Dicrepidius
©jmmaes, some rights reserved (CC-BY-SA)
Dicrepidius
©jmmaes, some rights reserved (CC-BY-SA)
Dicrepidius
©jmmaes, some rights reserved (CC-BY-SA)
Dicrepidius
©jmmaes, some rights reserved (CC-BY-SA)
Dicrepidius
©jmmaes, some rights reserved (CC-BY-SA)
Dicrepidius
©jmmaes, some rights reserved (CC-BY-SA)
Dicrepidius
©jmmaes, some rights reserved (CC-BY-SA)
Dicrepidius
©jmmaes, some rights reserved (CC-BY-SA)
Dicrepidius
©jmmaes, some rights reserved (CC-BY-SA)
Dicrepidius
©jmmaes, some rights reserved (CC-BY-SA)
Dicrepidius
©jmmaes, some rights reserved (CC-BY-SA)
Dicrepidius
©jmmaes, some rights reserved (CC-BY-SA)
Dicrepidius
©jmmaes, some rights reserved (CC-BY-SA)
Dicrepidius
©jmmaes, some rights reserved (CC-BY-SA)
Dicrepidius
©jmmaes, some rights reserved (CC-BY-SA)
Dicrepidius
©jmmaes, some rights reserved (CC-BY-SA)
Dicrepidius
©jmmaes, some rights reserved (CC-BY-SA)
Dicrepidius
©jmmaes, some rights reserved (CC-BY-SA)
Dicrepidius
©jmmaes, some rights reserved (CC-BY-SA)
Dicrepidius
©jmmaes, some rights reserved (CC-BY-SA)
Dicrepidius
©jmmaes, some rights reserved (CC-BY-SA)
Dicrepidius
©jmmaes, some rights reserved (CC-BY-SA)
Dicrepidius
©jmmaes, some rights reserved (CC-BY-SA)
Dicrepidius
©jmmaes, some rights reserved (CC-BY-SA)
Dicrepidius
©jmmaes, some rights reserved (CC-BY-SA)
Dicrepidius
©jmmaes, some rights reserved (CC-BY-SA)
Dicrepidius
©jmmaes, some rights reserved (CC-BY-SA)
Dicrepidius
©jmmaes, some rights reserved (CC-BY-SA)
Dicrepidius
©jmmaes, some rights reserved (CC-BY-SA)
Dicrepidius
©jmmaes, some rights reserved (CC-BY-SA)
Dicrepidius
©jmmaes, some rights reserved (CC-BY-SA)
Dicrepidius
©jmmaes, some rights reserved (CC-BY-SA)
Dicrepidius
©jmmaes, some rights reserved (CC-BY-SA)
Dicrepidius
©jmmaes, some rights reserved (CC-BY-SA)
Dicrepidius
©jmmaes, some rights reserved (CC-BY-SA)
Dicrepidius
©mamole, some rights reserved (CC-BY-NC)
Dicrepidius
©Jonathan J. Navarro Fonseca, some rights reserved (CC-BY-NC)
Dicrepidius
©Jonathan J. Navarro Fonseca, some rights reserved (CC-BY-NC)
Dicrepidius
©Jonathan J. Navarro Fonseca, some rights reserved (CC-BY-NC)
Dicrepidius
©madkaplan, some rights reserved (CC-BY-NC)
Dicrepidius
©madkaplan, some rights reserved (CC-BY-NC)
Dicrepidius
©madkaplan, some rights reserved (CC-BY-NC)
Dicrepidius
©madkaplan, some rights reserved (CC-BY-NC)
Dicrepidius
©Crowdy Pollock, some rights reserved (CC-BY-NC)
Dicrepidius
©Gustavo Arciga Cárdenas, some rights reserved (CC-BY-NC)
Dicrepidius
©elimaya, some rights reserved (CC-BY-NC)
Dicrepidius
©elimaya, some rights reserved (CC-BY-NC)
Dicrepidius
©elimaya, some rights reserved (CC-BY-NC)
Dicrepidius
©elimaya, some rights reserved (CC-BY-NC)
Dicrepidius
©Emmanuel Guevara Lazcano, some rights reserved (CC-BY-NC-SA)
Dicrepidius
©Emmanuel Guevara Lazcano, some rights reserved (CC-BY-NC-SA)
Dicrepidius
©emerlee, some rights reserved (CC-BY)
Dicrepidius
©marinavm, some rights reserved (CC-BY-NC)
Dicrepidius
©Rich Hoyer, some rights reserved (CC-BY-NC-SA)
Dicrepidius
©Joe Zito, some rights reserved (CC-BY-NC)
Dicrepidius
©Isaac Arias, some rights reserved (CC-BY-NC-SA)
Dicrepidius
©Isaac Arias, some rights reserved (CC-BY-NC-SA)
Dicrepidius
©prioninae_eu, some rights reserved (CC-BY-NC)
Dicrepidius
©prioninae_eu, some rights reserved (CC-BY-NC)
Dicrepidius
©prioninae_eu, some rights reserved (CC-BY-NC)
Dicrepidius
©prioninae_eu, some rights reserved (CC-BY-NC)
Dicrepidius
©prioninae_eu, some rights reserved (CC-BY-NC)
Dicrepidius
©Eric van den Berghe, some rights reserved (CC-BY-NC)
Dicrepidius
©Marco Zozaya, some rights reserved (CC-BY-NC)
Dicrepidius
©Juan Cruzado Cortés, some rights reserved (CC-BY-SA)
Dicrepidius
©kcthetc1, some rights reserved (CC0)
Dicrepidius
©Barry Sullender, some rights reserved (CC-BY-NC)
Dicrepidius
©Barry Sullender, some rights reserved (CC-BY-NC)
Dicrepidius
©Merav Vonshak, some rights reserved (CC-BY-NC)
Dicrepidius
©Merav Vonshak, some rights reserved (CC-BY-NC)
Dicrepidius
©jmmaes, some rights reserved (CC-BY-SA)
Dicrepidius
©jmmaes, some rights reserved (CC-BY-SA)
Dicrepidius
©jmmaes, some rights reserved (CC-BY-SA)
Dicrepidius
©jmmaes, some rights reserved (CC-BY-SA)
Dicrepidius
©jmmaes, some rights reserved (CC-BY-SA)
Dicrepidius
©jmmaes, some rights reserved (CC-BY-SA)
Dicrepidius
©jmmaes, some rights reserved (CC-BY-SA)
Dicrepidius
©Eric van den Berghe, some rights reserved (CC-BY-NC)
Dicrepidius
©Ezequiel Vera, some rights reserved (CC-BY-NC)
Dicrepidius
©Ezequiel Vera, some rights reserved (CC-BY-NC)
Dicrepidius
©Ezequiel Vera, some rights reserved (CC-BY-NC)