Hemipsocus chloroticus: taxon details and analytics
- Domain
- Kingdom
- Animalia
- Phylum
- Arthropoda
- Class
- Insecta
- Order
- Psocodea
- Family
- Hemipsocidae
- Genus
- Hemipsocus
- Species
- Hemipsocus chloroticus
- Scientific Name
- Hemipsocus chloroticus
Summary description from Wikipedia:
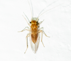
Hemipsocus chloroticus
Hemipsocus chloroticus is a species of leaf litter barklouse in the family Hemipsocidae. It is found in Africa, Central America, North America, Oceania, and Southern Asia.
...Images from inaturalist.org observations:
We recommend you sign up for this excellent, free service.
























