Draeculacephala balli: taxon details and analytics

Domain
Kingdom
Animalia
Phylum
Arthropoda
Class
Insecta
Order
Hemiptera
Family
Cicadellidae
Genus
Draeculacephala
Species
Draeculacephala balli
Scientific Name
Draeculacephala balli

Summary description from Wikipedia:

Draeculacephala balli

Draeculacephala balli är en insektsart som beskrevs av Van Duzee 1915. Draeculacephala balli ingår i släktet Draeculacephala och familjen dvärgstritar. Inga underarter finns listade i Catalogue of Life.

...
 

Images from inaturalist.org observations:

We recommend you sign up for this excellent, free service.

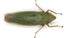
Draeculacephala balli
©Safron, some rights reserved (CC-BY-NC)
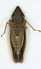
Draeculacephala balli
©Safron, some rights reserved (CC-BY-NC)
Draeculacephala balli
©solomon hendrix, some rights reserved (CC-BY-NC)
Draeculacephala balli
©solomon hendrix, some rights reserved (CC-BY-NC)
Draeculacephala balli
©solomon hendrix, some rights reserved (CC-BY-NC)
Draeculacephala balli
©Joshua Doby, some rights reserved (CC-BY-NC)
Draeculacephala balli
©solomon hendrix, some rights reserved (CC-BY-NC)
Draeculacephala balli
©solomon hendrix, some rights reserved (CC-BY-NC)
Draeculacephala balli
©solomon hendrix, some rights reserved (CC-BY-NC)
Draeculacephala balli
©solomon hendrix, some rights reserved (CC-BY-NC)
Draeculacephala balli
©solomon hendrix, some rights reserved (CC-BY-NC)
Draeculacephala balli
©solomon hendrix, some rights reserved (CC-BY-NC)
Draeculacephala balli
©Francis Stiteler, some rights reserved (CC-BY-NC)
Draeculacephala balli
©Francis Stiteler, some rights reserved (CC-BY-NC)
Draeculacephala balli
©Francis Stiteler, some rights reserved (CC-BY-NC)
Draeculacephala balli
©Francis Stiteler, some rights reserved (CC-BY-NC)
Draeculacephala balli
©Francis Stiteler, some rights reserved (CC-BY-NC)
Draeculacephala balli
©Francis Stiteler, some rights reserved (CC-BY-NC)
Draeculacephala balli
©Francis Stiteler, some rights reserved (CC-BY-NC)
Draeculacephala balli
©stephen4-7pagans, some rights reserved (CC-BY-NC)
Draeculacephala balli
©Vitaly Charny, some rights reserved (CC-BY-NC)
Draeculacephala balli
©Spencer B., some rights reserved (CC-BY-NC)
Draeculacephala balli
©Vitaly Charny, some rights reserved (CC-BY-NC)
Draeculacephala balli
©bonnieeamick, some rights reserved (CC-BY-NC)
Draeculacephala balli
©bonnieeamick, some rights reserved (CC-BY-NC)
Draeculacephala balli
©Craig&Sharon, some rights reserved (CC-BY-NC)
Draeculacephala balli
©emmakaminsky, some rights reserved (CC-BY-NC)
Draeculacephala balli
©emmakaminsky, some rights reserved (CC-BY-NC)
Draeculacephala balli
©emmakaminsky, some rights reserved (CC-BY-NC)
Draeculacephala balli
©emmakaminsky, some rights reserved (CC-BY-NC)
Draeculacephala balli
©emmakaminsky, some rights reserved (CC-BY-NC)
Draeculacephala balli
©Francis Stiteler, some rights reserved (CC-BY-NC)
Draeculacephala balli
©Francis Stiteler, some rights reserved (CC-BY-NC)
Draeculacephala balli
©Francis Stiteler, some rights reserved (CC-BY-NC)
Draeculacephala balli
©David George, some rights reserved (CC-BY)
Draeculacephala balli
©Jordan Broadhead, some rights reserved (CC-BY-NC)
Draeculacephala balli
©Jordan Broadhead, some rights reserved (CC-BY-NC)
Draeculacephala balli
©Francis Stiteler, some rights reserved (CC-BY-NC)
Draeculacephala balli
©Francis Stiteler, some rights reserved (CC-BY-NC)
Draeculacephala balli
©Vitaly Charny, some rights reserved (CC-BY-NC)
Draeculacephala balli
©Francis Stiteler, some rights reserved (CC-BY-NC)
Draeculacephala balli
©Francis Stiteler, some rights reserved (CC-BY-NC)
Draeculacephala balli
©Rose A. Payne, some rights reserved (CC-BY-NC)
Draeculacephala balli
©Rose A. Payne, some rights reserved (CC-BY-NC)
Draeculacephala balli
©Steven Joyner, some rights reserved (CC-BY)
Draeculacephala balli
©Max J. Ford, some rights reserved (CC-BY-NC)
Draeculacephala balli
©Max J. Ford, some rights reserved (CC-BY-NC)
Draeculacephala balli
©Max J. Ford, some rights reserved (CC-BY-NC)
Draeculacephala balli
©Rose A. Payne, some rights reserved (CC-BY-NC)
Draeculacephala balli
©Rose A. Payne, some rights reserved (CC-BY-NC)
Draeculacephala balli
©Rose A. Payne, some rights reserved (CC-BY-NC)
Draeculacephala balli
©Rose A. Payne, some rights reserved (CC-BY-NC)
Draeculacephala balli
©Erik Johnson, some rights reserved (CC-BY-NC)
Draeculacephala balli
©Erik Johnson, some rights reserved (CC-BY-NC)
Draeculacephala balli
©Wayne Fidler, some rights reserved (CC-BY-NC)
Draeculacephala balli
©Steven Joyner, some rights reserved (CC-BY)
Draeculacephala balli
©Louise Woodrich, some rights reserved (CC-BY)
Draeculacephala balli
©Louise Woodrich, some rights reserved (CC-BY)
Draeculacephala balli
©Safron, some rights reserved (CC-BY-NC)
Draeculacephala balli
©Michael P. Riggs, some rights reserved (CC-BY-NC)
Draeculacephala balli
©Michael P. Riggs, some rights reserved (CC-BY-NC)
Draeculacephala balli
©Michael P. Riggs, some rights reserved (CC-BY-NC)
Draeculacephala balli
©riversideelementary, some rights reserved (CC-BY-NC)
Draeculacephala balli
©westwind78, some rights reserved (CC-BY-NC)
Draeculacephala balli
©Zoology123, some rights reserved (CC-BY-NC)
Draeculacephala balli
©Zoology123, some rights reserved (CC-BY-NC)
Draeculacephala balli
©Zoology123, some rights reserved (CC-BY-NC)
Draeculacephala balli
©Zoology123, some rights reserved (CC-BY-NC)
Draeculacephala balli
©Zoology123, some rights reserved (CC-BY-NC)
Draeculacephala balli
©Zoology123, some rights reserved (CC-BY-NC)
Draeculacephala balli
©Zoology123, some rights reserved (CC-BY-NC)
Draeculacephala balli
©Zoology123, some rights reserved (CC-BY-NC)
Draeculacephala balli
©Zoology123, some rights reserved (CC-BY-NC)
Draeculacephala balli
©Zoology123, some rights reserved (CC-BY-NC)
Draeculacephala balli
©Zoology123, some rights reserved (CC-BY-NC)
Draeculacephala balli
©Zoology123, some rights reserved (CC-BY-NC)
Draeculacephala balli
©Zoology123, some rights reserved (CC-BY-NC)
Draeculacephala balli
©Zoology123, some rights reserved (CC-BY-NC)
Draeculacephala balli
©Matthew L. Niemiller, some rights reserved (CC-BY-NC)
Draeculacephala balli
©Kyhl Austin, some rights reserved (CC-BY-NC)
Draeculacephala balli
©Luke Armstrong, some rights reserved (CC-BY-NC)
Draeculacephala balli
©Zoology123, some rights reserved (CC-BY-NC)
Draeculacephala balli
©Jonathan Falso, some rights reserved (CC-BY-NC)
Draeculacephala balli
©Jonathan Falso, some rights reserved (CC-BY-NC)
Draeculacephala balli
©Jonathan Falso, some rights reserved (CC-BY-NC)
Draeculacephala balli
©Jonathan Falso, some rights reserved (CC-BY-NC)
Draeculacephala balli
©Jonathan Falso, some rights reserved (CC-BY-NC)
Draeculacephala balli
©Ken Kneidel, some rights reserved (CC0)
Draeculacephala balli
©Ken Kneidel, some rights reserved (CC0)
Draeculacephala balli
©Margarita Lankford, some rights reserved (CC-BY-NC)
Draeculacephala balli
©Margarita Lankford, some rights reserved (CC-BY-NC)
Draeculacephala balli
©Margarita Lankford, some rights reserved (CC-BY-NC)
Draeculacephala balli
©Margarita Lankford, some rights reserved (CC-BY-NC)
Draeculacephala balli
©Ken Kneidel, some rights reserved (CC0)
Draeculacephala balli
©Ken Kneidel, some rights reserved (CC0)
Draeculacephala balli
©Ken Kneidel, some rights reserved (CC0)
Draeculacephala balli
©Margarita Lankford, some rights reserved (CC-BY-NC)
Draeculacephala balli
©Margarita Lankford, some rights reserved (CC-BY-NC)
Draeculacephala balli
©Margarita Lankford, some rights reserved (CC-BY-NC)
Draeculacephala balli
©Margarita Lankford, some rights reserved (CC-BY-NC)
Draeculacephala balli
©Margarita Lankford, some rights reserved (CC-BY-NC)
Draeculacephala balli
©Margarita Lankford, some rights reserved (CC-BY-NC)
Draeculacephala balli
©Margarita Lankford, some rights reserved (CC-BY-NC)
Draeculacephala balli
©Margarita Lankford, some rights reserved (CC-BY-NC)
Draeculacephala balli
©tallastro, some rights reserved (CC-BY-NC)
Draeculacephala balli
©Elizabeth Taylor, some rights reserved (CC-BY-NC)
Draeculacephala balli
©Margarita Lankford, some rights reserved (CC-BY-NC)
Draeculacephala balli
©Margarita Lankford, some rights reserved (CC-BY-NC)
Draeculacephala balli
©Zoology123, some rights reserved (CC-BY-NC)
Draeculacephala balli
©Zoology123, some rights reserved (CC-BY-NC)
Draeculacephala balli
©Zoology123, some rights reserved (CC-BY-NC)
Draeculacephala balli
©amarcianae, some rights reserved (CC-BY-NC)
Draeculacephala balli
©amarcianae, some rights reserved (CC-BY-NC)
Draeculacephala balli
©Bo Abernethy, some rights reserved (CC-BY-NC)
Draeculacephala balli
©Zoology123, some rights reserved (CC-BY-NC)
Draeculacephala balli
©Zoology123, some rights reserved (CC-BY-NC)
Draeculacephala balli
©Zoology123, some rights reserved (CC-BY-NC)
Draeculacephala balli
©Margarita Lankford, some rights reserved (CC-BY-NC)
Draeculacephala balli
©Margarita Lankford, some rights reserved (CC-BY-NC)
Draeculacephala balli
©Zoology123, some rights reserved (CC-BY-NC)
Draeculacephala balli
©Zoology123, some rights reserved (CC-BY-NC)
Draeculacephala balli
©eamonccorbett, some rights reserved (CC-BY)
Draeculacephala balli
©Zoology123, some rights reserved (CC-BY-NC)
Draeculacephala balli
©Margarita Lankford, some rights reserved (CC-BY-NC)
Draeculacephala balli
©Margarita Lankford, some rights reserved (CC-BY-NC)
Draeculacephala balli
©Margarita Lankford, some rights reserved (CC-BY-NC)
Draeculacephala balli
©Kevin Metcalf, some rights reserved (CC-BY-NC)
Draeculacephala balli
©Kevin Metcalf, some rights reserved (CC-BY-NC)
Draeculacephala balli
©Kevin Metcalf, some rights reserved (CC-BY-NC)
Draeculacephala balli
©Kevin Metcalf, some rights reserved (CC-BY-NC)
Draeculacephala balli
©Robert Meehan, some rights reserved (CC-BY-NC)
Draeculacephala balli
©Kevin Metcalf, some rights reserved (CC-BY-NC)
Draeculacephala balli
©Kevin Metcalf, some rights reserved (CC-BY-NC)
Draeculacephala balli
©Margarita Lankford, some rights reserved (CC-BY-NC)
Draeculacephala balli
©Margarita Lankford, some rights reserved (CC-BY-NC)
Draeculacephala balli
©Margarita Lankford, some rights reserved (CC-BY-NC)
Draeculacephala balli
©Margarita Lankford, some rights reserved (CC-BY-NC)
Draeculacephala balli
©ncb1221, some rights reserved (CC-BY)
Draeculacephala balli
©Margarita Lankford, some rights reserved (CC-BY-NC)
Draeculacephala balli
©Margarita Lankford, some rights reserved (CC-BY-NC)
Draeculacephala balli
©Joshua Doby, some rights reserved (CC-BY-NC)
Draeculacephala balli
©zoiseaux, some rights reserved (CC-BY-NC)
Draeculacephala balli
©zoiseaux, some rights reserved (CC-BY-NC)
Draeculacephala balli
©zoiseaux, some rights reserved (CC-BY-NC)
Draeculacephala balli
©zoiseaux, some rights reserved (CC-BY-NC)
Draeculacephala balli
©zoiseaux, some rights reserved (CC-BY-NC)
Draeculacephala balli
©zoiseaux, some rights reserved (CC-BY-NC)
Draeculacephala balli
©zoiseaux, some rights reserved (CC-BY-NC)
Draeculacephala balli
©zoiseaux, some rights reserved (CC-BY-NC)
Draeculacephala balli
©zoiseaux, some rights reserved (CC-BY-NC)
Draeculacephala balli
©zoiseaux, some rights reserved (CC-BY-NC)
Draeculacephala balli
©zoiseaux, some rights reserved (CC-BY-NC)
Draeculacephala balli
©zoiseaux, some rights reserved (CC-BY-NC)
Draeculacephala balli
©zoiseaux, some rights reserved (CC-BY-NC)
Draeculacephala balli
©zoiseaux, some rights reserved (CC-BY-NC)
Draeculacephala balli
©zoiseaux, some rights reserved (CC-BY-NC)
Draeculacephala balli
©Francis Stiteler, some rights reserved (CC-BY-NC)
Draeculacephala balli
©Bea Leiderman, some rights reserved (CC-BY-NC)
Draeculacephala balli
©Margarita Lankford, some rights reserved (CC-BY-NC)
Draeculacephala balli
©Louise Woodrich, some rights reserved (CC-BY)