Enicospilus: taxon details and analytics
- Domain
- Kingdom
- Animalia
- Phylum
- Arthropoda
- Class
- Insecta
- Order
- Hymenoptera
- Family
- Ichneumonidae
- Genus
- Enicospilus
- Species
- Scientific Name
- Enicospilus
Summary description from Wikipedia:
Enicospilus
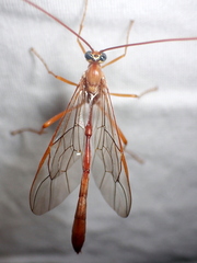
Enicospilus is a genus of large Ichneumonidae wasps. They are unusual for wasps in that they fly at night and can be found near porch lights. While these wasps resemble crane flies with long legs and long, thin bodies, the presence of two sets of wings distinguishes them from the single pair of wings of Diptera (true flies including crane flies). There are almost 700 described species of Enicospilus. They are larval parasitoids of various large moths, including Lasiocampidae, Noctuidae and Saturniidae.
Enicospilus in languages:
- Chinese
- 細顎姬蜂屬
- Japanese
- ホシアメバチ属
- Korean
- 별자루맵시벌속
Images from inaturalist.org observations:
We recommend you sign up for this excellent, free service.
Parent Taxon
Child Taxa
- Enicospilus abdominalis
- Enicospilus abessyniensis
- Enicospilus aciculatus
- Enicospilus addendus
- Enicospilus agrophus
- Enicospilus albiger
- Enicospilus americanus-complex
- Enicospilus angustatus
- Enicospilus antefurcalis
- Enicospilus atrodecoratus
- Enicospilus babauthi
- Enicospilus bajulus
- Enicospilus batus
- Enicospilus bellator
- Enicospilus betanimenus
- Enicospilus bicoloratus
- Enicospilus bifasciatus
- Enicospilus biimpressus
- Enicospilus bipartitus
- Enicospilus borroloolai
- Enicospilus braunsii
- Enicospilus brevicornis
- Enicospilus calcator
- Enicospilus cameroni
- Enicospilus camerunensis
- Enicospilus capensis
- Enicospilus castaneus
- Enicospilus catemacoi
- Enicospilus chiriquensis
- Enicospilus coarctatus
- Enicospilus colini
- Enicospilus columbianus
- Enicospilus communis
- Enicospilus congoensis
- Enicospilus consobrinus
- Enicospilus cornifuscus
- Enicospilus cressoni
- Enicospilus cubensis
- Enicospilus cubitalis
- Enicospilus cushmani
- Enicospilus dasychirae
- Enicospilus devriesi
- Enicospilus dirzoi
- Enicospilus dispilus
- Enicospilus divisus
- Enicospilus dolosus
- Enicospilus donahuei
- Enicospilus drakensbergi
- Enicospilus dubitator
- Enicospilus dubius
- Enicospilus echeverri
- Enicospilus emcedius
- Enicospilus faciator
- Enicospilus fenestralis
- Enicospilus fernaldi
- Enicospilus finalis
- Enicospilus flavicaput
- Enicospilus flavo
- Enicospilus flavocephalus
- Enicospilus flavoscutellatus
- Enicospilus flavostigma
- Enicospilus flavus
- Enicospilus forsythei
- Enicospilus gallegosi
- Enicospilus gardei
- Enicospilus gomezpompai
- Enicospilus grandiflavus
- Enicospilus grandis
- Enicospilus guatemalensis
- Enicospilus hacha
- Enicospilus halffteri
- Enicospilus hawaiiensis
- Enicospilus helvolus
- Enicospilus henryi
- Enicospilus herero
- Enicospilus hookeri
- Enicospilus hoplus
- Enicospilus hova
- Enicospilus icterus
- Enicospilus inflexus
- Enicospilus insularis
- Enicospilus jesicae
- Enicospilus justus
- Enicospilus kaalae
- Enicospilus kanshirensis
- Enicospilus kleini
- Enicospilus ktesus
- Enicospilus lacsa
- Enicospilus leionotus
- Enicospilus leucocotis
- Enicospilus liesneri
- Enicospilus lineatus
- Enicospilus lineolatus
- Enicospilus longicornis
- Enicospilus luisi
- Enicospilus lupemejia
- Enicospilus maculipennis
- Enicospilus marjorieae
- Enicospilus masneri
- Enicospilus masoni
- Enicospilus mauritii
- Enicospilus melanocarpus
- Enicospilus merdarius
- Enicospilus mexicanus
- Enicospilus miscophus
- Enicospilus moea
- Enicospilus molokaiensis
- Enicospilus monticola
- Enicospilus natalensis
- Enicospilus neotropicus
- Enicospilus nesius
- Enicospilus niger
- Enicospilus nigrinervis
- Enicospilus nigrolineatus
- Enicospilus nigronotatus
- Enicospilus nigropectus
- Enicospilus nugalis
- Enicospilus obtusangulus
- Enicospilus ocellatus
- Enicospilus oculator
- Enicospilus orbitalis
- Enicospilus orosii
- Enicospilus pacificus
- Enicospilus pallidistigma
- Enicospilus pallidus
- Enicospilus parkeri
- Enicospilus pluvius
- Enicospilus prolixus
- Enicospilus prospiracularis
- Enicospilus pulkus
- Enicospilus pungens
- Enicospilus purgatus
- Enicospilus quietus
- Enicospilus quintanai
- Enicospilus quogiae
- Enicospilus radialis
- Enicospilus ramidulops
- Enicospilus ramidulus-complex
- Enicospilus randalli
- Enicospilus ranunculus
- Enicospilus recavus
- Enicospilus rechingeri
- Enicospilus rehanarius
- Enicospilus repentinus
- Enicospilus reti
- Enicospilus rhanus
- Enicospilus rhetus
- Enicospilus riukiuensis
- Enicospilus robertoi
- Enicospilus rogus
- Enicospilus rubens
- Enicospilus rufinervis
- Enicospilus rufoniger
- Enicospilus rufus
- Enicospilus ruidus
- Enicospilus rundiensis
- Enicospilus runicus
- Enicospilus ruscus
- Enicospilus ruskini
- Enicospilus russatus
- Enicospilus ruwenzorius
- Enicospilus ryrholmi
- Enicospilus sakaguchii
- Enicospilus sambucus
- Enicospilus sanchezi
- Enicospilus sarukhani
- Enicospilus sausi
- Enicospilus sauteri
- Enicospilus scitus
- Enicospilus scuintlei
- Enicospilus sedlaceki
- Enicospilus selenospilus
- Enicospilus selmatos
- Enicospilus semenovi
- Enicospilus seminiger
- Enicospilus senescens
- Enicospilus serphus
- Enicospilus sesamiae
- Enicospilus seyrigi
- Enicospilus shanahani
- Enicospilus shiheziensis
- Enicospilus shikokuensis
- Enicospilus shinkanus
- Enicospilus sigmatoides
- Enicospilus signativentris
- Enicospilus simandrius
- Enicospilus simoni
- Enicospilus skeltonii
- Enicospilus stevensi
- Enicospilus striatipleuris
- Enicospilus taxus
- Enicospilus tournieri
- Enicospilus transvaalensis
- Enicospilus trilineatus
- Enicospilus tyrannus
- Enicospilus ugaldei
- Enicospilus undetermined
- Enicospilus undulatus
- Enicospilus unidens
- Enicospilus vatius
- Enicospilus vitry
- Enicospilus vorax
- Enicospilus xanthocarpus
- Enicospilus xanthocephalus
- Enicospilus xanthostigma
Top Observation Places
- Arlington
- Jardim Paulista
- Bengaluru
- Vila Nova de Gaia
- Cambridge
- Somerville
- Allen
- Fort Worth
- Taipei
- Banqiao
- Balvanera
- Belgrano
- Colegiales
- Gainesville
- New Orleans
- Metairie Terrace
- Metairie
- Adelaide
- Adelaide Hills
- Austin
- Round Rock
- Pflugerville
- Shenzhen
- Hong Kong
- Kowloon
- Victoria
- Tuen Mun
- Sha Tin
- Tseung Kwan O
- Kwai Chung
- Tsuen Wan
- Tin Shui Wai
- Tai Po
- Fanling
- Ma On Shan
- Tsing Yi Town
- Yuen Long Kau Hui
- Aberdeen
- Pok Fu Lam































































































































































