Graciliini: taxon details and analytics
- Domain
- Kingdom
- Animalia
- Phylum
- Arthropoda
- Class
- Insecta
- Order
- Coleoptera
- Family
- Cerambycidae
- Genus
- Species
- Scientific Name
- Graciliini
Summary description from Wikipedia:
Graciliini
Graciliini is a tribe of beetles in the subfamily Cerambycinae, containing the following genera:
- Ambagous Fairmaire, 1896
- Araeotis Bates, 1867
- Aruama Martins & Napp, 2007
- Axinopalpis Dejean, 1835
- Bolivarita Escalera, 1914
- Caribbomerus Vitali, 2003
- Elaphopsis Audinet-Serville, 1834
- Gracilia Audinet-Serville, 1834
- Hybometopia Ganglbauer, 1889
- Hypexilis Horn, 1885
- Idobrium Kolbe, 1902
- Ischnorrhabda Ganglbauer, 1889
- Lianema Fall, 1907
- Lucasianus Pic, 1891
- Parommidion Martins, 1974
- Neomicrus Gahan, 1894
- Nisibistum Thomson, 1878
- Penichroa Mulsant, 1863
- Perigracilia Linsley, 1942
- Pseudobolivarita Sama & Orbach, 2003
- Raglicia Martins, Galileo & Santos-Silva, 2015
- Tritomacrus Newman, 1838
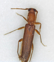
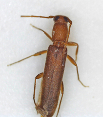
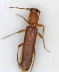
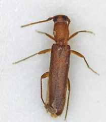
Images from inaturalist.org observations:
We recommend you sign up for this excellent, free service.
Parent Taxon
Sibling Taxa
- Acangassuini
- Achrysonini
- Agallissini
- Alanizini
- Amphoecini
- Anaglyptini
- Aphanasiini
- Aphneopini
- Australodon
- Basipterini
- Bimiini
- Bothriospilini
- Brachypteromini
- Callichromatini
- Callidiini
- Callidiopini
- Cartallini
- Cerambycini
- Chlidonini
- Clytini
- Coelarthrini
- Compsocerini
- Coptommatini
- Curiini
- Dedyini
- Deilini
- Dejanirini
- Dendrides
- Diorini
- Distichocerini
- Dodecosini
- Dryobiini
- Dychophyiini
- Eburiini
- Ectenessini
- Eligmodermini
- Erlandiini
- Eroschemini
- Eumichthini
- Gahaniini
- Glaucytini
- Graciliini
- Hesperophanini
- Hesthesini
- Holopleurini
- Hyboderini
- Ibidionini
- Ideratini
- Kurandanus
- Lissonotini
- Luscosmodicini
- Macronini
- Megacoelini
- Methiini
- Molorchini
- Mythodini
- Neclamia
- Necydalopsini
- Neocorini
- Neostenini
- Obriini
- Oedenoderini
- Opsimini
- Paraholopterini
- Phalotini
- Phlyctaenodini
- Phoracanthini
- Phyllarthriini
- Piezocerini
- Plectogasterini
- Plectromerini
- Pleiarthrocerini
- Plesioclytini
- Proholopterini
- Protaxini
- Prothemini
- Psebiini
- Pseudocephalini
- Psilomorphini
- Pteroplatini
- Pyrestini
- Pytheini
- Rhagiomorphini
- Rhinotragini
- Rhopalophorini
- Sestyrini
- Smodicini
- Spintheriini
- Stenoderusini
- Stenopterini
- Strongylurini
- Sydacini
- Tessarommatini
- Thraniini
- Thyrsiini
- Tillomorphini
- Torneutini
- Trachyderini
- Tragocerini
- Trichomesini
- Trigonarthrini
- Tropocalymmatini
- Typhocesini
- Unxiini
- Uracanthini
- Vesperellini
- Xystrocerini














































