Leptoglossus clypealis: taxon details and analytics
- Domain
- Kingdom
- Animalia
- Phylum
- Arthropoda
- Class
- Insecta
- Order
- Hemiptera
- Family
- Coreidae
- Genus
- Leptoglossus
- Species
- Leptoglossus clypealis
- Scientific Name
- Leptoglossus clypealis
Summary description from Wikipedia:
Leptoglossus clypealis
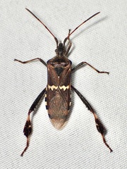
Leptoglossus clypealis, the western leaf-footed bug, is a species of leaf-footed bug in the family Coreidae. It is found in Central America and North America. Adult L. clypealis are 18–19 millimetres (0.71–0.75 in) in length. They are brown with flared, leaf-like expansions near their feet and a pale band across their wings.
L. clypealis is commonly found on juniper, but can be a pest to agricultural crops. In the 1980s, Hasan Bolkan discovered that the leaf-footed bug was a cause of lesions on commercially produced pistachio crops.
...Leptoglossus clypealis in languages:
- English
- Western Leaf-footed Bug
Images from inaturalist.org observations:
We recommend you sign up for this excellent, free service.
Parent Taxon
Sibling Taxa
Top Observation Places
- Laredo
- Camden
- Cherry Hill
- New Brunswick
- Santa Fe
- Redlands
- Broomfield
- Reno
- Madison
- El Cajon
- Berkeley
- Tulsa
- Van Nuys
- Woodland Hills
- Northridge
- Canoga Park
- Valley Glen
- Sherman Oaks
- Colorado Springs
- Oklahoma City
- Edmond
- Tucson
- Catalina Foothills
- Norman
- Fort Collins
- Los Angeles
- Glendale
- Pasadena
- Alhambra
- Arcadia
- Odessa
- Sacramento
- West Sacramento
- Denver
- Aurora
- Centennial
- Highlands Ranch
- Centreville
- Albuquerque
- Rio Rancho
- Boulder
- Longmont
- Lubbock
- San Antonio
- Washington
- Arlington
- Alexandria
- Silver Spring
- Bethesda
- Austin































































































































































