Hohenbuehelia: taxon details and analytics
- Domain
- Kingdom
- Fungi
- Phylum
- Basidiomycota
- Class
- Agaricomycetes
- Order
- Agaricales
- Family
- Pleurotaceae
- Genus
- Hohenbuehelia
- Species
- Scientific Name
- Hohenbuehelia
Summary description from Wikipedia:
Hohenbuehelia
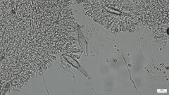
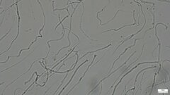
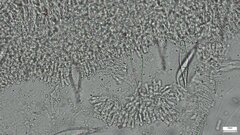
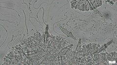
Hohenbuehelia is a pleurotoid genus of agaric fungi characterized by gelatinous-sheathed bowling-pin-shaped cystidia, on conidia, basidiospore germ tubes, and mycelium that adhere to and capture nematodes. The fruitbodies bear thick-walled cystidia (metuloids) in the hymenium along the gill sides and that differentiate the genus from Pleurotus in the Pleurotaceae family. The genus has a widespread distribution and contains about 50 species.
...Hohenbuehelia in languages:
- Chinese
- 亞側耳屬
- Czech
- hlívička
- Dutch
- Harpoenzwam
- Finnish
- hytyvinokkaat
- Hebrew
- מַרְזְבִית
- Japanese
- ヒメムキタケ属
- Lithuanian
- Kriaukliabudė
- Russian
- Гоенбуелии
- Swedish
- gelémusslingar
Images from inaturalist.org observations:
We recommend you sign up for this excellent, free service.
Parent Taxon
Sibling Taxa
Child Taxa
- Hohenbuehelia aciculospora
- Hohenbuehelia angustata
- Hohenbuehelia approximans
- Hohenbuehelia atrocoerulea
- Hohenbuehelia atrolucida
- Hohenbuehelia auriscalpium
- Hohenbuehelia barbatula
- Hohenbuehelia bonii
- Hohenbuehelia brunnea
- Hohenbuehelia clelandii
- Hohenbuehelia concurrens
- Hohenbuehelia culmicola
- Hohenbuehelia cyphelliformis
- Hohenbuehelia fluxilis
- Hohenbuehelia geogenia
- Hohenbuehelia grisea
- Hohenbuehelia haptoclada
- Hohenbuehelia horakii
- Hohenbuehelia leiospora
- Hohenbuehelia longipes
- Hohenbuehelia luteohinnulea
- Hohenbuehelia luteola
- Hohenbuehelia mastrucata
- Hohenbuehelia metuloidea
- Hohenbuehelia myxotricha
- Hohenbuehelia nothofaginea
- Hohenbuehelia paraguayensis
- Hohenbuehelia parsonsiae
- Hohenbuehelia petaloides
- Hohenbuehelia phalligera
- Hohenbuehelia pinacearum
- Hohenbuehelia podocarpinea
- Hohenbuehelia portegna
- Hohenbuehelia pseudocyphelliformis
- Hohenbuehelia recedens
- Hohenbuehelia reniformis
- Hohenbuehelia robusta
- Hohenbuehelia sciadium
- Hohenbuehelia silvana
- Hohenbuehelia singeri
- Hohenbuehelia spathulata
- Hohenbuehelia subreniformis
- Hohenbuehelia thornii
- Hohenbuehelia tremula
- Hohenbuehelia tripolitania
- Hohenbuehelia tristis
- Hohenbuehelia tylospora
- Hohenbuehelia unguicularis
- Hohenbuehelia valesiaca
- Hohenbuehelia wilhelmii
- Nematoctonus geogenius































































































































































