Eubazus: taxon details and analytics
- Domain
- Kingdom
- Animalia
- Phylum
- Arthropoda
- Class
- Insecta
- Order
- Hymenoptera
- Family
- Braconidae
- Genus
- Eubazus
- Species
- Scientific Name
- Eubazus
Summary description from Wikipedia:
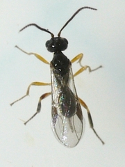
Eubazus
Eubazus is a genus of braconid wasps in the family Braconidae. There are at least 140 described species in Eubazus.
...
