Skip to the navigation
.
Skip to the content
.
BioSurveys.org
Surveying life, socially, locally.
places search
taxa search
Color
Sign In
Dinomachus fusus: taxon details and analytics
Domain
Kingdom
Animalia
Phylum
Arthropoda
Class
Insecta
Order
Hemiptera
Family
Heterogastridae
Genus
Dinomachus
Species
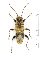
Dinomachus fusus
Scientific Name
Dinomachus fusus
Images from inaturalist.org observations:
We recommend you sign up for this excellent, free service.
©Claas Damken, some rights reserved (CC-BY-SA)
Parent Taxon
Dinomachus
Sibling Taxa
Dinomachus australis
Dinomachus capeneri
Dinomachus fusus
Dinomachus indicus
Dinomachus marshalli
Dinomachus rhacinus
Dinomachus sikhimensis
Dinomachus stuckenbergi
Dinomachus superbus
Top Observation Places
Share
Tweet
Back to Top
Biosurveys - Crowd Sourced Local Biogeography Login