Donaciinae: taxon details and analytics
- Domain
- Kingdom
- Animalia
- Phylum
- Arthropoda
- Class
- Insecta
- Order
- Coleoptera
- Family
- Chrysomelidae
- Genus
- Species
- Scientific Name
- Donaciinae
Summary description from Wikipedia:
Donaciinae
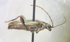
The Donaciinae are a subfamily of the leaf beetles, or Chrysomelidae, characterised by densely pubescent underside, generally club-shaped hind femora with one or two ventral teeth, and distinctly long antennae. They are found in mainly the Northern Hemisphere, with some species found in the Africa and Australasia.
...Donaciinae in languages:
- Czech
- rákosníčci
- Danish
- Sivbukke
- English
- Aquatic Leaf Beetles
- Estonian
- Roomardiklased
- German
- Rohrkäfer
- Japanese
- ネクイハムシ亜科
- Korean
- 뿌리잎벌레아과
- Lithuanian
- Donacijėnai
- Russian
- Радужницы
- Swedish
- bladbockar
Images from inaturalist.org observations:
We recommend you sign up for this excellent, free service.




























































































































































