Skip to the navigation
.
Skip to the content
.
BioSurveys.org
Surveying life, socially, locally.
places search
taxa search
Color
Sign In
Enithares hackeri: taxon details and analytics
Domain
Kingdom
Animalia
Phylum
Arthropoda
Class
Insecta
Order
Hemiptera
Family
Notonectidae
Genus
Enithares
Species
Enithares hackeri
Scientific Name
Enithares hackeri
Images from inaturalist.org observations:
We recommend you sign up for this excellent, free service.
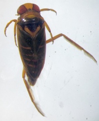
©rqy-yong, some rights reserved (CC-BY-NC-ND)
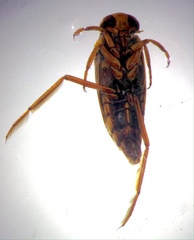
©rqy-yong, some rights reserved (CC-BY-NC-ND)
©rqy-yong, some rights reserved (CC-BY-NC-ND)
Parent Taxon
Enithares
Sibling Taxa
Enithares bergrothi
Enithares biimpressa
Enithares chinai
Enithares chinensis
Enithares cincta
Enithares glauca
Enithares hackeri
Enithares sinica
Enithares sobria
Enithares woodwardi
Top Observation Places
Share
Tweet
Back to Top
Biosurveys - Crowd Sourced Local Biogeography Login