Lonchoptera lutea: taxon details and analytics
- Domain
- Kingdom
- Animalia
- Phylum
- Arthropoda
- Class
- Insecta
- Order
- Diptera
- Family
- Lonchopteridae
- Genus
- Lonchoptera
- Species
- Lonchoptera lutea
- Scientific Name
- Lonchoptera lutea
Summary description from Wikipedia:
Lonchoptera lutea
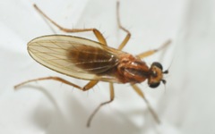
Lonchoptera lutea, the yellow spear-winged fly, is the type species of the genus Lonchoptera.
Adults vary a great deal in colour, from yellow to dark brown. The anteroventral bristle of the middle tibia is missing from the distal half. Scutellum brown to yellow. first and second antennal segments yellow, the third being dark, with a subapical arista.
Unlike most Lonchoptera, Lonchoptera lutea shows a marked preference for unshaded habitats. It is widespread and often very common throughout most of Europe, extending into parts of Asia.
...Lonchoptera lutea in languages:
- Bokmål
- vanlig spissvingeflue
- Czech
- mušenka žlutá
Images from inaturalist.org observations:
We recommend you sign up for this excellent, free service.
Parent Taxon
Sibling Taxa
- Lonchoptera acinaris
- Lonchoptera africana
- Lonchoptera alexeji
- Lonchoptera alfhildae
- Lonchoptera anderssoni
- Lonchoptera annikaae
- Lonchoptera apicalis
- Lonchoptera bifurcata
- Lonchoptera birmanica
- Lonchoptera birmensis
- Lonchoptera borealis
- Lonchoptera brunettii
- Lonchoptera casanova
- Lonchoptera cata
- Lonchoptera caudala
- Lonchoptera cingulata
- Lonchoptera elinorae
- Lonchoptera excavata
- Lonchoptera fallax
- Lonchoptera furcata
- Lonchoptera guptai
- Lonchoptera gutianshana
- Lonchoptera hakonensis
- Lonchoptera hasanica
- Lonchoptera impicta
- Lonchoptera japonica
- Lonchoptera kamtschatkana
- Lonchoptera lutea
- Lonchoptera maculata
- Lonchoptera magnifica
- Lonchoptera malaisei
- Lonchoptera nitidifrons
- Lonchoptera rava
- Lonchoptera scutellata
- Lonchoptera stackelbergi
- Lonchoptera strobli
- Lonchoptera tarsulenta
- Lonchoptera transvaalensis
- Lonchoptera tristis
- Lonchoptera uniseta
- Lonchoptera vesperis































































































































































