Dolerus gilvipes: taxon details and analytics
- Domain
- Kingdom
- Animalia
- Phylum
- Arthropoda
- Class
- Insecta
- Order
- Hymenoptera
- Family
- Tenthredinidae
- Genus
- Dolerus
- Species
- Dolerus gilvipes
- Scientific Name
- Dolerus gilvipes
Summary description from Wikipedia:
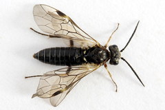
Dolerus gilvipes
Dolerus gilvipes is een vliesvleugelig insect uit de familie van de bladwespen (Tenthredinidae). De wetenschappelijke naam van de soort is voor het eerst geldig gepubliceerd in 1818 door Klug.
...Images from inaturalist.org observations:
We recommend you sign up for this excellent, free service.
Parent Taxon
Sibling Taxa
- Dolerus abdominalis
- Dolerus aeneus
- Dolerus aericeps
- Dolerus agcistus
- Dolerus anticus
- Dolerus apricus
- Dolerus aprilis
- Dolerus asper
- Dolerus bajulus
- Dolerus bicolor
- Dolerus bimaculatus
- Dolerus blanki
- Dolerus brevicornis
- Dolerus collaris
- Dolerus coracinus
- Dolerus dimidiatus
- Dolerus elderi
- Dolerus ephippiatus
- Dolerus eversmanni
- Dolerus ferrugatus
- Dolerus fumosus
- Dolerus genucinctus
- Dolerus germanicus
- Dolerus gessneri
- Dolerus gibbosus
- Dolerus gilvipes
- Dolerus gonager
- Dolerus haematodes
- Dolerus harwoodi
- Dolerus hebes
- Dolerus illini
- Dolerus junci
- Dolerus liogaster
- Dolerus luctuosus
- Dolerus madidus
- Dolerus melanopterus
- Dolerus napaeus
- Dolerus nauticus
- Dolerus neoagcistus
- Dolerus neocollaris
- Dolerus niger
- Dolerus nigratus
- Dolerus nitens
- Dolerus okeanskajensis
- Dolerus pachycerus
- Dolerus pallimacula
- Dolerus picipes
- Dolerus planatus
- Dolerus pratensis
- Dolerus pratorum
- Dolerus pusillus
- Dolerus rufotorquatus
- Dolerus sanguinicollis
- Dolerus schmidti
- Dolerus similis
- Dolerus stygius
- Dolerus tejoniensis
- Dolerus tibialis
- Dolerus timidus
- Dolerus triplicatus
- Dolerus unicolor
- Dolerus varispinus
- Dolerus vernus
- Dolerus vestigialis
- Dolerus vicinus
- Dolerus vulneratus
- Dolerus yokohamensis
- Dolerus yukonensis
- Dolerus zhelochovtsevi


































































