Euura longiserra: taxon details and analytics
- Domain
- Kingdom
- Animalia
- Phylum
- Arthropoda
- Class
- Insecta
- Order
- Hymenoptera
- Family
- Tenthredinidae
- Genus
- Euura
- Species
- Euura longiserra
- Scientific Name
- Euura longiserra
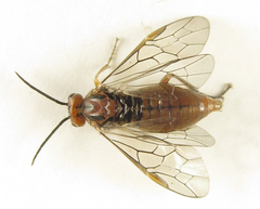
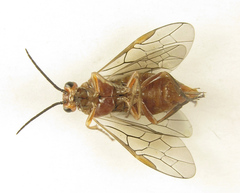
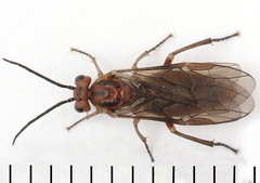
Images from inaturalist.org observations:
We recommend you sign up for this excellent, free service.
Parent Taxon
Sibling Taxa
- Euura acutifoliae
- Euura aeger
- Euura alaskensis
- Euura albipennis
- Euura amentorum
- Euura amerinae
- Euura ampla
- Euura annulata
- Euura anomaloptera
- Euura aquilonis
- Euura arcticornis
- Euura atra
- Euura auritae
- Euura azaleae
- Euura bebbianae
- Euura bergmanni
- Euura bipartita
- Euura bohemani
- Euura boreoalpina
- Euura brevicornis
- Euura bridgmanii
- Euura cadderensis
- Euura caeruleocarpus
- Euura calais
- Euura californica
- Euura chalcea
- Euura clitellata
- Euura cockerelli
- Euura collactanea
- Euura consors
- Euura corniger
- Euura cornuta
- Euura crassicornis
- Euura cyrnea
- Euura daphnoidica
- Euura dentatus
- Euura desantisi
- Euura destricta
- Euura dimmockii
- Euura dispar
- Euura distinguenda
- Euura dolichura
- Euura elaeagnocola
- Euura exiguae
- Euura extensicornis
- Euura fagi
- Euura fallax
- Euura fasciatus
- Euura femoralis
- Euura ferruginea
- Euura flavescens
- Euura foetidatumida
- Euura freyja
- Euura fuscomaculata
- Euura gemmacinereae
- Euura gemmafoetidae
- Euura gemmahelveticae
- Euura geyerianae
- Euura glutinosae
- Euura gracilidentata
- Euura gracilis
- Euura hastatavora
- Euura herbaceae
- Euura histrio
- Euura hudsoniimagnus
- Euura humeralis
- Euura hypoxantha
- Euura incompleta
- Euura insignis
- Euura iridescens
- Euura ischnocera
- Euura itoi
- Euura kangasi
- Euura krausi
- Euura kriechbaumeri
- Euura laeta
- Euura lasiolepis
- Euura lateralis
- Euura leionota
- Euura lemmoniae
- Euura leucapsis
- Euura leucolena
- Euura leucosticta
- Euura leucotrocha
- Euura lichtwardti
- Euura lipovskyi
- Euura longiserra
- Euura mcluckiei
- Euura megacephala
- Euura melanocephalus
- Euura miliaris
- Euura miscus
- Euura monile
- Euura montana
- Euura mucronata
- Euura munda
- Euura myosotidis
- Euura myrsinifoliae
- Euura neglecta
- Euura nigricornis
- Euura obducta
- Euura oblita
- Euura olfaciens
- Euura oligospila
- Euura orbitalis
- Euura pallescens
- Euura papillosa
- Euura pavida
- Euura pedunculi
- Euura petiolaridis
- Euura piliserra
- Euura plicaphylicifolia
- Euura poecilonota
- Euura polaris
- Euura polita
- Euura popuella
- Euura populi
- Euura proxima
- Euura prussica
- Euura pseudodispar
- Euura pumilio
- Euura punicea
- Euura purpureae
- Euura pustulator
- Euura pyriformis
- Euura respondens
- Euura reticulatae
- Euura ribesii
- Euura robusta
- Euura sagmarius
- Euura salicis
- Euura saliciscinereae
- Euura salicisdesmodioides
- Euura salicisnodus
- Euura salicisodoratus
- Euura salicisovulum
- Euura salicisovum
- Euura salicispisum
- Euura salicispomum
- Euura samolad
- Euura scoulerianae
- Euura scutellata
- Euura semilacteus
- Euura spiraeae
- Euura sporax
- Euura squalida
- Euura stenogaster
- Euura stichi
- Euura subgemma
- Euura sylvestris
- Euura testaceipes
- Euura tibialis
- Euura toeniata
- Euura trautmanni
- Euura triandrae
- Euura vaga
- Euura vagus
- Euura vancouverensis
- Euura ventralis
- Euura venusta
- Euura vesicator
- Euura vicina
- Euura viduata
- Euura viduatina
- Euura viminalis
- Euura viminalis
- Euura viridis
- Euura virilis
- Euura vittata
- Euura vittatus
- Euura weiffenbachiella
























































































































