Eburodacrys havanensis: taxon details and analytics
- Domain
- Kingdom
- Animalia
- Phylum
- Arthropoda
- Class
- Insecta
- Order
- Coleoptera
- Family
- Cerambycidae
- Genus
- Eburodacrys
- Species
- Eburodacrys havanensis
- Scientific Name
- Eburodacrys havanensis
Summary description from Wikipedia:
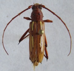
Eburodacrys havanensis
Eburodacrys havanensis is a species of beetle in the family Cerambycidae. It was described by Chevrolat in 1862.
...Images from inaturalist.org observations:
We recommend you sign up for this excellent, free service.
Parent Taxon
Sibling Taxa
- Eburodacrys alini
- Eburodacrys asperula
- Eburodacrys assimilis
- Eburodacrys bilineata
- Eburodacrys callixantha
- Eburodacrys campestris
- Eburodacrys catarina
- Eburodacrys cincora
- Eburodacrys coalescens
- Eburodacrys crassimana
- Eburodacrys cunusaia
- Eburodacrys dubitata
- Eburodacrys flexuosa
- Eburodacrys fortunata
- Eburodacrys gigas
- Eburodacrys granipennis
- Eburodacrys guttata
- Eburodacrys havanensis
- Eburodacrys laevicornis
- Eburodacrys lanei
- Eburodacrys lepida
- Eburodacrys longilineata
- Eburodacrys luederwaldti
- Eburodacrys lugubris
- Eburodacrys nemorivaga
- Eburodacrys perspicillaris
- Eburodacrys pilicornis
- Eburodacrys punctipennis
- Eburodacrys quadridens
- Eburodacrys rhabdota
- Eburodacrys rufispinis
- Eburodacrys sanguinipes
- Eburodacrys seabrai
- Eburodacrys seminigra
- Eburodacrys sexmaculata
- Eburodacrys sticticollis
- Eburodacrys sulfurifera
- Eburodacrys sulphureosignata
- Eburodacrys trilineata
- Eburodacrys triocellata
- Eburodacrys truncata
- Eburodacrys tuberosa
- Eburodacrys vittata
- Eburodacrys yolandae
















