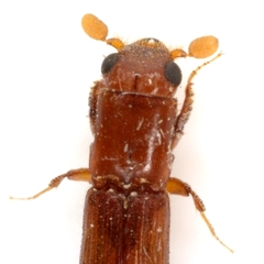
Euplatypus parallelus: taxon details and analytics
- Domain
- Kingdom
- Animalia
- Phylum
- Arthropoda
- Class
- Insecta
- Order
- Coleoptera
- Family
- Curculionidae
- Genus
- Euplatypus
- Species
- Euplatypus parallelus
- Scientific Name
- Euplatypus parallelus
Images from inaturalist.org observations:
We recommend you sign up for this excellent, free service.
Parent Taxon
Sibling Taxa
- Euplatypus alternans
- Euplatypus angustatulus
- Euplatypus angustatus
- Euplatypus compositus
- Euplatypus coronatus
- Euplatypus cribricollis
- Euplatypus haagi
- Euplatypus hintzi
- Euplatypus longior
- Euplatypus longius
- Euplatypus longulus
- Euplatypus minusculus
- Euplatypus mulsanti
- Euplatypus otiosus
- Euplatypus parallelus
- Euplatypus pini
- Euplatypus porosus
- Euplatypus segnis
- Euplatypus solutus
- Euplatypus vicinus


























