Dinotrema: taxon details and analytics
- Domain
- Kingdom
- Animalia
- Phylum
- Arthropoda
- Class
- Insecta
- Order
- Hymenoptera
- Family
- Braconidae
- Genus
- Dinotrema
- Species
- Scientific Name
- Dinotrema
Summary description from Wikipedia:
Dinotrema
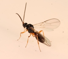
Dinotrema is a genus of wasps in the family Braconidae. Species are amongst the largest parasitoid wasps in the tribe Alysiini (Alysiinae). There are approximately 350 species described around worldwide.
...Images from inaturalist.org observations:
We recommend you sign up for this excellent, free service.
Parent Taxon
Sibling Taxa
- Adelphenaldis
- Adelurola
- Alitha
- Alloea
- Alysia
- Alysiasta
- Angelovia
- Anisocyrta
- Aphaereta
- Apronopa
- Asobara
- Aspilota
- Asyntactus
- Atopandrium
- Bobekia
- Bobekoides
- Carinthilota
- Chasmodon
- Coelalysia
- Cratospila
- Dacnulysia
- Dapsilarthra
- Dinostigma
- Dinotrema
- Eudinostigma
- Euphaenocarpa
- Glyphogaster
- Gnathopleura
- Grammospila
- Haeselyusa
- Heratemis
- Heterolexis
- Hovalysia
- Hylcalosia
- Idiasta
- Idiolexis
- Leptotrema
- Mesocrina
- Neurolarthra
- Oenonogastra
- Orthostigma
- Panerema
- Pentapleura
- Phaenocarpa
- Phasmalysia
- Pneumosema
- Pseudopezomachus
- Pterusa
- Regetus
- Senwot
- Separatatus
- Symphanes
- Synaldis
- Syncrasis
- Tanycarpa
- Trachyusa








