Dryomyzidae: taxon details and analytics
- Domain
- Kingdom
- Animalia
- Phylum
- Arthropoda
- Class
- Insecta
- Order
- Diptera
- Family
- Dryomyzidae
- Genus
- Species
- Scientific Name
- Dryomyzidae
Summary description from Wikipedia:
Dryomyzidae
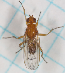
The Dryomyzidae are a small family of flies ranging from 4–18 mm long, with prominent bristles, and yellow to brown or rust-yellow coloring. The wings are very large. The subcosta is complete and well separated from vein 1. Larvae feed on decaying organic matter - carrion, dung, and fungi. The prelambrum protrudes from the oral cavity. Vibrissae are absent and the postvertical bristles are divergent.
The roughly 22 species are placed in 6 genera (with two additional genera known only as fossils). Dryomyzid flies are found principally in the Holarctic, though some are found in the Southern Hemisphere. Very little is known of the habits of the adults or immatures, but adults are found in moist, shady habits among low-growing vegetation.
...Dryomyzidae in languages:
- Czech
- temnomilkovití
- German
- Baumfliegen
- Japanese
- ベッコウバエ科
- Korean
- 대모파리과
- Swedish
- buskflugor
Images from inaturalist.org observations:
We recommend you sign up for this excellent, free service.































































































































































