Lindsaea trichomanoides: taxon details and analytics
- Domain
- Kingdom
- Plantae
- Phylum
- Tracheophyta
- Class
- Polypodiopsida
- Order
- Polypodiales
- Family
- Lindsaeaceae
- Genus
- Lindsaea
- Species
- Lindsaea trichomanoides
- Scientific Name
- Lindsaea trichomanoides
Summary description from Wikipedia:
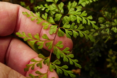
Lindsaea trichomanoides
Lindsaea trichomanoides is a small, tufted fern from Australia and New Zealand. It is typically found on dry sites in lowland to montane forest and shrubland.
The fronds of L. trichomanoides are between 5 cm and 25 cm long.
...Images from inaturalist.org observations:
We recommend you sign up for this excellent, free service.
Parent Taxon
Sibling Taxa
- Lindsaea adiantoides
- Lindsaea agatii
- Lindsaea apoensis
- Lindsaea arcuata
- Lindsaea austrosinica
- Lindsaea bonii
- Lindsaea borneensis
- Lindsaea botrychioides
- Lindsaea brachypoda
- Lindsaea cambodgensis
- Lindsaea carvifolia
- Lindsaea chienii
- Lindsaea cultrata
- Lindsaea digitata
- Lindsaea dimorpha
- Lindsaea divaricata
- Lindsaea divergens
- Lindsaea doryphora
- Lindsaea dubia
- Lindsaea ensifolia
- Lindsaea eximia
- Lindsaea falcata
- Lindsaea feei
- Lindsaea filipendula
- Lindsaea fraseri
- Lindsaea gueriniana
- Lindsaea guianensis
- Lindsaea hainaniana
- Lindsaea hamiguitanensis
- Lindsaea harveyi
- Lindsaea hemiacroscopica
- Lindsaea hemiglossa
- Lindsaea hemiptera
- Lindsaea heterophylla
- Lindsaea hewittii
- Lindsaea imrayana
- Lindsaea incisa
- Lindsaea integra
- Lindsaea interrupta
- Lindsaea jamesonioides
- Lindsaea jarrettiana
- Lindsaea javanensis
- Lindsaea javitensis
- Lindsaea kalimantanensis
- Lindsaea kawabatae
- Lindsaea kingii
- Lindsaea lancea
- Lindsaea lapeyrousei
- Lindsaea latifrons
- Lindsaea leptophylla
- Lindsaea lherminieri
- Lindsaea liesneri
- Lindsaea linduensis
- Lindsaea linearis
- Lindsaea lobata
- Lindsaea longifolia
- Lindsaea lucida
- Lindsaea macrophylla
- Lindsaea malabarica
- Lindsaea malayensis
- Lindsaea mazaruniensis
- Lindsaea media
- Lindsaea meifolia
- Lindsaea merrillii
- Lindsaea mesarum
- Lindsaea microphylla
- Lindsaea microstegia
- Lindsaea modesta
- Lindsaea monocarpa
- Lindsaea multisora
- Lindsaea napaea
- Lindsaea natunae
- Lindsaea nervosa
- Lindsaea oblanceolata
- Lindsaea obscura
- Lindsaea obtusa
- Lindsaea orbiculata
- Lindsaea ovata
- Lindsaea ovoidea
- Lindsaea oxyphylla
- Lindsaea pacifica
- Lindsaea pallida
- Lindsaea papuana
- Lindsaea paralellogramma
- Lindsaea parkeri
- Lindsaea pectinata
- Lindsaea pellaeiformis
- Lindsaea pendula
- Lindsaea phassa
- Lindsaea philippinensis
- Lindsaea pickeringii
- Lindsaea pleioptera
- Lindsaea plicata
- Lindsaea portoricensis
- Lindsaea pratensis
- Lindsaea prolongata
- Lindsaea protensa
- Lindsaea pseudohemiptera
- Lindsaea pulchella
- Lindsaea pulchra
- Lindsaea pumila
- Lindsaea quadrangularis
- Lindsaea ramosii
- Lindsaea regularis
- Lindsaea reniformis
- Lindsaea repanda
- Lindsaea repens
- Lindsaea rigida
- Lindsaea rigidiuscula
- Lindsaea roemeriana
- Lindsaea rosenstockii
- Lindsaea rufa
- Lindsaea sagittata
- Lindsaea salomonis
- Lindsaea sarawakensis
- Lindsaea schizophylla
- Lindsaea schomburgkii
- Lindsaea seemannii
- Lindsaea semilunata
- Lindsaea societatis
- Lindsaea sphenomeridopsis
- Lindsaea spruceana
- Lindsaea stenomeris
- Lindsaea stortii
- Lindsaea stricta
- Lindsaea subalpina
- Lindsaea submontana
- Lindsaea subtilis
- Lindsaea surinamensis
- Lindsaea taeniata
- Lindsaea tenera
- Lindsaea tenuifolia
- Lindsaea tenuis
- Lindsaea terrae-reginae
- Lindsaea tetragona
- Lindsaea tetraptera
- Lindsaea trapeziformis
- Lindsaea trichomanoides
- Lindsaea ulei
- Lindsaea venusta
- Lindsaea versteegii
- Lindsaea vieillardii
- Lindsaea virescens
- Lindsaea viridis
- Lindsaea vitiensis
- Lindsaea walkerae
- Lindsaea werneri
- Lindsaea yaeyamensis
- Lindsaea × dissecta






































































































































