Heterarthrus vagans: taxon details and analytics

Domain
Kingdom
Animalia
Phylum
Arthropoda
Class
Insecta
Order
Hymenoptera
Family
Tenthredinidae
Genus
Heterarthrus
Species
Heterarthrus vagans
Scientific Name
Heterarthrus vagans

Summary description from Wikipedia:

Heterarthrus vagans

Heterarthrus vagans is a Palearctic species of sawfly.

...
 

Heterarthrus vagans in languages:

Dutch
Elzenschijfmineerwesp

Images from inaturalist.org observations:

We recommend you sign up for this excellent, free service.

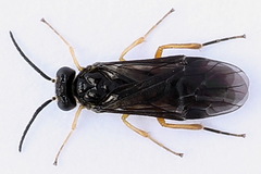
Heterarthrus vagans
©ingridaltmann, some rights reserved (CC-BY)
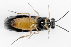
Heterarthrus vagans
©ingridaltmann, some rights reserved (CC-BY)
Heterarthrus vagans
©ingridaltmann, some rights reserved (CC-BY)
Heterarthrus vagans
©John P, some rights reserved (CC-BY-NC)
Heterarthrus vagans
©John P, some rights reserved (CC-BY-NC)
Heterarthrus vagans
©John P, some rights reserved (CC-BY-NC)
Heterarthrus vagans
©Pentti Ketola, some rights reserved (CC-BY-NC)
Heterarthrus vagans
©Stephen James McWilliam, some rights reserved (CC0)
Heterarthrus vagans
©matero, some rights reserved (CC-BY-NC)
Heterarthrus vagans
©matero, some rights reserved (CC-BY-NC)
Heterarthrus vagans
©Anita Sprungk, some rights reserved (CC-BY-NC)
Heterarthrus vagans
©Anita Sprungk, some rights reserved (CC-BY-NC)
Heterarthrus vagans
©Teppo Mutanen, some rights reserved (CC-BY-NC)
Heterarthrus vagans
©Teppo Mutanen, some rights reserved (CC-BY-NC)
Heterarthrus vagans
©matero, some rights reserved (CC-BY-NC)
Heterarthrus vagans
©Jurga Motiejūnaitė, some rights reserved (CC-BY-NC)
Heterarthrus vagans
©Jurga Motiejūnaitė, some rights reserved (CC-BY-NC)
Heterarthrus vagans
©Jurga Motiejūnaitė, some rights reserved (CC-BY-NC)
Heterarthrus vagans
©Jurga Motiejūnaitė, some rights reserved (CC-BY-NC)
Heterarthrus vagans
©Jurga Motiejūnaitė, some rights reserved (CC-BY-NC)
Heterarthrus vagans
©Jurga Motiejūnaitė, some rights reserved (CC-BY-NC)
Heterarthrus vagans
©Susan Marley, some rights reserved (CC-BY)
Heterarthrus vagans
©Susan Marley, some rights reserved (CC-BY)
Heterarthrus vagans
©ingridaltmann, some rights reserved (CC-BY)
Heterarthrus vagans
©ingridaltmann, some rights reserved (CC-BY)
Heterarthrus vagans
©Jurga Motiejūnaitė, some rights reserved (CC-BY-NC)
Heterarthrus vagans
©Jurga Motiejūnaitė, some rights reserved (CC-BY-NC)
Heterarthrus vagans
©Stephen James McWilliam, some rights reserved (CC0)
Heterarthrus vagans
©Stephen James McWilliam, some rights reserved (CC0)
Heterarthrus vagans
©Teppo Mutanen, some rights reserved (CC-BY-NC)
Heterarthrus vagans
©Teppo Mutanen, some rights reserved (CC-BY-NC)
Heterarthrus vagans
©Teppo Mutanen, some rights reserved (CC-BY-NC)
Heterarthrus vagans
©Teppo Mutanen, some rights reserved (CC-BY-NC)
Heterarthrus vagans
©Teppo Mutanen, some rights reserved (CC-BY-NC)
Heterarthrus vagans
©Teppo Mutanen, some rights reserved (CC-BY-NC)
Heterarthrus vagans
©Teppo Mutanen, some rights reserved (CC-BY-NC)
Heterarthrus vagans
©Pentti Ketola, some rights reserved (CC-BY-NC)
Heterarthrus vagans
©Pentti Ketola, some rights reserved (CC-BY-NC)
Heterarthrus vagans
©Pentti Ketola, some rights reserved (CC-BY-NC)
Heterarthrus vagans
©Teppo Mutanen, some rights reserved (CC-BY-NC)
Heterarthrus vagans
©Teppo Mutanen, some rights reserved (CC-BY-NC)
Heterarthrus vagans
©Teppo Mutanen, some rights reserved (CC-BY-NC)
Heterarthrus vagans
©Jurga Motiejūnaitė, some rights reserved (CC-BY-NC)
Heterarthrus vagans
©Jurga Motiejūnaitė, some rights reserved (CC-BY-NC)
Heterarthrus vagans
©Jurga Motiejūnaitė, some rights reserved (CC-BY-NC)
Heterarthrus vagans
©Jurga Motiejūnaitė, some rights reserved (CC-BY-NC)
Heterarthrus vagans
©Jurga Motiejūnaitė, some rights reserved (CC-BY-NC)
Heterarthrus vagans
©Gerrit Öhm, some rights reserved (CC-BY-NC)
Heterarthrus vagans
©Gerrit Öhm, some rights reserved (CC-BY-NC)
Heterarthrus vagans
©Gerrit Öhm, some rights reserved (CC-BY-NC)
Heterarthrus vagans
©Gerrit Öhm, some rights reserved (CC-BY-NC)
Heterarthrus vagans
©Andrey Ponomarev, some rights reserved (CC-BY-NC)
Heterarthrus vagans
©Andrey Ponomarev, some rights reserved (CC-BY-NC)
Heterarthrus vagans
©Andrey Ponomarev, some rights reserved (CC-BY-NC)
Heterarthrus vagans
©Andrey Ponomarev, some rights reserved (CC-BY-NC)
Heterarthrus vagans
©Andrey Ponomarev, some rights reserved (CC-BY-NC)
Heterarthrus vagans
©Andrey Ponomarev, some rights reserved (CC-BY-NC)
Heterarthrus vagans
©Andrey Ponomarev, some rights reserved (CC-BY-NC)
Heterarthrus vagans
©Andrey Ponomarev, some rights reserved (CC-BY-NC)
Heterarthrus vagans
©Andrey Ponomarev, some rights reserved (CC-BY-NC)
Heterarthrus vagans
©Andrey Ponomarev, some rights reserved (CC-BY-NC)
Heterarthrus vagans
©Andrey Ponomarev, some rights reserved (CC-BY-NC)
Heterarthrus vagans
©Andrey Ponomarev, some rights reserved (CC-BY-NC)
Heterarthrus vagans
©Andrey Ponomarev, some rights reserved (CC-BY-NC)
Heterarthrus vagans
©Andrey Ponomarev, some rights reserved (CC-BY-NC)
Heterarthrus vagans
©Andrey Ponomarev, some rights reserved (CC-BY-NC)
Heterarthrus vagans
©Andrey Ponomarev, some rights reserved (CC-BY-NC)
Heterarthrus vagans
©Andrey Ponomarev, some rights reserved (CC-BY-NC)
Heterarthrus vagans
©Andrey Ponomarev, some rights reserved (CC-BY-NC)
Heterarthrus vagans
©Andrey Ponomarev, some rights reserved (CC-BY-NC)
Heterarthrus vagans
©Andrey Ponomarev, some rights reserved (CC-BY-NC)
Heterarthrus vagans
©Andrey Ponomarev, some rights reserved (CC-BY-NC)
Heterarthrus vagans
©Andrey Ponomarev, some rights reserved (CC-BY-NC)
Heterarthrus vagans
©Andrey Ponomarev, some rights reserved (CC-BY-NC)
Heterarthrus vagans
©Andrey Ponomarev, some rights reserved (CC-BY-NC)
Heterarthrus vagans
©Andrey Ponomarev, some rights reserved (CC-BY-NC)
Heterarthrus vagans
©Andrey Ponomarev, some rights reserved (CC-BY-NC)
Heterarthrus vagans
©Andrey Ponomarev, some rights reserved (CC-BY-NC)
Heterarthrus vagans
©Andrey Ponomarev, some rights reserved (CC-BY-NC)
Heterarthrus vagans
©Andrey Ponomarev, some rights reserved (CC-BY-NC)
Heterarthrus vagans
©Andrey Ponomarev, some rights reserved (CC-BY-NC)
Heterarthrus vagans
©Andrey Ponomarev, some rights reserved (CC-BY-NC)
Heterarthrus vagans
©Andrey Ponomarev, some rights reserved (CC-BY-NC)
Heterarthrus vagans
©Andrey Ponomarev, some rights reserved (CC-BY-NC)
Heterarthrus vagans
©Andrey Ponomarev, some rights reserved (CC-BY-NC)
Heterarthrus vagans
©Andrey Ponomarev, some rights reserved (CC-BY-NC)
Heterarthrus vagans
©Andrey Ponomarev, some rights reserved (CC-BY-NC)
Heterarthrus vagans
©Andrey Ponomarev, some rights reserved (CC-BY-NC)
Heterarthrus vagans
©Andrey Ponomarev, some rights reserved (CC-BY-NC)
Heterarthrus vagans
©Andrey Ponomarev, some rights reserved (CC-BY-NC)
Heterarthrus vagans
©Andrey Ponomarev, some rights reserved (CC-BY-NC)
Heterarthrus vagans
©Andrey Ponomarev, some rights reserved (CC-BY-NC)
Heterarthrus vagans
©Andrey Ponomarev, some rights reserved (CC-BY-NC)
Heterarthrus vagans
©Andrey Ponomarev, some rights reserved (CC-BY-NC)
Heterarthrus vagans
©Andrey Ponomarev, some rights reserved (CC-BY-NC)
Heterarthrus vagans
©Andrey Ponomarev, some rights reserved (CC-BY-NC)
Heterarthrus vagans
©Andrey Ponomarev, some rights reserved (CC-BY-NC)
Heterarthrus vagans
©Andrey Ponomarev, some rights reserved (CC-BY-NC)
Heterarthrus vagans
©Andrey Ponomarev, some rights reserved (CC-BY-NC)
Heterarthrus vagans
©Andrey Ponomarev, some rights reserved (CC-BY-NC)
Heterarthrus vagans
©Andrey Ponomarev, some rights reserved (CC-BY-NC)
Heterarthrus vagans
©Andrey Ponomarev, some rights reserved (CC-BY-NC)
Heterarthrus vagans
©Andrey Ponomarev, some rights reserved (CC-BY-NC)
Heterarthrus vagans
©Andrey Ponomarev, some rights reserved (CC-BY-NC)
Heterarthrus vagans
©Andrey Ponomarev, some rights reserved (CC-BY-NC)
Heterarthrus vagans
©Andrey Ponomarev, some rights reserved (CC-BY-NC)
Heterarthrus vagans
©Andrey Ponomarev, some rights reserved (CC-BY-NC)
Heterarthrus vagans
©Andrey Ponomarev, some rights reserved (CC-BY-NC)
Heterarthrus vagans
©Andrey Ponomarev, some rights reserved (CC-BY-NC)
Heterarthrus vagans
©Andrey Ponomarev, some rights reserved (CC-BY-NC)
Heterarthrus vagans
©Andrey Ponomarev, some rights reserved (CC-BY-NC)
Heterarthrus vagans
©Andrey Ponomarev, some rights reserved (CC-BY-NC)
Heterarthrus vagans
©Andrey Ponomarev, some rights reserved (CC-BY-NC)
Heterarthrus vagans
©Andrey Ponomarev, some rights reserved (CC-BY-NC)
Heterarthrus vagans
©Andrey Ponomarev, some rights reserved (CC-BY-NC)
Heterarthrus vagans
©Andrey Ponomarev, some rights reserved (CC-BY-NC)
Heterarthrus vagans
©Andrey Ponomarev, some rights reserved (CC-BY-NC)
Heterarthrus vagans
©Andrey Ponomarev, some rights reserved (CC-BY-NC)
Heterarthrus vagans
©Andrey Ponomarev, some rights reserved (CC-BY-NC)
Heterarthrus vagans
©Andrey Ponomarev, some rights reserved (CC-BY-NC)
Heterarthrus vagans
©Andrey Ponomarev, some rights reserved (CC-BY-NC)
Heterarthrus vagans
©Andrey Ponomarev, some rights reserved (CC-BY-NC)
Heterarthrus vagans
©Andrey Ponomarev, some rights reserved (CC-BY-NC)
Heterarthrus vagans
©Andrey Ponomarev, some rights reserved (CC-BY-NC)
Heterarthrus vagans
©Andrey Ponomarev, some rights reserved (CC-BY-NC)
Heterarthrus vagans
©Andrey Ponomarev, some rights reserved (CC-BY-NC)
Heterarthrus vagans
©Andrey Ponomarev, some rights reserved (CC-BY-NC)
Heterarthrus vagans
©Andrey Ponomarev, some rights reserved (CC-BY-NC)
Heterarthrus vagans
©Andrey Ponomarev, some rights reserved (CC-BY-NC)
Heterarthrus vagans
©Andrey Ponomarev, some rights reserved (CC-BY-NC)
Heterarthrus vagans
©Andrey Ponomarev, some rights reserved (CC-BY-NC)
Heterarthrus vagans
©Andrey Ponomarev, some rights reserved (CC-BY-NC)
Heterarthrus vagans
©Andrey Ponomarev, some rights reserved (CC-BY-NC)
Heterarthrus vagans
©Andrey Ponomarev, some rights reserved (CC-BY-NC)
Heterarthrus vagans
©Anita Sprungk, some rights reserved (CC-BY-NC)
Heterarthrus vagans
©Juha Tuomola, some rights reserved (CC-BY-NC)
Heterarthrus vagans
©Juha Tuomola, some rights reserved (CC-BY-NC)