Heterogastridae: taxon details and analytics
- Domain
- Kingdom
- Animalia
- Phylum
- Arthropoda
- Class
- Insecta
- Order
- Hemiptera
- Family
- Heterogastridae
- Genus
- Species
- Scientific Name
- Heterogastridae
Summary description from Wikipedia:
Heterogastridae
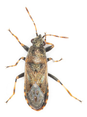
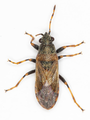
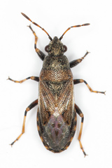
Heterogastridae is a family of lygaeoid bugs consisting of about 20 genera and more than 100 species.
The group has been considered a subfamily, tribe and subtribe, but most recently has been restored to family status.
...Heterogastridae in languages:
- Chinese
- 翅室長蝽科 (室翅長蝽科)
- Czech
- hnědenkovití
- Dutch
- Ringpootbodemwantsen
- Japanese
- クロマダラナガカメムシ科
- Swedish
- nässelskinnbaggar
Images from inaturalist.org observations:
We recommend you sign up for this excellent, free service.































































































































































