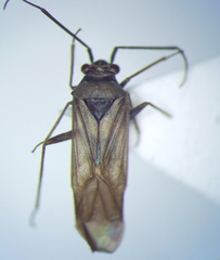
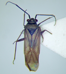
Hyoidea kerzhneri: taxon details and analytics
- Domain
- Kingdom
- Animalia
- Phylum
- Arthropoda
- Class
- Insecta
- Order
- Hemiptera
- Family
- Miridae
- Genus
- Hyoidea
- Species
- Hyoidea kerzhneri
- Scientific Name
- Hyoidea kerzhneri
Images from inaturalist.org observations:
We recommend you sign up for this excellent, free service.





