Graptostethus servus: taxon details and analytics

Domain
Kingdom
Animalia
Phylum
Arthropoda
Class
Insecta
Order
Hemiptera
Family
Lygaeidae
Genus
Graptostethus
Species
Graptostethus servus
Scientific Name
Graptostethus servus

Summary description from Wikipedia:

Graptostethus servus

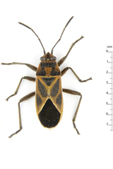
Graptostethus servus is a species of seed bug in the family Lygaeidae. It is found in Europe, Asia, Australia, and in the Pacific region. Larvae are grey and are prey items for chickens.

...
 

Graptostethus servus in languages:

Chinese
黑帶紅腺長蝽
Japanese
ヒメマダラナガカメムシ
Thai
มวนแดงมะเขือ

Images from inaturalist.org observations:

We recommend you sign up for this excellent, free service.

Graptostethus servus
©歐陽秀華, some rights reserved (CC-BY-NC)
Graptostethus servus
©aleckarcz, some rights reserved (CC-BY-NC)
Graptostethus servus
©aleckarcz, some rights reserved (CC-BY-NC)
Graptostethus servus
©lindsaytiempo, some rights reserved (CC-BY-NC)
Graptostethus servus
©Dinesh Sharma, some rights reserved (CC-BY-NC)
Graptostethus servus
©Dinesh Sharma, some rights reserved (CC-BY-NC)
Graptostethus servus
©hokoonwong, some rights reserved (CC-BY-NC)
Graptostethus servus
©Les Day, some rights reserved (CC-BY-NC)
Graptostethus servus
©Reiner Richter, some rights reserved (CC-BY-NC-SA)
Graptostethus servus
©Thilina Hettiarachchi, some rights reserved (CC-BY-NC)
Graptostethus servus
©Sunnetchan, some rights reserved (CC-BY-NC-SA)
Graptostethus servus
©阿宏, some rights reserved (CC-BY)
Graptostethus servus
©雨蕨, some rights reserved (CC-BY-NC)
Graptostethus servus
©wildyuen, some rights reserved (CC-BY-NC)
Graptostethus servus
©ronin47, some rights reserved (CC-BY-NC)
Graptostethus servus
©Daniel Kurek, some rights reserved (CC-BY-NC)
Graptostethus servus
©Sunnetchan, some rights reserved (CC-BY-NC-SA)
Graptostethus servus
©Sunnetchan, some rights reserved (CC-BY-NC-SA)
Graptostethus servus
©Kit Law, some rights reserved (CC-BY-NC)
Graptostethus servus
©Sunnetchan, some rights reserved (CC-BY-NC-SA)
Graptostethus servus
©Kit Law, some rights reserved (CC-BY-NC)
Graptostethus servus
©Kit Law, some rights reserved (CC-BY-NC)
Graptostethus servus
©歐陽秀華, some rights reserved (CC-BY-NC)
Graptostethus servus
©Kit Law, some rights reserved (CC-BY-NC)
Graptostethus servus
©Kit Law, some rights reserved (CC-BY-NC)
Graptostethus servus
©Kit Law, some rights reserved (CC-BY-NC)
Graptostethus servus
©Jacky CUDON, some rights reserved (CC-BY-NC)
Graptostethus servus
©Jacky CUDON, some rights reserved (CC-BY-NC)
Graptostethus servus
©Jacky CUDON, some rights reserved (CC-BY-NC)
Graptostethus servus
©歐陽秀華, some rights reserved (CC-BY-NC)
Graptostethus servus
©lava_chen, some rights reserved (CC-BY-NC)
Graptostethus servus
©Sunnetchan, some rights reserved (CC-BY-NC-SA)
Graptostethus servus
©Christal Joy Caballero, some rights reserved (CC-BY-NC)
Graptostethus servus
©Christal Joy Caballero, some rights reserved (CC-BY-NC)
Graptostethus servus
©Christal Joy Caballero, some rights reserved (CC-BY-NC)
Graptostethus servus
©Christal Joy Caballero, some rights reserved (CC-BY-NC)
Graptostethus servus
©Steve Dew, some rights reserved (CC-BY-NC)
Graptostethus servus
©Jacky CUDON, some rights reserved (CC-BY-NC)
Graptostethus servus
©Steve Dew, some rights reserved (CC-BY-NC)
Graptostethus servus
©Steve Dew, some rights reserved (CC-BY-NC)
Graptostethus servus
©吳政翰, some rights reserved (CC-BY-NC-ND)
Graptostethus servus
©Kit Law, some rights reserved (CC-BY-NC)
Graptostethus servus
©benjamynweil, some rights reserved (CC-BY-NC)
Graptostethus servus
©Kit Law, some rights reserved (CC-BY-NC)
Graptostethus servus
©cesdamess, some rights reserved (CC-BY-NC)
Graptostethus servus
©Thomas Gray, some rights reserved (CC-BY-NC)
Graptostethus servus
©Thomas Gray, some rights reserved (CC-BY-NC)
Graptostethus servus
©Thomas Gray, some rights reserved (CC-BY-NC)
Graptostethus servus
©鍾兆鋒, some rights reserved (CC-BY-NC)
Graptostethus servus
©cesdamess, some rights reserved (CC-BY-NC)
Graptostethus servus
©卢江离, some rights reserved (CC-BY-NC)
Graptostethus servus
©Thomas Gray, some rights reserved (CC-BY-NC)
Graptostethus servus
©Thomas Gray, some rights reserved (CC-BY-NC)
Graptostethus servus
©Kit Law, some rights reserved (CC-BY-NC)
Graptostethus servus
©Kit Law, some rights reserved (CC-BY-NC)
Graptostethus servus
©Kit Law, some rights reserved (CC-BY-NC)
Graptostethus servus
©Bali Wildlife, some rights reserved (CC-BY-NC)
Graptostethus servus
©卢江离, some rights reserved (CC-BY-NC)
Graptostethus servus
©PK Yeung, some rights reserved (CC-BY-NC)
Graptostethus servus
©Fabien Piednoir, some rights reserved (CC-BY-SA)
Graptostethus servus
©Hong, some rights reserved (CC-BY-NC)
Graptostethus servus
©Fabien Piednoir, some rights reserved (CC-BY-SA)
Graptostethus servus
©Fabien Piednoir, some rights reserved (CC-BY-SA)
Graptostethus servus
©Hong, some rights reserved (CC-BY-NC)
Graptostethus servus
©Hong, some rights reserved (CC-BY-NC)
Graptostethus servus
©林棋欽, some rights reserved (CC-BY-NC)
Graptostethus servus
©林棋欽, some rights reserved (CC-BY-NC)
Graptostethus servus
©鍾兆鋒, some rights reserved (CC-BY-NC)
Graptostethus servus
©Jacky CUDON, some rights reserved (CC-BY-NC)
Graptostethus servus
©鍾兆鋒, some rights reserved (CC-BY-NC)
Graptostethus servus
©鍾兆鋒, some rights reserved (CC-BY-NC)
Graptostethus servus
©Fabien Piednoir, some rights reserved (CC-BY-SA)
Graptostethus servus
©tjeales, some rights reserved (CC-BY-SA)
Graptostethus servus
©Fabien Piednoir, some rights reserved (CC-BY-SA)
Graptostethus servus
©Fabien Piednoir, some rights reserved (CC-BY-SA)
Graptostethus servus
©juju98, some rights reserved (CC-BY-NC)
Graptostethus servus
©juju98, some rights reserved (CC-BY-NC)
Graptostethus servus
©Fabien Piednoir, some rights reserved (CC-BY-SA)
Graptostethus servus
©Fabien Piednoir, some rights reserved (CC-BY-SA)
Graptostethus servus
©Fabien Piednoir, some rights reserved (CC-BY-SA)
Graptostethus servus
©Fabien Piednoir, some rights reserved (CC-BY-SA)
Graptostethus servus
©Ayaan S, some rights reserved (CC-BY-NC-ND)
Graptostethus servus
©Hong, some rights reserved (CC-BY-NC)
Graptostethus servus
©Ronán Conroy, some rights reserved (CC-BY-NC)
Graptostethus servus
©Ayaan S, some rights reserved (CC-BY-NC-ND)
Graptostethus servus
©Alessandro Mattedi, some rights reserved (CC-BY-NC-SA)
Graptostethus servus
©Julien Bottinelli, some rights reserved (CC-BY-NC)
Graptostethus servus
©Barış Çerçi, some rights reserved (CC-BY-NC)
Graptostethus servus
©Marleen Schouten, some rights reserved (CC-BY-NC)
Graptostethus servus
©Marleen Schouten, some rights reserved (CC-BY-NC)
Graptostethus servus
©Marleen Schouten, some rights reserved (CC-BY-NC)
Graptostethus servus
©Marleen Schouten, some rights reserved (CC-BY-NC)
Graptostethus servus
©mollie_f, some rights reserved (CC-BY-NC)
Graptostethus servus
©Nandhini, some rights reserved (CC-BY-NC)
Graptostethus servus
©卢江离, some rights reserved (CC-BY-NC)
Graptostethus servus
©Nandhini, some rights reserved (CC-BY-NC)
Graptostethus servus
©Moira FitzPatrick, some rights reserved (CC-BY-NC)
Graptostethus servus
©Ana Jorge da Costa, some rights reserved (CC-BY-NC)
Graptostethus servus
©Jean-Paul Boerekamps, some rights reserved (CC-BY-NC)
Graptostethus servus
©Jean-Paul Boerekamps, some rights reserved (CC-BY-NC)
Graptostethus servus
©simben, some rights reserved (CC-BY-NC-ND)
Graptostethus servus
©Samrudh Nandagopal, some rights reserved (CC-BY-NC)
Graptostethus servus
©h_tes, some rights reserved (CC-BY-NC)
Graptostethus servus
©birdboi1, some rights reserved (CC-BY-NC)
Graptostethus servus
©kirrr, some rights reserved (CC-BY-NC)
Graptostethus servus
©seasearch, some rights reserved (CC-BY-NC)
Graptostethus servus
©rguinness, some rights reserved (CC-BY-NC)
Graptostethus servus
©David Fernández Huerta, some rights reserved (CC-BY-NC)
Graptostethus servus
©Marina Ribeiro, some rights reserved (CC-BY-NC)
Graptostethus servus
©Marina Ribeiro, some rights reserved (CC-BY-NC)
Graptostethus servus
©David R, some rights reserved (CC-BY-NC)
Graptostethus servus
©Stefaneakame, some rights reserved (CC-BY-NC)
Graptostethus servus
©Tara Severns, some rights reserved (CC-BY)
Graptostethus servus
©Tara Severns, some rights reserved (CC-BY)
Graptostethus servus
©Alex Worsey, some rights reserved (CC-BY-NC)
Graptostethus servus
©Stefaneakame, some rights reserved (CC-BY-NC)
Graptostethus servus
©Stefaneakame, some rights reserved (CC-BY-NC)
Graptostethus servus
©Dinesh Sharma, some rights reserved (CC-BY-NC)
Graptostethus servus
©Dinesh Sharma, some rights reserved (CC-BY-NC)
Graptostethus servus
©Dinesh Sharma, some rights reserved (CC-BY-NC)
Graptostethus servus
©brunoparisotto, some rights reserved (CC-BY-NC)
Graptostethus servus
©subpilot, some rights reserved (CC-BY-NC)
Graptostethus servus
©subpilot, some rights reserved (CC-BY-NC)
Graptostethus servus
©subpilot, some rights reserved (CC-BY-NC)
Graptostethus servus
©Sutthikhun Phaengphongsai, some rights reserved (CC-BY-NC-SA)
Graptostethus servus
©Ganjar Cahyadi, some rights reserved (CC-BY-NC)
Graptostethus servus
©Ganjar Cahyadi, some rights reserved (CC-BY-NC)
Graptostethus servus
©hakkahamushi, some rights reserved (CC-BY-NC)
Graptostethus servus
©Sutthikhun Phaengphongsai, some rights reserved (CC-BY-NC-SA)
Graptostethus servus
©greg n, some rights reserved (CC-BY-NC)
Graptostethus servus
©David Pereira, some rights reserved (CC-BY-NC)
Graptostethus servus
©歐陽秀華, some rights reserved (CC-BY-NC)
Graptostethus servus
©Rajiv Thanawala, some rights reserved (CC-BY-NC)
Graptostethus servus
©Dinesh Sharma, some rights reserved (CC-BY-NC)
Graptostethus servus
©Sunnetchan, some rights reserved (CC-BY-NC-SA)
Graptostethus servus
©Sunnetchan, some rights reserved (CC-BY-NC-SA)
Graptostethus servus
©markusgmeiner, some rights reserved (CC-BY-NC)
Graptostethus servus
©greg n, some rights reserved (CC-BY-NC)
Graptostethus servus
©oldman19510, some rights reserved (CC-BY-NC)
Graptostethus servus
©PK Yeung, some rights reserved (CC-BY-NC)
Graptostethus servus
©Sunnetchan, some rights reserved (CC-BY-NC-SA)
Graptostethus servus
©Ravi Naidu, some rights reserved (CC-BY-NC)
Graptostethus servus
©Young Chan, some rights reserved (CC-BY-NC)
Graptostethus servus
©tern911, some rights reserved (CC-BY-NC)
Graptostethus servus
©Dickson Wong, some rights reserved (CC-BY-NC)
Graptostethus servus
©tandanhn79, some rights reserved (CC-BY-NC)
Graptostethus servus
©Ravi Naidu, some rights reserved (CC-BY-NC)
Graptostethus servus
©Reiner Richter, some rights reserved (CC-BY-NC-SA)
Graptostethus servus
©Colin Chiu, some rights reserved (CC-BY-NC)
Graptostethus servus
©PK Yeung, some rights reserved (CC-BY-NC)
Graptostethus servus
©José Ignacio Márquez Corro, some rights reserved (CC-BY-NC)
Graptostethus servus
©José Ignacio Márquez Corro, some rights reserved (CC-BY-NC)
Graptostethus servus
©tandanhn79, some rights reserved (CC-BY-NC)
Graptostethus servus
©利承拔, some rights reserved (CC-BY-NC)
Graptostethus servus
©Guilherme Ramos, some rights reserved (CC-BY-NC)
Graptostethus servus
©利承拔, some rights reserved (CC-BY-NC)
Graptostethus servus
©Kritsada Moomuang, some rights reserved (CC-BY-NC)
Graptostethus servus
©Mark Schellekens, some rights reserved (CC-BY-NC)
Graptostethus servus
©Wai Shing, some rights reserved (CC-BY-NC)
Graptostethus servus
©Claas Damken, some rights reserved (CC-BY-SA)