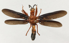
Euclimacia superba: taxon details and analytics
- Domain
- Kingdom
- Animalia
- Phylum
- Arthropoda
- Class
- Insecta
- Order
- Neuroptera
- Family
- Mantispidae
- Genus
- Euclimacia
- Species
- Euclimacia superba
- Scientific Name
- Euclimacia superba
Images from inaturalist.org observations:
We recommend you sign up for this excellent, free service.




