Kermesidae: taxon details and analytics
- Domain
- Kingdom
- Animalia
- Phylum
- Arthropoda
- Class
- Insecta
- Order
- Hemiptera
- Family
- Kermesidae
- Genus
- Species
- Scientific Name
- Kermesidae
Summary description from Wikipedia:
Kermesidae
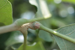
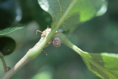
The Kermesidae, or gall-like scales, are a family of scale insects belonging to the superfamily Coccoidea. The type genus, Kermes, includes the kermes scale insects, from which a red dye, also called kermes (a.k.a. crimson), is obtained. The family includes about 100 species in 10 genera found in the Nearctic, Indomalayan and Palaearctic realms.
The first instars of some species in the USA are called "crawlers". They are less than 0.5 millimetres (0.020 in) long, salmon-colored, and wingless with well-developed legs. As adults, they demonstrate significant sexual dimorphism. Males are gnat-like with fragile wings, while females are bulbous with reduced legs and antennas, and are easily mistaken for buds or galls.
...Kermesidae in languages:
- English
- Gall-like Scales
- Korean
- 왕공깍지벌레과
- Swedish
- eksköldlöss
Images from inaturalist.org observations:
We recommend you sign up for this excellent, free service.
Parent Taxon
Sibling Taxa
- Aclerdidae
- Asterolecaniidae
- Beesoniidae
- Callipappidae
- Carayonemidae
- Cerococcidae
- Coccidae
- Coelostomidiidae
- Conchaspididae
- Dactylopiidae
- Diaspididae
- Eriococcidae
- Halimococcidae
- Kermesidae
- Kerriidae
- Kuwaniidae
- Lacciferidae
- Lecanodiaspididae
- Marchalinidae
- Margarodidae
- Matsucoccidae
- Micrococcidae
- Monophlebidae
- Ortheziidae
- Phenacoleachiidae
- Phoenicococcidae
- Pseudococcidae
- Putoidae
- Rhizoecidae
- Steingeliidae
- Stictococcidae
- Xylococcidae































































































































































