Halysidota davisii: taxon details and analytics
- Domain
- Kingdom
- Animalia
- Phylum
- Arthropoda
- Class
- Insecta
- Order
- Lepidoptera
- Family
- Erebidae
- Genus
- Halysidota
- Species
- Halysidota davisii
- Scientific Name
- Halysidota davisii
Summary description from Wikipedia:
Halysidota davisii
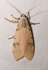
Halysidota davisii, or Davis' tussock moth, is a species of moth in the family Erebidae. It was described by Henry Edwards in 1874. It is found in Utah, Arizona, New Mexico and north-western Texas.
Adults are on wing from July to August.
The larvae have been recorded feeding on Quercus emoryi and Celtis species.
...Halysidota davisii in languages:
- English
- Davis' Tussock Moth
Images from inaturalist.org observations:
We recommend you sign up for this excellent, free service.
©Grupo Ecologista Guardianes del ehecatl y Sierra de Guadalupe A.C., some rights reserved (CC-BY-NC-SA)
©Grupo Ecologista Guardianes del ehecatl y Sierra de Guadalupe A.C., some rights reserved (CC-BY-NC-SA)
Parent Taxon
Sibling Taxa
- Halisidota argentata
- Halysidota ata
- Halysidota atra
- Halysidota baritioides
- Halysidota brasiliensis
- Halysidota cinctipes
- Halysidota conflua
- Halysidota cyclozonata
- Halysidota davisii
- Halysidota donahuei
- Halysidota elota
- Halysidota fuliginosa
- Halysidota fumosa
- Halysidota grata
- Halysidota harrisii
- Halysidota humosa
- Halysidota instabilis
- Halysidota insularis
- Halysidota intensa
- Halysidota interlineata
- Halysidota interstriata
- Halysidota jucunda
- Halysidota leda
- Halysidota masoni
- Halysidota melaleuca
- Halysidota meridionalis
- Halysidota mexiconis
- Halysidota nigrilinea
- Halysidota orientalis
- Halysidota pearsoni
- Halysidota pectenella
- Halysidota rhoda
- Halysidota roseofasciata
- Halysidota rusca
- Halysidota ruscheweyhi
- Halysidota schausi
- Halysidota semibrunnea
- Halysidota steinbachi
- Halysidota striata
- Halysidota tessellaris
- Halysidota thiaucourti
- Halysidota torniplaga
- Halysidota tucumanicola
- Halysidota underwoodi
- Halysidota witti
- Halysidota yapacaniae



















































































































































