Halichoeres nebulosus: taxon details and analytics
- Domain
- Kingdom
- Animalia
- Phylum
- Chordata
- Class
- Actinopterygii
- Order
- Perciformes
- Family
- Labridae
- Genus
- Halichoeres
- Species
- Halichoeres nebulosus
- Scientific Name
- Halichoeres nebulosus
Summary description from Wikipedia:
Nebulous wrasse
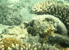
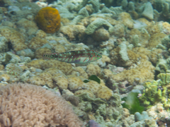
The nebulous wrasse (Halichoeres nebulosus) is a species of wrasse native to the Indian Ocean and the western Pacific Ocean. It can be found in groups at depths from 1 to 40 m (3.3 to 131.2 ft) on reef flats. This species feeds on fish eggs and benthic invertebrates, including crabs, sea urchins, ophiuroids, polychaetes, sponges and mollusks. Its coloration varies, ranging from brown to dark green. This species can reach 12 cm (4.7 in) in total length. It can be found in the aquarium trade.
...Halichoeres nebulosus in languages:
- Chinese
- 雲紋海豬魚
- Czech
- kněžík mlžný
- English
- Nebulous Wrasse
- English
- Clouded Wrasse
- English
- Cloud Wrasse
- English
- Clouded Rainbow-fish
- English
- Clouded Rainbowfish
- French
- Labre nébuleux
- German
- Nebel-Junker
- Japanese
- イナズマベラ
Images from inaturalist.org observations:
We recommend you sign up for this excellent, free service.
Parent Taxon
Sibling Taxa
- Halichoeres adustus
- Halichoeres aestuaricola
- Halichoeres argus
- Halichoeres bathyphilus
- Halichoeres bicolor
- Halichoeres binotopsis
- Halichoeres biocellatus
- Halichoeres bivittatus
- Halichoeres bleekeri
- Halichoeres brasiliensis
- Halichoeres brownfieldi
- Halichoeres burekae
- Halichoeres californicus
- Halichoeres caudalis
- Halichoeres chierchiae
- Halichoeres chlorocephalus
- Halichoeres chloropterus
- Halichoeres chrysotaenia
- Halichoeres chrysus
- Halichoeres claudia
- Halichoeres cosmetus
- Halichoeres cyanocephalus
- Halichoeres dimidiatus
- Halichoeres discolor
- Halichoeres dispilus
- Halichoeres erdmanni
- Halichoeres garnoti
- Halichoeres gurrobyi
- Halichoeres hartzfeldii
- Halichoeres hilomeni
- Halichoeres hortulanus
- Halichoeres inornatus
- Halichoeres insularis
- Halichoeres iridis
- Halichoeres kallochroma
- Halichoeres kneri
- Halichoeres lamarii
- Halichoeres lapillus
- Halichoeres leptotaenia
- Halichoeres leucoxanthus
- Halichoeres leucurus
- Halichoeres maculipinna
- Halichoeres malpelo
- Halichoeres margaritaceus
- Halichoeres marginatus
- Halichoeres melanochir
- Halichoeres melanotis
- Halichoeres melanurus
- Halichoeres melas
- Halichoeres melasmapomus
- Halichoeres miniatus
- Halichoeres nebulosus
- Halichoeres nicholsi
- Halichoeres nigrescens
- Halichoeres notospilus
- Halichoeres orientalis
- Halichoeres ornatissimus
- Halichoeres pallidus
- Halichoeres papilionaceus
- Halichoeres pardaleocephalus
- Halichoeres pelicieri
- Halichoeres penrosei
- Halichoeres pictus
- Halichoeres podostigma
- Halichoeres poeyi
- Halichoeres prosopeion
- Halichoeres radiatus
- Halichoeres richmondi
- Halichoeres rubricephalus
- Halichoeres rubrovirens
- Halichoeres salmofasciatus
- Halichoeres sazimai
- Halichoeres scapularis
- Halichoeres semicinctus
- Halichoeres signifer
- Halichoeres socialis
- Halichoeres solorensis
- Halichoeres stigmaticus
- Halichoeres tenuispinis
- Halichoeres timorensis
- Halichoeres trimaculatus
- Halichoeres trispilus
- Halichoeres vrolikii
- Halichoeres zeylonicus
- Halichoeres zulu






























































































































































