Skip to the navigation
.
Skip to the content
.
BioSurveys.org
Surveying life, socially, locally.
places search
taxa search
Color
Sign In
Heterophotinus striatus: taxon details and analytics
Domain
Kingdom
Animalia
Phylum
Arthropoda
Class
Insecta
Order
Coleoptera
Family
Lampyridae
Genus
Heterophotinus
Species
Heterophotinus striatus
Scientific Name
Heterophotinus striatus
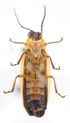
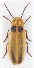
Images from inaturalist.org observations:
We recommend you sign up for this excellent, free service.
©prioninae_eu, some rights reserved (CC-BY-NC)
©prioninae_eu, some rights reserved (CC-BY-NC)
Parent Taxon
Heterophotinus
Sibling Taxa
Heterophotinus alius
Heterophotinus constanzae
Heterophotinus dubiosus
Heterophotinus limbipennis
Heterophotinus limpioensis
Heterophotinus merielae
Heterophotinus nigricollis
Heterophotinus striatus
Heterophotinus viridicolor
Heterophotinus vittatus
Heterophotinus yuyinque
Top Observation Places
Share
Tweet
Back to Top
Biosurveys - Crowd Sourced Local Biogeography Login