Leptopterna dolabrata: taxon details and analytics
- Domain
- Kingdom
- Animalia
- Phylum
- Arthropoda
- Class
- Insecta
- Order
- Hemiptera
- Family
- Miridae
- Genus
- Leptopterna
- Species
- Leptopterna dolabrata
- Scientific Name
- Leptopterna dolabrata
Summary description from Wikipedia:
Leptopterna dolabrata
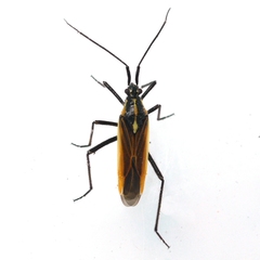
Leptopterna dolabrata (Miris dolabratus), commonly known as the meadow plant bug, is an insect in the Miridae family. It is commonly found in grassy areas in almost all of Europe to the northern Mediterranean and east across Asia Minor to the Caspian Sea region. It is an adventive species in North America . It feeds on developing grass seeds, causing seed heads to shrivel and prematurely whiten. It is regarded as a pest wherever grass is grown for seed. The species has long antennae and is black coloured.
...Leptopterna dolabrata in languages:
- Bokmål
- grastege
- Czech
- klopuška hnědožlutá
- Danish
- Almindelig græstæge
- Dutch
- Grote bonte graswants
- English
- Meadow Plant Bug
- Finnish
- nurmitähkälude
- German
- Graswanze
- Hungarian
- közönséges mezeipoloska
- Lithuanian
- Painioji Žolblakė
- Polish
- Ścięga łąkowa
- Russian
- Слепняк злаковый
Images from inaturalist.org observations:
We recommend you sign up for this excellent, free service.
Parent Taxon
Sibling Taxa
- Leptopterna albescens
- Leptopterna amoena
- Leptopterna dentifer
- Leptopterna dolabrata
- Leptopterna emeljanovi
- Leptopterna euxina
- Leptopterna ferrugata
- Leptopterna griesheimae
- Leptopterna inopinata
- Leptopterna kerzhneri
- Leptopterna magnospicula
- Leptopterna pilosa
- Leptopterna putshkovi
- Leptopterna reuteri
- Leptopterna ruficornis
- Leptopterna xilingolana
Top Observation Places
- Dunstable
- Friedrichshafen
- Dartmouth
- Caledon
- Mons
- Kingswood
- Leicester
- London
- Cambridge
- Graz
- Cambridge
- Nottingham
- Zürich
- Zürich (Kreis 11)
- Copenhagen
- Frederiksberg
- Düsseldorf
- Ottawa
- Århus
- Freiburg
- London
- Islington
- City of Westminster
- Canary Wharf
- Peckham
- Stamford Hill
- Zwickau
- Kleinzschocher
- Großzschocher
- Leipzig
- Huyton
- Royal Tunbridge Wells
- Hamilton
- Sheffield
- Silver Spring
- Strogino
- Krasnogorsk
- Wolverhampton
- Dudley
- West Bromwich
- Halesowen
- Southall
- Hounslow
- Vienna
- Floridsdorf
- Ottakring
- Hernals
- Hietzing
- Toronto
- Vaughan



























































































































































