Leptocentrus: taxon details and analytics
- Domain
- Kingdom
- Animalia
- Phylum
- Arthropoda
- Class
- Insecta
- Order
- Hemiptera
- Family
- Membracidae
- Genus
- Leptocentrus
- Species
- Scientific Name
- Leptocentrus
Summary description from Wikipedia:
Leptocentrus
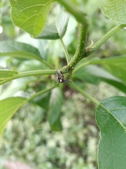
Leptocentrus ist eine Gattung der Buckelzirpen aus der Unterfamilie der Centrotinae. Die Gattung enthält mehr als 90 Arten und ist damit eine der vier artenreichsten Gattungen der Buckelzikaden. Sie ist vor allem in der Orientalis verbreitet, aber auch in afrotropischen, palaearktischen, indomalaysischen, australischen und ozeanischen Gebieten. Sehr weit verbreitet sind beispielsweise L. altifrons, L. reponens, L. taurus und L. vicarius.
Das Pronotum der Leptocentrus-Zikaden hat einen charakteristischen spitzen Dorn, der sich nach hinten erstreckt und vorne zwei seitliche Spitzen. Die Zikaden sind meistens dunkel, braun, manchmal mit hellen Stellen. Sie sind etwa fünf bis sieben Millimeter lang.
Mehrere Arten der Gattung Leptocentrus, darunter L. taurus sind Schädlinge an Sandelholz und anderen wirtschaftlich wichtigen Pflanzen auf dem indischen Subkontinent. L. longispinus ist auf Sandelholz mit Ameisen vergesellschaftet.
...Images from inaturalist.org observations:
We recommend you sign up for this excellent, free service.































































































































































