Eunidia angolana: taxon details and analytics
- Domain
- Kingdom
- Animalia
- Phylum
- Arthropoda
- Class
- Insecta
- Order
- Coleoptera
- Family
- Cerambycidae
- Genus
- Eunidia
- Species
- Eunidia angolana
- Scientific Name
- Eunidia angolana
Summary description from Wikipedia:
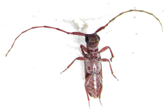
Eunidia angolana
Eunidia angolana is a species of beetle in the family Cerambycidae. It was described by Lepesme in 1953.
...Images from inaturalist.org observations:
We recommend you sign up for this excellent, free service.
Parent Taxon
Sibling Taxa
- Eunidia albescens
- Eunidia albopicta
- Eunidia albopubens
- Eunidia angolana
- Eunidia annulata
- Eunidia annulicornis
- Eunidia apicefusca
- Eunidia argentea
- Eunidia aspersa
- Eunidia atripennis
- Eunidia basinigricornis
- Eunidia batesi
- Eunidia batesii
- Eunidia bifasciata
- Eunidia brunneopunctata
- Eunidia caffra
- Eunidia ceylanica
- Eunidia cordifera
- Eunidia cylindricollis
- Eunidia deceptrix
- Eunidia dilacerata
- Eunidia discobivittata
- Eunidia diversipes
- Eunidia divisa
- Eunidia dolosa
- Eunidia duplicata
- Eunidia endroedyi
- Eunidia euzonata
- Eunidia fallaciosa
- Eunidia fasciata
- Eunidia flavoapicata
- Eunidia flavomarmorata
- Eunidia flavoornata
- Eunidia fulvida
- Eunidia fuscomaculata
- Eunidia fuscostictica
- Eunidia fuscovittithorax
- Eunidia griseitarsis
- Eunidia guttulata
- Eunidia idactiformis
- Eunidia infuscata
- Eunidia jeanneli
- Eunidia kivuana
- Eunidia kristenseni
- Eunidia lateralis
- Eunidia marmorea
- Eunidia mediomaculatoides
- Eunidia mourgliana
- Eunidia multialboguttata
- Eunidia nebulosa
- Eunidia nigricans
- Eunidia nigromaculata
- Eunidia nigrovittata
- Eunidia nigrovittipennis
- Eunidia obliquealbovittata
- Eunidia obliquealbovittatoides
- Eunidia obliqueflavovittata
- Eunidia obliquevittata
- Eunidia obliquevittipennis
- Eunidia ochraceovittata
- Eunidia ochreomarmorata
- Eunidia ochreoornata
- Eunidia okahandjae
- Eunidia piperita
- Eunidia plagiata
- Eunidia pseudannulicornis
- Eunidia pseudosocia
- Eunidia punctulicollis
- Eunidia pygmaea
- Eunidia quadrialbosignata
- Eunidia quinquemaculata
- Eunidia rufa
- Eunidia rufescens
- Eunidia rufina
- Eunidia rufolineata
- Eunidia rufulicornis
- Eunidia rufuloides
- Eunidia snizeki
- Eunidia spilota
- Eunidia spilotoides
- Eunidia spinicornis
- Eunidia strigata
- Eunidia subfasciata
- Eunidia subnebulosa
- Eunidia subtergrisea
- Eunidia sulphurea
- Eunidia suturealba
- Eunidia taiwanensis
- Eunidia thomensis
- Eunidia thomseni
- Eunidia timida
- Eunidia tripunctata
- Eunidia tubericollis
- Eunidia unicoloricornis
- Eunidia vagefasciata
- Eunidia vagepicta
- Eunidia vagevittata
- Eunidia vansoni
- Eunidia vestigialis
- Eunidia vitticollis
- Eunidia wittei
- Eunidia ziczac










