Leptostylopsis: taxon details and analytics
- Domain
- Kingdom
- Animalia
- Phylum
- Arthropoda
- Class
- Insecta
- Order
- Coleoptera
- Family
- Cerambycidae
- Genus
- Leptostylopsis
- Species
- Scientific Name
- Leptostylopsis
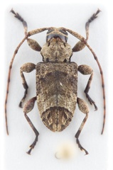
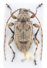
Images from inaturalist.org observations:
We recommend you sign up for this excellent, free service.
Parent Taxon
Sibling Taxa
- Acanista
- Acanthocinus
- Acanthodoxus
- Acartus
- Aegocidnexocentrus
- Alcathousiella
- Alcidion
- Alloeomorphus
- Alphinellus
- Amniscites
- Amniscus
- Ancylistes
- Anisolophia
- Anisopodus
- Antecrurisa
- Apteralcidion
- Apteroleiopus
- Astyleiopus
- Astylidius
- Astylopsis
- Atelographus
- Atrypanius
- Australoleiopus
- Baecacanthus
- Baryssiniella
- Baryssinus
- Beloesthes
- Boninella
- Boninoleiops
- Brevoxathres
- Bulbolmotega
- Callipero
- Calolamia
- Canidia
- Carinoclodia
- Carpheolus
- Carphina
- Carphontes
- Catharesthes
- Cazeresellipsis
- Chaetacosta
- Chydaeopsis
- Clavemeopodus
- Cleodoxus
- Clodia
- Cobelura
- Coenopoeus
- Colobeutrypanus
- Contoderopsis
- Contoderus
- Cosmotoma
- Cristenes
- Cristeryssamena
- Cristisse
- Cristocentrus
- Dectes
- Didymocentrotus
- Dolichoplomelas
- Driopea
- Dryana
- Duocristala
- Eleothinus
- Elongatocontoderus
- Embryon
- Emeopedopsis
- Emeopedus
- Eneodes
- Enes
- Eoporis
- Erphaea
- Eucharitolus
- Eugamandus
- Eugrapheus
- Euryclytosemia
- Euryxaenapta
- Eutrichillus
- Eutrypanus
- Exalcidion
- Exocentroides
- Falsexocentroides
- Falsovelleda
- Fasciculancylistes
- Fisherostylus
- Freoexocentrus
- Georgeana
- Glaucotes
- Goephanes
- Granastyochus
- Graphisurus
- Hamatastus
- Hexacona
- Hylettus
- Hyperplatys
- Idephrynus
- Inermoleiopus
- Intricatotrypanius
- Ipochira
- Ipochiromima
- Isse
- Jordanoleiopus
- Kallyntrosternidius
- Lagocheirus
- Lasiolepturges
- Lathroeus
- Leiopus
- Leptocometes
- Leptostylopsis
- Leptostylus
- Leptrichillus
- Lepturdrys
- Lepturgantes
- Lepturges
- Lepturginus
- Lepturgotrichona
- Lethes
- Lophopoenopsis
- Lophopoeum
- Mecotetartus
- Miaenia
- Microlamia
- Microplia
- Mimosophronica
- Myrmecoclytus
- Neacanista
- Nealcidion
- Neoeutrypanus
- Nyssocarinus
- Nyssodrysilla
- Nyssodrysternum
- Odontozineus
- Oectropsis
- Oedopeza
- Olenosus
- Onalcidion
- Ostedes
- Oxathres
- Oxathridia
- Ozineus
- Palame
- Parabaryssinus
- Paracartus
- Paracleodoxus
- Paralcidion
- Paranisopodus
- Paraprobatius
- Paratenthras
- Paratrypanius
- Paremeopedus
- Paroecus
- Pattalinus
- Pentheochaetes
- Periestola
- Pertyia
- Phlaeopsis
- Phrissolaus
- Piezochaerus
- Polyacanthia
- Probatiomimus
- Proseriphus
- Proxatrypanius
- Pseudastylopsis
- Pseudexocentrus
- Pseudocobelura
- Pseudocriopsis
- Pseudolepturges
- Pseudosparna
- Psilocnaeia
- Pucallpa
- Rondibilis
- Scapogoephanes
- Spilotrogia
- Spinomyrmecoclytus
- Sporetus
- Stenellipsis
- Stenolis
- Sternacutus
- Sternidius
- Sternidocinus
- Styloleptus
- Subinermexocentrus
- Sympagus
- Tenthras
- Teosophronica
- Tomrogersia
- Toronaeus
- Trichalcidion
- Trichalphus
- Trichastylopsis
- Trichillurges
- Trichocanonura
- Trichonius
- Trichotithonus
- Tropanisopodus
- Tropidocoleus
- Tropidozineus
- Trypanidiellus
- Trypanidius
- Tuberastyochus
- Urgleptes
- Valenus
- Velledomimus
- Vitacinis
- Xaenapta
- Xenocona
- Xenostylus
- Xylergates
- Xylergatoides
- Zambiana
Child Taxa
- Leptostylopsis albofasciatus
- Leptostylopsis antillarum
- Leptostylopsis argentatus
- Leptostylopsis basifulvus
- Leptostylopsis gundlachi
- Leptostylopsis incrassatus
- Leptostylopsis jamaicensis
- Leptostylopsis longicornis
- Leptostylopsis luteus
- Leptostylopsis milleri
- Leptostylopsis perfasciatus
- Leptostylopsis planidorsus
- Leptostylopsis poeyi
- Leptostylopsis smithi
- Leptostylopsis terraecolor





























