Gobio gobio: taxon details and analytics
- Domain
- Kingdom
- Animalia
- Phylum
- Chordata
- Class
- Actinopterygii
- Order
- Cypriniformes
- Family
- Gobionidae
- Genus
- Gobio
- Species
- Gobio gobio
- Scientific Name
- Gobio gobio
Summary description from Wikipedia:
Gobio gobio
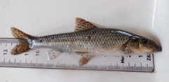
Gobio gobio, or the gudgeon or common gudgeon, is a species of fish in the family Gobionidae. This small fish is widely distributed in fresh-water streams and lakes across central and temperate Eurasia.
The gudgeon inhabits various fresh-water habitats with sandy bottoms. It is a gregarious species, and feeds on benthic invertebrates. Its life span is up to five years. Gudgeons are usually smaller than 12 cm, rarely over 15 cm long. The common name gudgeon may also refer to other species of fish.
...Gobio gobio in languages:
- Bokmål
- sandkryper
- Czech
- hrouzek obecný
- Danish
- Grundling
- Dutch
- Riviergrondel
- English
- Gudgeon
- English
- Common Gudgeon
- Estonian
- Rünt
- Finnish
- törö
- French
- Goujon
- German
- Gründling
- Hungarian
- fenékjáró küllő
- Italian
- Gobione
- Latvian
- Grundulis
- Lithuanian
- Paprastasis gružlys
- Modern Greek
- Γυφτόψαρο
- Modern Greek
- Σκυλόψαρο
- Polish
- Kiełb pospolity
- Romanian
- Porcușor
- Russian
- Обыкновенный пескарь
- Serbian
- krkuša
- Swedish
- Sandkrypare
- Ukrainian
- Пічкур звичайний
Images from inaturalist.org observations:
We recommend you sign up for this excellent, free service.
Parent Taxon
Sibling Taxa
- Gobio acutipinnatus
- Gobio alverniae
- Gobio artvinicus
- Gobio balcanicus
- Gobio baliki
- Gobio brevicirris
- Gobio bulgaricus
- Gobio carpathicus
- Gobio caucasicus
- Gobio coriparoides
- Gobio cynocephalus
- Gobio fahrettini
- Gobio feraeensis
- Gobio fushunensis
- Gobio gobio
- Gobio gymnostethus
- Gobio hettitorum
- Gobio holurus
- Gobio huanghensis
- Gobio insuyanus
- Gobio intermedius
- Gobio kizilirmakensis
- Gobio kovatschevi
- Gobio krymensis
- Gobio kubanicus
- Gobio lepidolaemus
- Gobio lingyuanensis
- Gobio lozanoi
- Gobio macrocephalus
- Gobio maeandricus
- Gobio meridionalis
- Gobio microlepidotus
- Gobio nigrescens
- Gobio obtusirostris
- Gobio occitaniae
- Gobio ohridanus
- Gobio rivuloides
- Gobio sakaryaensis
- Gobio sarmaticus
- Gobio sibiricus
- Gobio skadarensis
- Gobio soldatovi
- Gobio tauricus
- Gobio tchangi
- Gobio tungussicus
- Gobio volgensis






























































































































































