Elytroleptus divisus: taxon details and analytics
- Domain
- Kingdom
- Animalia
- Phylum
- Arthropoda
- Class
- Insecta
- Order
- Coleoptera
- Family
- Cerambycidae
- Genus
- Elytroleptus
- Species
- Elytroleptus divisus
- Scientific Name
- Elytroleptus divisus
Summary description from Wikipedia:
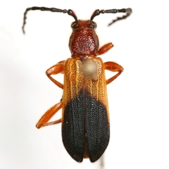
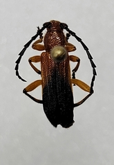
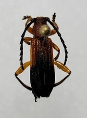
Elytroleptus divisus
Elytroleptus divisus is a species of beetle in the family Cerambycidae. It was described by John Lawrence LeConte in 1884.
...Images from inaturalist.org observations:
We recommend you sign up for this excellent, free service.
Parent Taxon
Sibling Taxa
- Elytroleptus apicalis
- Elytroleptus dichromaticus
- Elytroleptus divisus
- Elytroleptus floridanus
- Elytroleptus grandis
- Elytroleptus humeralis
- Elytroleptus ignitus
- Elytroleptus immaculipennis
- Elytroleptus limpianus
- Elytroleptus luteicollis
- Elytroleptus luteus
- Elytroleptus nigripennis
- Elytroleptus pallidus
- Elytroleptus peninsularis
- Elytroleptus rufipennis
- Elytroleptus scabricollis
- Elytroleptus similis












