Lutjanus fulvus: taxon details and analytics
- Domain
- Kingdom
- Animalia
- Phylum
- Chordata
- Class
- Actinopterygii
- Order
- Acanthuriformes
- Family
- Lutjanidae
- Genus
- Lutjanus
- Species
- Lutjanus fulvus
- Scientific Name
- Lutjanus fulvus
Summary description from Wikipedia:
Lutjanus fulvus
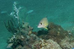
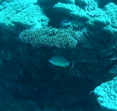
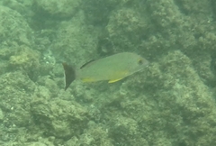
Lutjanus fulvus, the blacktail snapper, flametail snapper, redmargined seaperch, Waigeu snapper or yellowmargined sea perch, is a species of marine ray-finned fish, a snapper belonging to the family Lutjanidae. It is native to the Indo-West Pacific region. It is an important species for fisheries within its range.
...Lutjanus fulvus in languages:
- Chinese
- 黃足笛鯛
- Chinese
- 焦黃笛鯛
- Czech
- chňapal černoocasý
- Danish
- Sorthalet snapper
- English
- Blacktail Snapper
- English
- Yellow-margined Sea Perch
- English
- Yellowmargined Sea Perch
- English
- Yellow-margined Seaperch
- English
- Black-tail Snapper
- English
- Silver snapper
- French
- Vivaneau queue noire
- German
- Schwarzschwanz-Schnapper
- Japanese
- オキフエダイ
- Russian
- Чернохвостый луциан
- Russian
- Тамбак
Images from inaturalist.org observations:
We recommend you sign up for this excellent, free service.
Parent Taxon
Sibling Taxa
- Lutjanus adetii
- Lutjanus agennes
- Lutjanus alexandrei
- Lutjanus analis
- Lutjanus apodus
- Lutjanus aratus
- Lutjanus argentimaculatus
- Lutjanus argentiventris
- Lutjanus bengalensis
- Lutjanus biguttatus
- Lutjanus bitaeniatus
- Lutjanus bohar
- Lutjanus boutton
- Lutjanus buccanella
- Lutjanus campechanus
- Lutjanus carponotatus
- Lutjanus coeruleolineatus
- Lutjanus colorado
- Lutjanus cyanopterus
- Lutjanus decussatus
- Lutjanus dentatus
- Lutjanus dodecacanthoides
- Lutjanus ehrenbergii
- Lutjanus endecacanthus
- Lutjanus erythropterus
- Lutjanus fulgens
- Lutjanus fulviflamma
- Lutjanus fulvus
- Lutjanus fuscescens
- Lutjanus gibbus
- Lutjanus goldiei
- Lutjanus goreensis
- Lutjanus griseus
- Lutjanus guilcheri
- Lutjanus guttatus
- Lutjanus indicus
- Lutjanus inermis
- Lutjanus jocu
- Lutjanus johnii
- Lutjanus jordani
- Lutjanus kasmira
- Lutjanus lemniscatus
- Lutjanus lunulatus
- Lutjanus lutjanus
- Lutjanus madras
- Lutjanus mahogoni
- Lutjanus malabaricus
- Lutjanus maxweberi
- Lutjanus mizenkoi
- Lutjanus monostigma
- Lutjanus notatus
- Lutjanus novemfasciatus
- Lutjanus octolineatus
- Lutjanus ophuysenii
- Lutjanus papuensis
- Lutjanus peru
- Lutjanus quinquelineatus
- Lutjanus rivulatus
- Lutjanus rufolineatus
- Lutjanus russellii
- Lutjanus sanguineus
- Lutjanus sapphirolineatus
- Lutjanus sebae
- Lutjanus semicinctus
- Lutjanus stellatus
- Lutjanus synagris
- Lutjanus timoriensis
- Lutjanus viridis
- Lutjanus vitta
- Lutjanus vivanus
- Lutjanus xanthopinnis
























































































































































