Gonatista grisea: taxon details and analytics
- Domain
- Kingdom
- Animalia
- Phylum
- Arthropoda
- Class
- Insecta
- Order
- Mantodea
- Family
- Epaphroditidae
- Genus
- Gonatista
- Species
- Gonatista grisea
- Scientific Name
- Gonatista grisea
Summary description from Wikipedia:
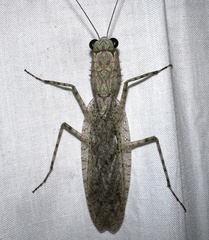
Gonatista grisea
Gonatista grisea, common name grizzled mantis, Florida bark mantis or lichen mimic mantis, is a species of praying mantis native to the southern United States, primarily Florida. They commonly perch on trees facing down to wait for prey, and will eat any insect they can overpower.
...Gonatista grisea in languages:
- Czech
- kudlanka šedá
- English
- Grizzled Mantid
- English
- Grizzled Mantis
- English
- Florida Bark Mantid
- English
- Lichen Mantid
Images from inaturalist.org observations:
We recommend you sign up for this excellent, free service.































































































































































