Eupnigodes sierranus: taxon details and analytics
- Domain
- Kingdom
- Animalia
- Phylum
- Arthropoda
- Class
- Insecta
- Order
- Orthoptera
- Family
- Acrididae
- Genus
- Eupnigodes
- Species
- Eupnigodes sierranus
- Scientific Name
- Eupnigodes sierranus
Summary description from Wikipedia:
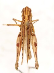
Eupnigodes sierranus
Eupnigodes sierranus, the sierran white-whiskered grasshopper, is a species of slant-faced grasshopper in the family Acrididae. It is found in the western United States.
...Eupnigodes sierranus in languages:
- English
- Sierran White-whiskered Grasshopper
Images from inaturalist.org observations:
We recommend you sign up for this excellent, free service.


















