Skip to the navigation
.
Skip to the content
.
BioSurveys.org
Surveying life, socially, locally.
places search
taxa search
Color
Sign In
Limacocarenus curtulus: taxon details and analytics
Domain
Kingdom
Animalia
Phylum
Arthropoda
Class
Insecta
Order
Hemiptera
Family
Rhopalidae
Genus
Limacocarenus
Species
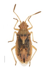
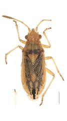
Limacocarenus curtulus
Scientific Name
Limacocarenus curtulus
Images from inaturalist.org observations:
We recommend you sign up for this excellent, free service.
©Barış Çerçi, some rights reserved (CC-BY-NC)
©Barış Çerçi, some rights reserved (CC-BY-NC)
Parent Taxon
Limacocarenus
Sibling Taxa
Limacocarenus curtulus
Top Observation Places
Share
Tweet
Back to Top
Biosurveys - Crowd Sourced Local Biogeography Login