Eucalyptus aromaphloia: taxon details and analytics
- Domain
- Kingdom
- Plantae
- Phylum
- Tracheophyta
- Class
- Magnoliopsida
- Order
- Myrtales
- Family
- Myrtaceae
- Genus
- Eucalyptus
- Species
- Eucalyptus aromaphloia
- Scientific Name
- Eucalyptus aromaphloia
Summary description from Wikipedia:
Eucalyptus aromaphloia
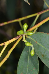
Eucalyptus aromaphloia, commonly known as Creswick apple-box, scented bark or scent-bark, is a species of plant in the myrtle family that is endemic to Victoria. It is a tree with rough, densely fibrous bark on the trunk and branches, lance-shaped or curved adult leaves, oval to spindle-shaped flower buds in groups of seven, white flowers and conical to hemispherical fruit.
...Images from inaturalist.org observations:
We recommend you sign up for this excellent, free service.
Parent Taxon
Sibling Taxa
- Eucalyptus abdita
- Eucalyptus absita
- Eucalyptus acaciiformis
- Eucalyptus accedens
- Eucalyptus acies
- Eucalyptus acmenoides
- Eucalyptus acroleuca
- Eucalyptus adesmophloia
- Eucalyptus aequioperta
- Eucalyptus agglomerata
- Eucalyptus aggregata
- Eucalyptus alaticaulis
- Eucalyptus alatissima
- Eucalyptus alba
- Eucalyptus albens
- Eucalyptus albida
- Eucalyptus albopurpurea
- Eucalyptus alipes
- Eucalyptus alligatrix
- Eucalyptus alpina
- Eucalyptus ammophila
- Eucalyptus amplifolia
- Eucalyptus amygdalina
- Eucalyptus ancophila
- Eucalyptus andrewsii
- Eucalyptus angophoroides
- Eucalyptus angularis
- Eucalyptus angulosa
- Eucalyptus angustissima
- Eucalyptus annettae
- Eucalyptus annulata
- Eucalyptus annuliformis
- Eucalyptus apiculata
- Eucalyptus apodophylla
- Eucalyptus apothalassica
- Eucalyptus approximans
- Eucalyptus aquatica
- Eucalyptus aquilina
- Eucalyptus arachnaea
- Eucalyptus arborella
- Eucalyptus arcana
- Eucalyptus archeri
- Eucalyptus arenacea
- Eucalyptus arenicola
- Eucalyptus argillacea
- Eucalyptus argophloia
- Eucalyptus argutifolia
- Eucalyptus aridimontana
- Eucalyptus armillata
- Eucalyptus aromaphloia
- Eucalyptus articulata
- Eucalyptus aspersa
- Eucalyptus aspratilis
- Eucalyptus assimilans
- Eucalyptus astringens
- Eucalyptus atrata
- Eucalyptus aurifodina
- Eucalyptus austrina
- Eucalyptus badjensis
- Eucalyptus baeuerlenii
- Eucalyptus baileyana
- Eucalyptus baiophylla
- Eucalyptus bakeri
- Eucalyptus balladoniensis
- Eucalyptus bancroftii
- Eucalyptus banksii
- Eucalyptus barberi
- Eucalyptus baudiniana
- Eucalyptus baueriana
- Eucalyptus baxteri
- Eucalyptus beaniana
- Eucalyptus beardiana
- Eucalyptus behriana
- Eucalyptus bensonii
- Eucalyptus benthamii
- Eucalyptus beyeri
- Eucalyptus beyeriana
- Eucalyptus bicolor
- Eucalyptus bigalerita
- Eucalyptus biturbinata
- Eucalyptus blakelyi
- Eucalyptus blaxellii
- Eucalyptus blaxlandii
- Eucalyptus boliviana
- Eucalyptus bosistoana
- Eucalyptus botryoides
- Eucalyptus brachyandra
- Eucalyptus brachycalyx
- Eucalyptus brandiana
- Eucalyptus brassiana
- Eucalyptus brevifolia
- Eucalyptus brevipes
- Eucalyptus brevistylis
- Eucalyptus bridgesiana
- Eucalyptus brockwayi
- Eucalyptus brookeriana
- Eucalyptus broviniensis
- Eucalyptus brownii
- Eucalyptus brunnea
- Eucalyptus bunyip
- Eucalyptus buprestium
- Eucalyptus burdettiana
- Eucalyptus burgessiana
- Eucalyptus burracoppinensis
- Eucalyptus cadens
- Eucalyptus caesia
- Eucalyptus cajuputea
- Eucalyptus calcareana
- Eucalyptus calcicola
- Eucalyptus caleyi
- Eucalyptus calidissima
- Eucalyptus caliginosa
- Eucalyptus calycogona
- Eucalyptus calyerup
- Eucalyptus camaldulensis
- Eucalyptus camaldulensis × rudis
- Eucalyptus camaldulensis × tereticornis
- Eucalyptus cambageana
- Eucalyptus cameronii
- Eucalyptus camfieldii
- Eucalyptus campanulata
- Eucalyptus campaspe
- Eucalyptus camphora
- Eucalyptus canaliculata
- Eucalyptus canescens
- Eucalyptus canobolensis
- Eucalyptus capillosa
- Eucalyptus capitanea
- Eucalyptus capitellata
- Eucalyptus captiosa
- Eucalyptus carnea
- Eucalyptus carnei
- Eucalyptus carolaniae
- Eucalyptus castrensis
- Eucalyptus celastroides
- Eucalyptus cephalocarpa
- Eucalyptus ceracea
- Eucalyptus cerasiformis
- Eucalyptus ceratocorys
- Eucalyptus cernua
- Eucalyptus chapmaniana
- Eucalyptus chartaboma
- Eucalyptus chloroclada
- Eucalyptus chlorophylla
- Eucalyptus cinerea
- Eucalyptus cladocalyx
- Eucalyptus clelandiorum
- Eucalyptus clivicola
- Eucalyptus cloeziana
- Eucalyptus cneorifolia
- Eucalyptus coccifera
- Eucalyptus codonocarpa
- Eucalyptus comitae-vallis
- Eucalyptus concinna
- Eucalyptus conferruminata
- Eucalyptus conferta
- Eucalyptus confluens
- Eucalyptus conglobata
- Eucalyptus conglomerata
- Eucalyptus conica
- Eucalyptus connexa
- Eucalyptus consideniana
- Eucalyptus conspicua
- Eucalyptus conveniens
- Eucalyptus coolabah
- Eucalyptus coolabah × melanophloia
- Eucalyptus cooperiana
- Eucalyptus copulans
- Eucalyptus cordata
- Eucalyptus cornuta
- Eucalyptus coronata
- Eucalyptus corrugata
- Eucalyptus corticosa
- Eucalyptus corynodes
- Eucalyptus cosmophylla
- Eucalyptus costata
- Eucalyptus costuligera
- Eucalyptus crebra
- Eucalyptus crebra × melanophloia
- Eucalyptus crenulata
- Eucalyptus creta
- Eucalyptus cretata
- Eucalyptus crispata
- Eucalyptus croajingolensis
- Eucalyptus crucis
- Eucalyptus cullenii
- Eucalyptus cullenii × melanophloia
- Eucalyptus cunninghamii
- Eucalyptus cuprea
- Eucalyptus cupularis
- Eucalyptus curtisii
- Eucalyptus cyanophylla
- Eucalyptus cyclostoma
- Eucalyptus cylindriflora
- Eucalyptus cylindrocarpa
- Eucalyptus cypellocarpa
- Eucalyptus dalrympleana
- Eucalyptus dawsonii
- Eucalyptus dealbata
- Eucalyptus deanei
- Eucalyptus decipiens
- Eucalyptus decolor
- Eucalyptus decorticans
- Eucalyptus decurva
- Eucalyptus deflexa
- Eucalyptus deglupta
- Eucalyptus delegatensis
- Eucalyptus dendromorpha
- Eucalyptus densa
- Eucalyptus denticulata
- Eucalyptus depauperata
- Eucalyptus desmondensis
- Eucalyptus deuaensis
- Eucalyptus dielsii
- Eucalyptus diminuta
- Eucalyptus diptera
- Eucalyptus discreta
- Eucalyptus dissimulata
- Eucalyptus dissita
- Eucalyptus distans
- Eucalyptus distuberosa
- Eucalyptus diversicolor
- Eucalyptus diversifolia
- Eucalyptus dives
- Eucalyptus dolichocera
- Eucalyptus dolichorhyncha
- Eucalyptus dolorosa
- Eucalyptus doratoxylon
- Eucalyptus dorrigoensis
- Eucalyptus drepanophylla
- Eucalyptus drummondii
- Eucalyptus dumosa
- Eucalyptus dundasii
- Eucalyptus dunnii
- Eucalyptus dura
- Eucalyptus dwyeri
- Eucalyptus ebbanoensis
- Eucalyptus ecdysiastes
- Eucalyptus ecostata
- Eucalyptus educta
- Eucalyptus efflorescens
- Eucalyptus effusa
- Eucalyptus elaeophloia
- Eucalyptus elata
- Eucalyptus elegans
- Eucalyptus elliptica
- Eucalyptus erectifolia
- Eucalyptus eremicola
- Eucalyptus eremophila
- Eucalyptus erosa
- Eucalyptus erythrocorys
- Eucalyptus erythronema
- Eucalyptus eudesmioides
- Eucalyptus eugenioides
- Eucalyptus ewartiana
- Eucalyptus exigua
- Eucalyptus exilipes
- Eucalyptus exilis
- Eucalyptus expressa
- Eucalyptus exserta
- Eucalyptus exserta × platyphylla
- Eucalyptus extensa
- Eucalyptus extrica
- Eucalyptus falcata
- Eucalyptus falciformis
- Eucalyptus farinosa
- Eucalyptus fasciculosa
- Eucalyptus fastigata
- Eucalyptus fergusonii
- Eucalyptus fibrosa
- Eucalyptus filiformis
- Eucalyptus fitzgeraldii
- Eucalyptus flavida
- Eucalyptus flindersii
- Eucalyptus flocktoniae
- Eucalyptus foecunda
- Eucalyptus foliosa
- Eucalyptus formanii
- Eucalyptus forresterae
- Eucalyptus forrestiana
- Eucalyptus fracta
- Eucalyptus fraseri
- Eucalyptus fraxinoides
- Eucalyptus frenchiana
- Eucalyptus froggattii
- Eucalyptus fruticosa
- Eucalyptus fulgens
- Eucalyptus fusiformis
- Eucalyptus gamophylla
- Eucalyptus gardneri
- Eucalyptus georgei
- Eucalyptus gigantangion
- Eucalyptus gillenii
- Eucalyptus gillii
- Eucalyptus gittinsii
- Eucalyptus glaucescens
- Eucalyptus glaucina
- Eucalyptus globoidea
- Eucalyptus globulus
- Eucalyptus glomericassis
- Eucalyptus glomerosa
- Eucalyptus gomphocephala
- Eucalyptus gongylocarpa
- Eucalyptus goniantha
- Eucalyptus goniocalyx
- Eucalyptus goniocarpa
- Eucalyptus gracilis
- Eucalyptus grandis
- Eucalyptus granitica
- Eucalyptus grasbyi
- Eucalyptus gregsoniana
- Eucalyptus griffithsii
- Eucalyptus grisea
- Eucalyptus grossa
- Eucalyptus guilfoylei
- Eucalyptus gunnii
- Eucalyptus gypsophila
- Eucalyptus haemastoma
- Eucalyptus hallii
- Eucalyptus halophila
- Eucalyptus hawkeri
- Eucalyptus hebetifolia
- Eucalyptus helidonica
- Eucalyptus herbertiana
- Eucalyptus histophylla
- Eucalyptus horistes
- Eucalyptus houseana
- Eucalyptus howittiana
- Eucalyptus hypolaena
- Eucalyptus hypostomatica
- Eucalyptus ignorabilis
- Eucalyptus imitans
- Eucalyptus imlayensis
- Eucalyptus impensa
- Eucalyptus improcera
- Eucalyptus incerata
- Eucalyptus incrassata
- Eucalyptus indurata
- Eucalyptus infera
- Eucalyptus infracorticata
- Eucalyptus insularis
- Eucalyptus interstans
- Eucalyptus intertexta
- Eucalyptus irritans
- Eucalyptus jacksonii
- Eucalyptus jensenii
- Eucalyptus jimberlanica
- Eucalyptus johnsoniana
- Eucalyptus johnstonii
- Eucalyptus jucunda
- Eucalyptus jutsonii
- Eucalyptus kabiana
- Eucalyptus kartzoffiana
- Eucalyptus kenneallyi
- Eucalyptus kessellii
- Eucalyptus kingsmillii
- Eucalyptus kitsoniana
- Eucalyptus kochii
- Eucalyptus kondininensis
- Eucalyptus koolpinensis
- Eucalyptus kruseana
- Eucalyptus kumarlensis
- Eucalyptus kybeanensis
- Eucalyptus lacrimans
- Eucalyptus laeliae
- Eucalyptus laevis
- Eucalyptus laevopinea
- Eucalyptus lane-poolei
- Eucalyptus langleyi
- Eucalyptus lansdowneana
- Eucalyptus laophila
- Eucalyptus largeana
- Eucalyptus largiflorens
- Eucalyptus latens
- Eucalyptus lateritica
- Eucalyptus latisinensis
- Eucalyptus lehmannii
- Eucalyptus leprophloia
- Eucalyptus leptocalyx
- Eucalyptus leptophleba
- Eucalyptus leptophylla
- Eucalyptus leptopoda
- Eucalyptus lesouefii
- Eucalyptus leucophloia
- Eucalyptus leucophylla
- Eucalyptus leucoxylon
- Eucalyptus ligulata
- Eucalyptus ligustrina
- Eucalyptus limitaris
- Eucalyptus lirata
- Eucalyptus litoralis
- Eucalyptus litorea
- Eucalyptus livida
- Eucalyptus lockyeri
- Eucalyptus longicornis
- Eucalyptus longifolia
- Eucalyptus longirostrata
- Eucalyptus longissima
- Eucalyptus loxophleba
- Eucalyptus lucasii
- Eucalyptus lucens
- Eucalyptus luculenta
- Eucalyptus luehmanniana
- Eucalyptus lunata
- Eucalyptus luteola
- Eucalyptus macarthurii
- Eucalyptus mackintii
- Eucalyptus macmahonii
- Eucalyptus macrandra
- Eucalyptus macrocarpa
- Eucalyptus macrorhyncha
- Eucalyptus macta
- Eucalyptus magnificata
- Eucalyptus major
- Eucalyptus malacoxylon
- Eucalyptus mannensis
- Eucalyptus mannifera
- Eucalyptus marginata
- Eucalyptus mckieana
- Eucalyptus mcquoidii
- Eucalyptus medialis
- Eucalyptus mediocris
- Eucalyptus megacarpa
- Eucalyptus megacornuta
- Eucalyptus megasepala
- Eucalyptus melanoleuca
- Eucalyptus melanophitra
- Eucalyptus melanophloia
- Eucalyptus melanophloia × whitei
- Eucalyptus melanoxylon
- Eucalyptus melliodora
- Eucalyptus merleae
- Eucalyptus merrickiae
- Eucalyptus michaeliana
- Eucalyptus micranthera
- Eucalyptus microcarpa
- Eucalyptus microcodon
- Eucalyptus microcorys
- Eucalyptus microneura
- Eucalyptus microschema
- Eucalyptus microtheca
- Eucalyptus mimica
- Eucalyptus miniata
- Eucalyptus minniritchi
- Eucalyptus misella
- Eucalyptus mitchelliana
- Eucalyptus moderata
- Eucalyptus moluccana
- Eucalyptus molyneuxii
- Eucalyptus mooreana
- Eucalyptus moorei
- Eucalyptus morrisbyi
- Eucalyptus morrisii
- Eucalyptus muelleriana
- Eucalyptus multicaulis
- Eucalyptus myriadena
- Eucalyptus nandewarica
- Eucalyptus nebulosa
- Eucalyptus neglecta
- Eucalyptus neutra
- Eucalyptus newbeyi
- Eucalyptus nicholii
- Eucalyptus nigrifunda
- Eucalyptus nitens
- Eucalyptus nitida
- Eucalyptus nobilis
- Eucalyptus normantonensis
- Eucalyptus nortonii
- Eucalyptus notabilis
- Eucalyptus notactites
- Eucalyptus nova-anglica
- Eucalyptus nubila
- Eucalyptus nudicaulis
- Eucalyptus nutans
- Eucalyptus obconica
- Eucalyptus obesa
- Eucalyptus obliqua
- Eucalyptus oblonga
- Eucalyptus obstans
- Eucalyptus obtusiflora
- Eucalyptus occidentalis
- Eucalyptus ochrophloia
- Eucalyptus odontocarpa
- Eucalyptus odorata
- Eucalyptus oldfieldii
- Eucalyptus oleosa
- Eucalyptus olida
- Eucalyptus oligantha
- Eucalyptus olivina
- Eucalyptus olsenii
- Eucalyptus omissa
- Eucalyptus ophitica
- Eucalyptus opimiflora
- Eucalyptus optima
- Eucalyptus oraria
- Eucalyptus orbifolia
- Eucalyptus ordiana
- Eucalyptus oreades
- Eucalyptus orgadophila
- Eucalyptus ornans
- Eucalyptus ornata
- Eucalyptus orophila
- Eucalyptus orthostemon
- Eucalyptus ovata
- Eucalyptus ovularis
- Eucalyptus oxymitra
- Eucalyptus pachycalyx
- Eucalyptus pachyloma
- Eucalyptus pachyphylla
- Eucalyptus paedoglauca
- Eucalyptus paliformis
- Eucalyptus pallida
- Eucalyptus paludicola
- Eucalyptus panda
- Eucalyptus paniculata
- Eucalyptus pantoleuca
- Eucalyptus paralimnetica
- Eucalyptus parramattensis
- Eucalyptus parviflora
- Eucalyptus parvula
- Eucalyptus patellaris
- Eucalyptus patens
- Eucalyptus pauciflora
- Eucalyptus pellita
- Eucalyptus pendens
- Eucalyptus peninsularis
- Eucalyptus perangusta
- Eucalyptus percostata
- Eucalyptus perriniana
- Eucalyptus persistens
- Eucalyptus petiolaris
- Eucalyptus petraea
- Eucalyptus petrensis
- Eucalyptus phaenophylla
- Eucalyptus phenax
- Eucalyptus phoenicea
- Eucalyptus phoenix
- Eucalyptus pilbarensis
- Eucalyptus pileata
- Eucalyptus pilularis
- Eucalyptus pimpiniana
- Eucalyptus piperita
- Eucalyptus placita
- Eucalyptus planchoniana
- Eucalyptus planipes
- Eucalyptus platycorys
- Eucalyptus platydisca
- Eucalyptus platyphylla
- Eucalyptus platyphylla × tereticornis
- Eucalyptus platypus
- Eucalyptus pleurocarpa
- Eucalyptus pleurocorys
- Eucalyptus plumula
- Eucalyptus polita
- Eucalyptus polyanthemos
- Eucalyptus polybractea
- Eucalyptus populnea
- Eucalyptus porosa
- Eucalyptus portuensis
- Eucalyptus praetermissa
- Eucalyptus prava
- Eucalyptus preissiana
- Eucalyptus prolixa
- Eucalyptus prominens
- Eucalyptus propinqua
- Eucalyptus protensa
- Eucalyptus provecta
- Eucalyptus proxima
- Eucalyptus pruiniramis
- Eucalyptus pruinosa
- Eucalyptus psammitica
- Eucalyptus pterocarpa
- Eucalyptus pulchella
- Eucalyptus pulverulenta
- Eucalyptus pumila
- Eucalyptus punctata
- Eucalyptus purpurata
- Eucalyptus pyrenea
- Eucalyptus pyriformis
- Eucalyptus pyrocarpa
- Eucalyptus quadrangulata
- Eucalyptus quadrans
- Eucalyptus quadricostata
- Eucalyptus quaerenda
- Eucalyptus quinniorum
- Eucalyptus racemosa
- Eucalyptus radiata
- Eucalyptus rameliana
- Eucalyptus raveretiana
- Eucalyptus ravida
- Eucalyptus recta
- Eucalyptus recurva
- Eucalyptus redimiculifera
- Eucalyptus reducta
- Eucalyptus redunca
- Eucalyptus regnans
- Eucalyptus relicta
- Eucalyptus remota
- Eucalyptus repullulans
- Eucalyptus resinifera
- Eucalyptus retinens
- Eucalyptus retusa
- Eucalyptus rhodantha
- Eucalyptus rhombica
- Eucalyptus rhomboidea
- Eucalyptus rigens
- Eucalyptus rigidula
- Eucalyptus risdonii
- Eucalyptus robertsonii
- Eucalyptus robusta
- Eucalyptus robusta × rudis
- Eucalyptus rodwayi
- Eucalyptus rosacea
- Eucalyptus rossii
- Eucalyptus rowleyi
- Eucalyptus roycei
- Eucalyptus rubida
- Eucalyptus rubiginosa
- Eucalyptus rudderi
- Eucalyptus rudis
- Eucalyptus rugosa
- Eucalyptus rugulata
- Eucalyptus rummeryi
- Eucalyptus rupestris
- Eucalyptus sabulosa
- Eucalyptus salicola
- Eucalyptus saligna
- Eucalyptus salmonophloia
- Eucalyptus salubris
- Eucalyptus sargentii
- Eucalyptus saxatilis
- Eucalyptus scias
- Eucalyptus sclerophylla
- Eucalyptus scoparia
- Eucalyptus scopulorum
- Eucalyptus scyphocalyx
- Eucalyptus seeana
- Eucalyptus selachiana
- Eucalyptus semiglobosa
- Eucalyptus semota
- Eucalyptus sepulcralis
- Eucalyptus serraensis
- Eucalyptus sessilis
- Eucalyptus sheathiana
- Eucalyptus shirleyi
- Eucalyptus sicilifolia
- Eucalyptus siderophloia
- Eucalyptus sideroxylon
- Eucalyptus sieberi
- Eucalyptus silvestris
- Eucalyptus similis
- Eucalyptus singularis
- Eucalyptus sinuensis
- Eucalyptus sinuosa
- Eucalyptus smithii
- Eucalyptus socialis
- Eucalyptus sparsa
- Eucalyptus sparsicoma
- Eucalyptus sparsifolia
- Eucalyptus spathulata
- Eucalyptus sphaerocarpa
- Eucalyptus splendens
- Eucalyptus sporadica
- Eucalyptus spreta
- Eucalyptus squamosa
- Eucalyptus staeri
- Eucalyptus staigeriana
- Eucalyptus steedmanii
- Eucalyptus stellulata
- Eucalyptus stenostoma
- Eucalyptus stoatei
- Eucalyptus stowardii
- Eucalyptus striaticalyx
- Eucalyptus stricklandii
- Eucalyptus stricta
- Eucalyptus strzeleckii
- Eucalyptus studleyensis
- Eucalyptus sturgissiana
- Eucalyptus subangusta
- Eucalyptus subcrenulata
- Eucalyptus suberea
- Eucalyptus subtilis
- Eucalyptus suffulgens
- Eucalyptus suggrandis
- Eucalyptus surgens
- Eucalyptus sweedmaniana
- Eucalyptus synandra
- Eucalyptus talyuberlup
- Eucalyptus tardecidens
- Eucalyptus tasmaniensis
- Eucalyptus taurina
- Eucalyptus tectifica
- Eucalyptus tenella
- Eucalyptus tenera
- Eucalyptus tenuipes
- Eucalyptus tenuiramis
- Eucalyptus tenuis
- Eucalyptus tephroclada
- Eucalyptus tephrodes
- Eucalyptus terebra
- Eucalyptus tereticornis
- Eucalyptus terrica
- Eucalyptus tetrapleura
- Eucalyptus tetraptera
- Eucalyptus tetrodonta
- Eucalyptus thamnoides
- Eucalyptus tholiformis
- Eucalyptus thozetiana
- Eucalyptus tindaliae
- Eucalyptus tintinnans
- Eucalyptus todtiana
- Eucalyptus torquata
- Eucalyptus tortilis
- Eucalyptus transcontinentalis
- Eucalyptus tricarpa
- Eucalyptus triflora
- Eucalyptus trivalva
- Eucalyptus tumida
- Eucalyptus ultima
- Eucalyptus umbra
- Eucalyptus umbrawarrensis
- Eucalyptus uncinata
- Eucalyptus urna
- Eucalyptus urnigera
- Eucalyptus urophylla
- Eucalyptus utilis
- Eucalyptus uvida
- Eucalyptus valens
- Eucalyptus varia
- Eucalyptus vegrandis
- Eucalyptus vernicosa
- Eucalyptus vesiculosa
- Eucalyptus vicina
- Eucalyptus victoriana
- Eucalyptus victrix
- Eucalyptus viminalis
- Eucalyptus virella
- Eucalyptus virens
- Eucalyptus virginea
- Eucalyptus viridis
- Eucalyptus vittata
- Eucalyptus vokesensis
- Eucalyptus volcanica
- Eucalyptus walshii
- Eucalyptus wandoo
- Eucalyptus websteriana
- Eucalyptus wetarensis
- Eucalyptus whitei
- Eucalyptus wilcoxii
- Eucalyptus williamsiana
- Eucalyptus willisii
- Eucalyptus wimmerensis
- Eucalyptus woodwardii
- Eucalyptus woollsiana
- Eucalyptus wubinensis
- Eucalyptus wyolensis
- Eucalyptus xanthonema
- Eucalyptus xerothermica
- Eucalyptus yalatensis
- Eucalyptus yarraensis
- Eucalyptus yarriambiack
- Eucalyptus yilgarnensis
- Eucalyptus youmanii
- Eucalyptus youngiana
- Eucalyptus yumbarrana
- Eucalyptus zopherophloia
- Eucalyptus × tetragona







































