Halyomorpha: taxon details and analytics
- Domain
- Kingdom
- Animalia
- Phylum
- Arthropoda
- Class
- Insecta
- Order
- Hemiptera
- Family
- Pentatomidae
- Genus
- Halyomorpha
- Species
- Scientific Name
- Halyomorpha
Summary description from Wikipedia:
Halyomorpha
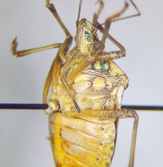
Halyomorpha is a genus of shield bugs in the subfamily Pentatominae and tribe Cappaeini, erected by G. Mayr. This genus probably has an Asian centre of origin, but Halyomorpha halys, the brown marmorated stink bug, is an invasive species with a world-wide distribution.
...Halyomorpha in languages:
- Chinese
- 茶翅蝽屬
Images from inaturalist.org observations:
We recommend you sign up for this excellent, free service.































































































































































