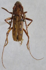
Eburia crinita: taxon details and analytics
- Domain
- Kingdom
- Animalia
- Phylum
- Arthropoda
- Class
- Insecta
- Order
- Coleoptera
- Family
- Cerambycidae
- Genus
- Eburia
- Species
- Eburia crinita
- Scientific Name
- Eburia crinita
Summary description from Wikipedia:
Parent Taxon
Sibling Taxa
- Coeleburia
- Eburia aegrota
- Eburia aliciae
- Eburia amabilis
- Eburia angeldiazi
- Eburia baroni
- Eburia bonairensis
- Eburia brevicornis
- Eburia brevispinis
- Eburia brunneicomis
- Eburia cacapyra
- Eburia caymanensis
- Eburia championi
- Eburia charmata
- Eburia chemsaki
- Eburia cinerea
- Eburia clara
- Eburia concisispinis
- Eburia confusa
- Eburia copei
- Eburia crinita
- Eburia cruciata
- Eburia cubae
- Eburia decemmaculata
- Eburia dejeani
- Eburia didyma
- Eburia distincta
- Eburia elegans
- Eburia fisheri
- Eburia haldemani
- Eburia hovorei
- Eburia inarmata
- Eburia inexpectata
- Eburia insulana
- Eburia jamaicae
- Eburia juanitae
- Eburia lanigera
- Eburia laticollis
- Eburia latispina
- Eburia lewisi
- Eburia linsleyi
- Eburia longicornis
- Eburia maccartyi
- Eburia macrotaenia
- Eburia mutata
- Eburia mutica
- Eburia nigrovittata
- Eburia octomaculata
- Eburia ovicollis
- Eburia paraegrota
- Eburia pecki
- Eburia pedestris
- Eburia perezi
- Eburia pilosa
- Eburia portoricensis
- Eburia porulosa
- Eburia powelli
- Eburia pseudostigma
- Eburia quadrigeminata
- Eburia quadrimaculata
- Eburia ribardoi
- Eburia rufobrunnea
- Eburia schusteri
- Eburia sericea
- Eburia stigma
- Eburia submutata
- Eburia terroni
- Eburia tetrastalacta
- Eburia thoracica
- Eburia velmae
- Eleutho
