Hydroporus planus: taxon details and analytics
- Domain
- Kingdom
- Animalia
- Phylum
- Arthropoda
- Class
- Insecta
- Order
- Coleoptera
- Family
- Dytiscidae
- Genus
- Hydroporus
- Species
- Hydroporus planus
- Scientific Name
- Hydroporus planus
Summary description from Wikipedia:
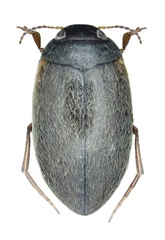
Hydroporus planus
Hydroporus planus es una especie de escarabajo del género Hydroporus, familia Dytiscidae. Fue descrita científicamente por Fabricius en 1782.
Esta especie se encuentra en Europa y Asia del Norte (excepto China).
...Hydroporus planus in languages:
- Danish
- Fladtrykt vandkalv
Images from inaturalist.org observations:
We recommend you sign up for this excellent, free service.
Parent Taxon
Sibling Taxa
- Hydroporus angusi
- Hydroporus angustatus
- Hydroporus appalachius
- Hydroporus aurora
- Hydroporus axillaris
- Hydroporus badiellus
- Hydroporus basinotatus
- Hydroporus boraeorum
- Hydroporus brevicornis
- Hydroporus brevis
- Hydroporus carri
- Hydroporus columbianus
- Hydroporus dentellus
- Hydroporus despectus
- Hydroporus dichrous
- Hydroporus discretus
- Hydroporus dorsalis
- Hydroporus elongatulus
- Hydroporus erythrocephalus
- Hydroporus ferrugineus
- Hydroporus figuratus
- Hydroporus fortis
- Hydroporus foveolatus
- Hydroporus fuscipennis
- Hydroporus geniculatus
- Hydroporus glabriusculus
- Hydroporus gossei
- Hydroporus guernei
- Hydroporus gyllenhalii
- Hydroporus hirsutus
- Hydroporus hirtellus
- Hydroporus ijimai
- Hydroporus incognitus
- Hydroporus jeanneae
- Hydroporus jenniferae
- Hydroporus kraatzii
- Hydroporus kryshtali
- Hydroporus lapponum
- Hydroporus larsoni
- Hydroporus leechi
- Hydroporus lenkoranensis
- Hydroporus limbatus
- Hydroporus longicornis
- Hydroporus longiusculus
- Hydroporus longulus
- Hydroporus lucasi
- Hydroporus mannerheimi
- Hydroporus marginatus
- Hydroporus melanarius
- Hydroporus melsheimeri
- Hydroporus memnonius
- Hydroporus morio
- Hydroporus necopinatus
- Hydroporus neglectus
- Hydroporus neuter
- Hydroporus nigellus
- Hydroporus niger
- Hydroporus nigrita
- Hydroporus normandi
- Hydroporus notabilis
- Hydroporus notatus
- Hydroporus obscurus
- Hydroporus obsoletus
- Hydroporus occidentalis
- Hydroporus palustris
- Hydroporus pervicinus
- Hydroporus planus
- Hydroporus polaris
- Hydroporus pseudoniger
- Hydroporus puberulus
- Hydroporus pubescens
- Hydroporus rectus
- Hydroporus rufifrons
- Hydroporus rufilabris
- Hydroporus rufinasus
- Hydroporus sabaudus
- Hydroporus saghaliensis
- Hydroporus scalesianus
- Hydroporus sibiricus
- Hydroporus signatus
- Hydroporus similaris
- Hydroporus simplex
- Hydroporus sinuatipes
- Hydroporus spangleri
- Hydroporus striola
- Hydroporus submuticus
- Hydroporus subpubescens
- Hydroporus tademus
- Hydroporus tartaricus
- Hydroporus tenebrosus
- Hydroporus tessellatus
- Hydroporus tokui
- Hydroporus transpunctatus
- Hydroporus tristis
- Hydroporus uenoi
- Hydroporus umbrosus
- Hydroporus utahensis
- Hydroporus vagepictus
- Hydroporus zackii















